警告

warning

注意

error

成功

success

information

オルモストシルバー

投稿の削除

この投稿を削除しますか?
三ツ星品質のモニターに当選
2025.12.13
12/13 育成スタート 
虫が来ないように土を変更したいのですが土が湿っているようなので今日はいじらず観察です。

ぱっと見たところ5株ほど植わっているようです。開封時、葉が熟っとした部分があるように見え「え?腐っちゃわない?」と不安になりましたがこういう風に模様が出る事もあるそうです。

光のあたり具合でシルバーに見えたり緑っぽく見えたりでとても綺麗な子です♪

植替えが終わりましたらまた画像載せます。
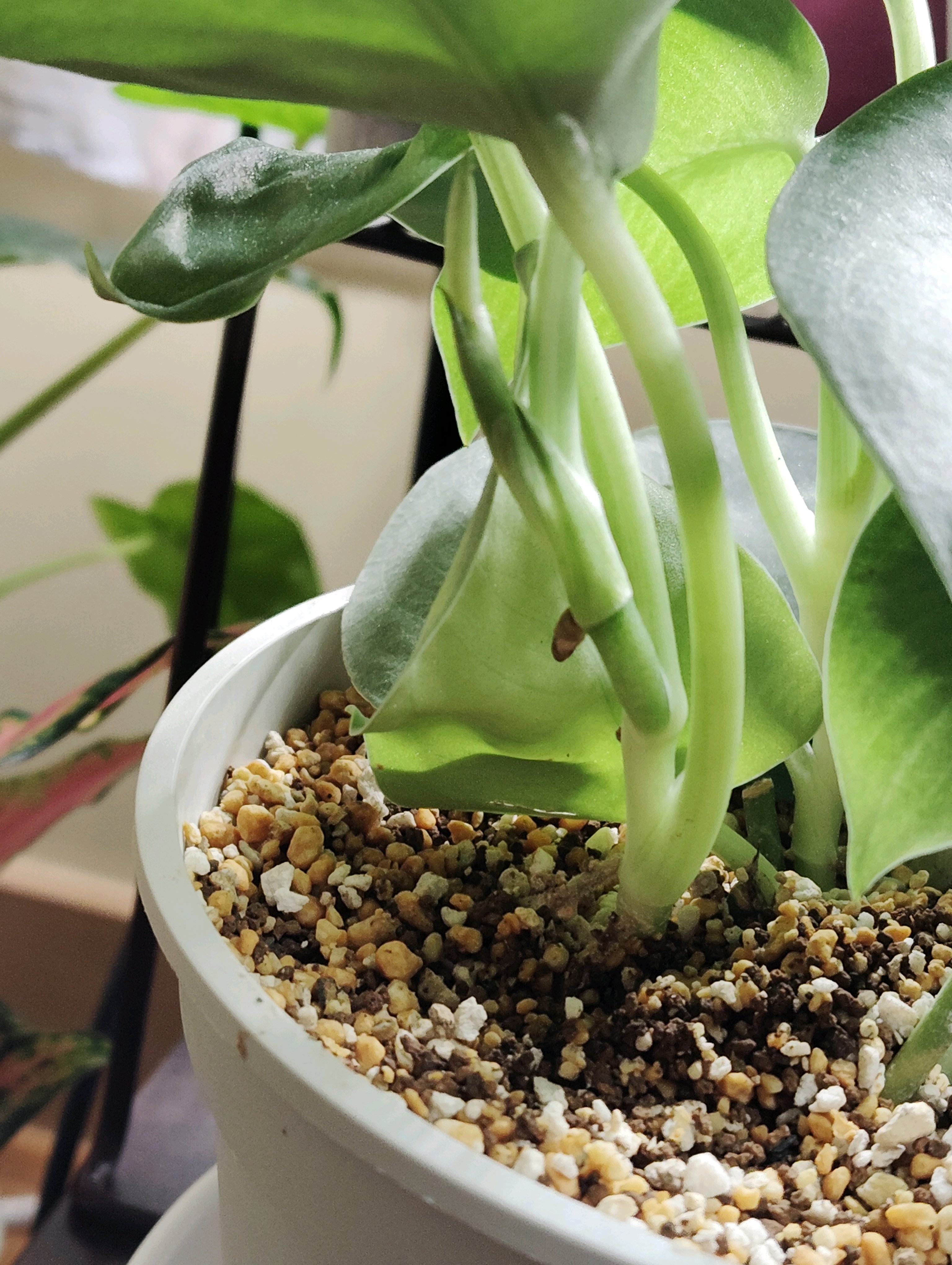
2025.12.17 植替え
長い株短い株がいて植替えが難しかったです。
でも、つる性なので株元にも葉があっても良いか!と、こんなこんな感じに植えました。

シルバーの葉なのでグレーの鉢。
グレーじゃなくて銀なのに(笑)
2025.12.20 新芽
新しい葉はこんな感じに出てます!
気根もこの株だけ出ていました。

増やしたいけどのばしたいから我慢我慢😁
2025.12.28 約2週間経過
2週間経ちましたが新芽少しのびた位でまだ1枚も葉が開きません。
今日の様子はこんな感じです
2026.01.12 新芽に変化
茎の色と同じまま新芽が伸びてきていましたが、今日見ると少し葉の色のシルバーっぽい色味が見える感じに変化していました。
5株ほどありますが相変わらず新芽は2本のまま。
冬だから成長が遅いのかなぁ?
2026.02.03 最初の葉が開きかけ
ドリルが全部出てからが長い!モンステラは葉が抜けきったら開き始めますがいつになったら開くの???って言う位ドリルのまま。時期の問題なのかそういう成長なのか不明。春以降にわかるかな?1週間以上たって少し開いたかと思えばまたそこからが長い!次回は一緒に写っているまだドリルっぽい子が開き切った時に報告します。
ドリルが出てきたと同時期あたりに次の葉の先がちょこっと見えていました。
全く動きが無かった別の株からやっとこ新芽が出てきました。
とにかくかなりゆっくりの成長中😅

5株のうち2株がドリル。2株がちょこっとの新芽。残り1株はうんともすんとも言いません。
2026.02.09 2枚目の新葉
前回ほんの少し開きかけていた2枚目の葉(真ん中あたりの一番背が高い葉)は6日後ほぼ開きました。まだ端っこがちょっとカーブしているので実質7日はかかるのかもです。暖かくなったらもっと動きが早くなると良いなぁ😊
2026.02.22 順調
前回のやっと開いた葉と一緒に伸びて来た新芽は前回より時間がかからず後少しで開きそうになっています。土に馴染んでくれたのかな?
2026/02/04
スキンダプサス、うちにはトレビーがいます~😊
オルモストシルバーもさわやかな葉色がすごく素敵~🌱
ブリンっとしていてかわいいですよね🎵
が、成長なかなかゆっくりらしいので、気長にのんびりやってます~😌
2026/02/04
@まーやん さん
スキンダプサスはこの子が初めてで何度もまだかい!!!って思っていました。成長ゆっくりなんですね😅冬だから…じゃなかったか😖
増やすにしても時間かかりそうですね〜

GreenSnapのおすすめ機能紹介!

【無料で利用できる】写真を撮るだけ!アプリが植物・花の名前を教えてくれる『教えて!カメラ』のご紹介!

観葉植物に関連するカテゴリ

観葉植物のみどりのまとめ

いいね済み
0
2026/02/24

ジャカランダ

ジャカランダの記録
いいね済み
30
2026/02/24

三つ星品質モニター 「オリヅルラン ボニー」

三つ星品質のモニターに当選して、商品オリヅルラン ボニーが届きました!こ
いいね済み
7
2026/02/24

ビカクシダ・ネザーランド

Platycerium bifurcatum 'Netherlands'

観葉植物の関連コラム

アルブカの育て方と植え替え|スピラリスと他種の管理は同じでいい?の画像
2025.12.01

アルブカの育て方と植え替え|スピラリスと他種の管理は同じ…

アルブカはキジカクシ科アルブカ属の多年性球根植物の総称です。主な分布地はアフリカ南部と東部で、北アフリカとアラビア半島にも一部の種類が自生しています。 アルブカは同じキジカクシ科の…
ポーチュラカの育て方|水やりの頻度は?切り戻しや剪定の方法は?の画像
2025.11.28

ポーチュラカの育て方|水やりの頻度は?切り戻しや剪定の方…

別名ハナスベリヒユとも呼ばれるポーチュラカは、マツバボタンの仲間で、葉は多肉質で茎は地面を覆うように広がります。鉢花としてもかわいいのですが、地を這うように伸びる性質から、グランドカバーとしても…
日本最大級の国際商談展「第19回 GARDEX 国際ガーデン&アウトドアEXPO」が今年も開催!の画像
PR
2025.09.19

日本最大級の国際商談展「第19回 GARDEX 国際ガー…

日本最大級のガーデン・アウトドア・空間デザインの展示会「GARDEX(ガーデックス)」が、2025年も幕張メッセで開催されます。 第19回となる今回は、2025年10月1日(水)〜…
クワズイモの育て方|太くするコツは?徒長して伸びすぎたらどうする?の画像
2025.08.28

クワズイモの育て方|太くするコツは?徒長して伸びすぎたら…

スタイリッシュな外観をしているクワズイモは、地上に突き出ている芋の先から育ち、大きく広がる葉っぱをつける観葉植物です。寒さも比較的強く部屋にアクセントを取り入れたい方におすすめです。 <…
アボカドの葉が枯れる原因は直射日光?葉が垂れるのは復活できる?の画像
2025.07.22

アボカドの葉が枯れる原因は直射日光?葉が垂れるのは復活で…

アボカドは熱帯地域に生息する常緑性植物で、栄養価の高い果実はとてもクリーミーで美味しく人気があります。鉢植えで室内でも育てられるため、最近は観葉植物としてもメジャーになってきました。 <…
室内におすすめの観葉植物30選!GreenSnap独自の最新データの画像
2025.07.10

室内におすすめの観葉植物30選!GreenSnap独自の…

観葉植物には1000以上もの種類があるため、どれを選んだらいいか迷う方も多いはず。そこで今回は、国内最大級の植物コミュニティアプリ「GreenSnap」を利用している約300万人のユーザーの最新…

人気のコラム

いいね済み
513
2024.02.14

春に咲く花といえば?4〜6月に見頃を迎える春の花一覧…

いいね済み
435
2025.02.27

100均の製氷ケースで寄せ植え!おしゃれな多肉ポットをつくろう…

いいね済み
332
2022.08.31

クローバー(シロツメクサ)の花言葉|葉の枚数によって幸せにも怖い意味にも…

いいね済み
327
2020.01.29

カット苗を買ってきたら?購入後の手順と根を出させるコツ…

いいね済み
291
2020.01.15

小さな多肉がギュギュぎゅっと。魅惑の「多肉畑」へようこそ!…

いいね済み
273
2024.02.14

冬に咲く花といえば?寒い時期を彩る人気の冬の花一覧…

いいね済み
260
2025.01.09

ミニトマトの育て方|植え方や鉢植え・プランター栽培のコツを解説…

いいね済み
338
2025.02.28

【薔薇の花言葉一覧】怖い意味にもなる色や本数はどれ?…

いいね済み
250
2023.01.05

【色・本数別】ひまわりの花言葉には怖い意味もある!花束におすすめの大きさ…

いいね済み
241
2022.08.05

ユリ(百合)の花言葉|色別で怖い意味があるの?花の特徴は?…

開催中のフォトコンテスト