warning
error
success
information
ログイン
タイムライン
マイアルバム
アカウント設定
注文履歴
ログアウト
カテゴリから探す
観葉植物
多肉植物・サボテン
ガーデニング
花
家庭菜園
ハーブ
植物の栄養・効能
植物の病気・害虫
植物の種類・品種
雑草
野草・山草
読みもの
植物図鑑
買いもの
投稿
投稿一覧
みどりのまとめ一覧
植物SNS GreenSnap
花
花のある暮らし
ネジキ,ネジキ,山野草の投稿画像
愛でるさんのネジキ,ネジキ,山野草の投稿画像
ネジキ
いいね
180人
がいいね!
シェア
ツイート
投稿の削除
この投稿を削除しますか?
いいえ
はい
愛でる
2025/05/31
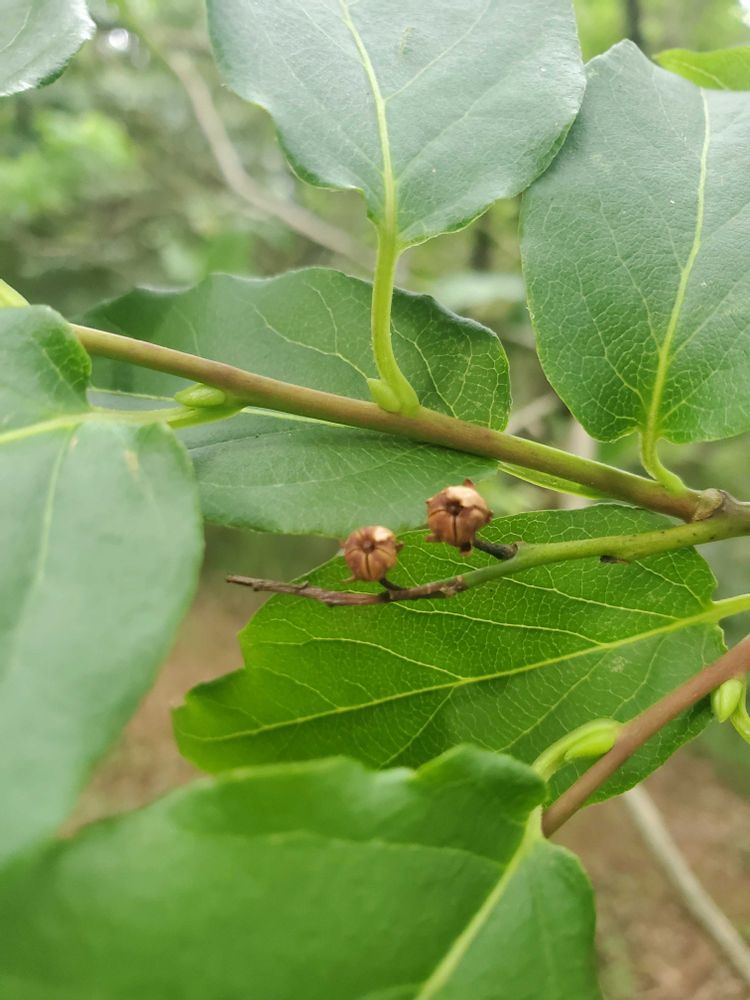
ネジキ(捻木)
ツツジ科
花期…5~6月
お花の大きさ…1㌢程
分布…岩手県以南.四国.九州
昨年の実が残っていました。
冬芽は三大美芽の一つですネ*
市内.低山の麓で🤳
のっこ
2025/05/31
ネジキ、珍しいですね 👏三大美芽とは何と何があるのでしょうか
いいね
1
返信
愛でる
2025/05/31
@のっこ さん(*_*)
おはようございます😊
見て頂いてコメントも有難うございます🥰
説明が足りなかったですね🙇♀️
後2つは
ザイフリボクとコクサギです。
ずいぶんと前ですが
2013.1.13に3つ一緒に
投稿していました💦
🏷️冬芽
から皆さんの投稿も
見れると思います☘️
お時間がありましたら
ご覧になって下さいネ😌
いいね
0
返信
らな
2025/05/31
こちらも👇
是非1度見てみたいお花です🎶
会いたーい♡♡ ̖́-
いいね
1
返信
愛でる
2025/05/31
@らな さん(*_*)
此方にも
有難うございます💝
ネジキは
イチヤクソウを探していた
時に偶然👀見つけたんですヨ🤍
ヒントになるかしら💦
いいね
1
返信
投稿する
GreenSnapのおすすめ機能紹介!
【無料で利用できる】写真を撮るだけ!アプリが植物・花の名前を教えてくれる『教えて!カメラ』のご紹介!
花のある暮らしに関連するカテゴリ
切り花
アレンジメント
母の日
バラ
花言葉
花の育て方
開催中のフォトコンテスト
コンテスト一覧
花のある暮らしのみどりのまとめ
91
2025/12/16
わが家の庭の風景 2025
いつも お花をアップにして撮ることが多いのですが、今回は少し引いて撮った庭の風景をまとめました。
8
2025/12/16
No.666 ☆yumi☆トトロ3️⃣ 2025/01~
備忘録としよう
28
2025/12/16
まいど 大阪キタ🎄師走 2025
ややこしや OSAKA ☝🏻大阪・キタ・梅田・うめきた
花のある暮らしの関連コラム
2025.12.12
【紫陽花の冬越し】冬の剪定方法は?葉が落ちないときはどうする?
2025.11.28
冬植え球根一覧|同じ冬に咲く花はある?プランター以外で育つのは?
2025.11.27
冬に植える花一覧|12月に種をばらまくだけで咲く花はあるの?
2025.11.13
GreenSnapMarche YOKOHAMA 2025 AUTUMN 開催レポート
2025.08.28
クワズイモの葉が垂れる原因は?根腐れしたら胴切りで復活できる?
2025.08.05
ハイビスカスの寿命はどれくらい?鉢植えの方が枯れやすい?
花のある暮らしの関連コラムをもっとみる
愛でる
キーワード
山野草
白い花
落葉低木
花のある暮らし
ツツジ科
小花好き
自生地
お花大好き♡
自然大好き
植物に感謝
樹木の花
山野草大好き
低山散歩
植物
ネジキ
ネジキ
ツツジ科
花期…5~6月
お花の大きさ…1㌢程
分布…岩手県以南.四国.九州
昨年の実が残っていました。
冬芽は三大美芽の一つですネ*
市内.低山の麓で🤳