warning
error
success
information
ログイン
タイムライン
マイアルバム
アカウント設定
注文履歴
ログアウト
カテゴリから探す
観葉植物
多肉植物・サボテン
ガーデニング
花
家庭菜園
ハーブ
植物の栄養・効能
植物の病気・害虫
植物の種類・品種
雑草
野草・山草
読みもの
植物図鑑
買いもの
投稿
投稿一覧
みどりのまとめ一覧
植物SNS GreenSnap
花
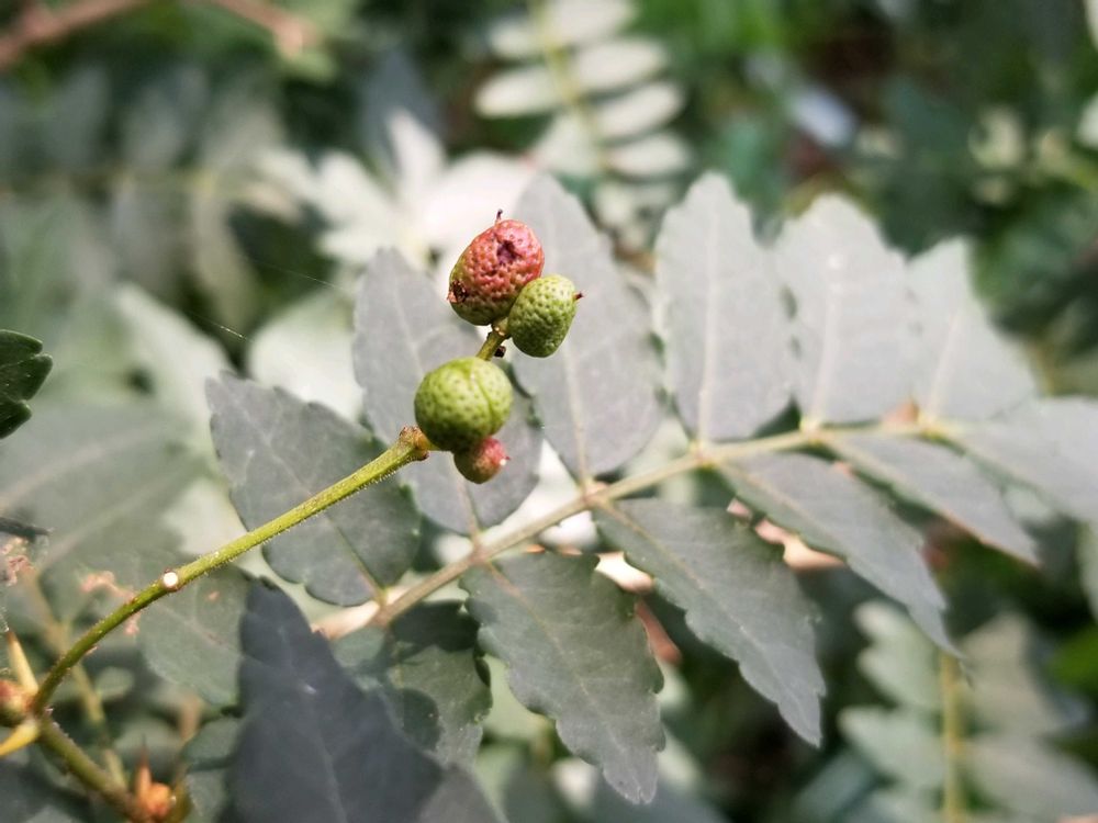
山椒,山椒の木,サンショウの投稿画像
Mixnutsですがさんの山椒,山椒の木,サンショウの投稿画像
山椒
サンショウ
山椒の木
いいね
76人
がいいね!
シェア
ツイート
投稿の削除
この投稿を削除しますか?
いいえ
はい
Mixnutsですが
2025/07/01
昨日、裏庭の手入れをしました
山椒の実が少し有りました
アタポン
2025/07/01
山椒の実を齧ると口の中が痺れて、暑さを忘れて目が覚めますね‼️
いいね
1
返信
Mixnutsですが
2025/07/01
@アタポン
さん
マーボー豆腐の山椒の実は食べたことあるけど、生は強烈そうですね
チョッとやってみたくなる😂
いいね
1
返信
アタポン
2025/07/01
目覚ましにいいですよ( ´ ▽ ` )
いいね
1
返信
Mixnutsですが
2025/07/01
@アタポン
さん
有り難うございます😉
いいね
0
返信
投稿する
GreenSnapのおすすめ機能紹介!
【無料で利用できる】写真を撮るだけ!アプリが植物・花の名前を教えてくれる『教えて!カメラ』のご紹介!
花に関連するカテゴリ
観葉植物
多肉植物・サボテン
ガーデニング
家庭菜園
ハーブ
植物の栄養・効能
植物の病気・害虫
植物の種類・品種
雑草
野草・山草
開催中のフォトコンテスト
コンテスト一覧
花のみどりのまとめ
24
2025/12/16
まいど 大阪キタ🎄師走 2025
ややこしや OSAKA ☝🏻大阪・キタ・梅田・うめきた
7
2025/12/16
No.666 ☆yumi☆トトロ3️⃣ 2025/01~
備忘録としよう
82
2025/12/15
『三ツ星品質』モニター メキシカンブッシュセージ ステラ
メキシカンブッシュセージ ステラ モニター当選しました。選んで頂きありがとうございます。
花の関連コラム
2025.12.12
【紫陽花の冬越し】冬の剪定方法は?葉が落ちないときはどうする?
2025.12.04
サンパチェンスの育て方|挿し木の注意点や、切り戻し・冬越し方法まで徹底解説
2025.12.03
イヌホオズキとは|花言葉や花の特徴、実に毒性はある?
2025.12.03
【鬼灯の花言葉】「私を殺して」という怖い意味がつきまとう理由は?
2025.11.28
レウコフィルムの育て方と剪定|鉢植え・地植え・冬の管理方法
2025.11.28
冬植え球根一覧|同じ冬に咲く花はある?プランター以外で育つのは?
花の関連コラムをもっとみる
Mixnutsですが
皆さんの投稿が楽しみです😆 少し家庭菜園を楽しんでいます
植物
山椒
山椒の木
サンショウ
投稿に関連する植物図鑑
山椒の木は自宅の敷地に植えたらダメ?育て方や鉢植えの注意点を解説
山椒の木は自宅の敷地に植えたらダメ?育て方や鉢植えの注意点を解説
ヒレザンショウの育て方|植え付ける場所は?挿し木や剪定の方法は?
投稿に関連する花言葉
山椒(サンショウ)の花言葉|意味や種類、芽や花も食べられる?
山椒(サンショウ)の花言葉|意味や種類、芽や花も食べられる?
ヒレザンショウの花言葉|花や実の特徴、楽しみ方は?
山椒の実が少し有りました