warning
error
success
information
ログイン
タイムライン
マイアルバム
アカウント設定
注文履歴
ログアウト
カテゴリから探す
観葉植物
多肉植物・サボテン
ガーデニング
花
家庭菜園
ハーブ
植物の栄養・効能
植物の病気・害虫
植物の種類・品種
雑草
野草・山草
読みもの
植物図鑑
買いもの
投稿
投稿一覧
みどりのまとめ一覧
植物SNS GreenSnap
花
ツツジ,散歩,冬の実の投稿画像
serendipityrumiさんのツツジ,散歩,冬の実の投稿画像
ツツジ
いいね
51人
がいいね!
シェア
ツイート
投稿の削除
この投稿を削除しますか?
いいえ
はい
serendipityrumi
2023/02/13
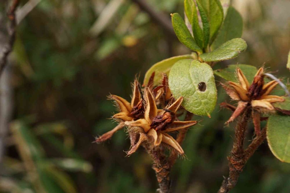
2/16これはツツジでは無くサツキなのではないかと思います
(2/16追記しました、2/16にも投稿しています、よろしかったら御覧ください)
初めて見た実
歩道沿いの植栽ツツジ
こんなに素敵な実がなるのですね。
想像以上に大きかったです。
うさこ
2023/02/13
おはようございます
ツツジの実⁈散歩道にツツジの植栽ありますが気がつきませんでした どの木にもなるのでしょうか
いいね
1
返信
serendipityrumi
2023/02/13
@うさこ さん
おはようございます
調べてみたけれど雌雄別株では無さそうです。我が街は歩道沿いにぐるっとツツジの植栽があり、5月にはつつじ祭りなるイベントもあります。2/3にツツジに赤い実を見つけ皆様に名前をお訊きしましたがその時の皆様の御意見は他の実が落ちて引っかかったのだろううとの事でした。
この実を見て漸く納得、その記事にはその旨追記しました。
街中がツツジに包まれるのに実に気付いたのは初めてです。可愛らしいです
葉の大きさから実の大きさも想像していただけるかと思います
いいね
1
返信
いいこ
2023/02/13
こんにちは
私もツツジの実を初めて見ました👀
実が開いて種が出たあとでしょうか?
ツツジの植栽はそこらじゅうにあるのに、今まで気付いたことがありませんでした。
貴重なものを、ありがとうございました😊
いいね
1
返信
serendipityrumi
2023/02/13
@いいこ
さん
こんにちは
私もたくさんのツツジに囲まれる街にいて、なぜ今迄気付かなかったのか先程改めてツツジを見に行き気付いたことがあります。
花後、角刈りのように刈られて今も角ばった植栽の姿のままでした。
花の後、割と直ぐに刈られて整えられるのです。もしかしたら、実を結ぶ前に刈り取られているのかも知れませんね。
いいね
0
返信
いいこ
2023/02/13
@serendipityrumi
さん
確かにうちの周辺の道路のツツジの植え込みも、花が咲き終わると剪定しています。
これじゃ、実が見られないのは当然ですね😄
ありがとうございました😊
いいね
1
返信
いかみみ
2023/02/13
ツツジに実!
初めて聞きました、見ました。
子孫を残す為には実(種)が出来て当然なんですが、気にしたこともなかったです。
こんなに身近な木なのに、知らなかったことがあるなんて。
確かに最も剪定される木といってもいいくらいなので、目にすることがなかったんでしょうが、それでも奥の方とか下の方とかに残っていても良さそうです。
これから気にして見てみなければ!
八角みたいですね。
いいね
1
返信
serendipityrumi
2023/02/14
@いかみみ さん
昨日、雨の中、植栽のツツジを見直しに行きましたが、中の方にも全く見当たりませんでした。ツツジは咲いてる時は凄く綺麗だけど、花後はベタベタした枯れた花が汚らしくベタ付きも厄介ですよね。そして、歩道沿いということもあるのか、考えてみると大きさが、住み始めた○十年前と変わらないのです。植木屋さんならご存知かと思うけどやはり大きくしない、繁茂させない、剪定のタイミングのようなものがあるのかもしれませんね。
調べてみたら日本には自生するツツジが多く世界でも一番なのでは無いかと言われるほど、所謂ヤマツツジの種類が多いそうです。自生するヤマツツジには実を付けるのは当たり前の事かもしれません。山に咲く自生種が本来のツツジの姿なのでしょうね。
もう一度、確認にも行って来ます。
そうそう八角に似ています。
いいね
1
返信
serendipityrumi
2023/02/14
@いいこ さん
御質問のタネが出た後かどうか、ですが私も初めて見たのでタネがどのような物かも解らず残念ですが、反り返った中に小さな粒があるのか、落ちた後なのか定かではありません。もう一度もう少し丁寧に見に行く必要がありそうですね
いいね
0
返信
いかみみ
2023/02/14
@serendipityrumi
さん
そうですか、植栽には無かったんですね。
植栽にする過程で、結実する機能を失ったのか?
そうそう、花殻が汚いですね💦
あの花殻をまめに摘むことは、管理された庭園以外では不可能だし。
この春、マンションのツツジの花殻摘みでもしようかしら?^^;
いいね
1
返信
serendipityrumi
2023/02/14
@いかみみ
さん
ツツジの花がら摘み、ベタベタで大変ですよ。
パンツの裾に付いたりすると立派な引っ付き虫ですね
いいね
1
返信
いかみみ
2023/02/14
@serendipityrumi
さん
完全防備じゃないとダメですね〜
キレイに散り落ちる花がいいですよね^^;
いいね
1
返信
serendipityrumi
2023/02/14
@いかみみ さん
友達と毎年、なんでこんな厄介な花を街ぐるみで植えたんだろう、って話します。あんまり植物を知らないお役所の方のセレクトかな?
桜は完璧な花ですね
花びらは風に飛び、花筏も美しいし😉
いいね
0
返信
いいこ
2023/02/14
@serendipityrumi
さん
「ツツジ 種」で検索してみたら、種は1ミリ位の小さなものなのですね!
もしかすると、まだ、種は中に残っているのかもしれませんね。
もう一度、見に行かれる機会があったら、是非教えてください。
いいね
1
返信
serendipityrumi
2023/02/14
@いいこ
さん
ありがとうございます
調べてくださったのですね
はい、行きましたら必ず確認してみます。
ツツジの種が1㍉とは?!小さくて驚きですね~
いいね
0
返信
いかみみ
2023/02/14
@serendipityrumi
さん
街ぐるみというか…日本全国かも⁇
気候的に無理な地域以外は…
桜は見頃が終われば潔く散りますね〜
葉も紅葉して全て散り落ちる。
毛虫がつくことを除けば完璧!
いいね
1
返信
投稿する
GreenSnapのおすすめ機能紹介!
【無料で利用できる】写真を撮るだけ!アプリが植物・花の名前を教えてくれる『教えて!カメラ』のご紹介!
花に関連するカテゴリ
観葉植物
多肉植物・サボテン
ガーデニング
家庭菜園
ハーブ
植物の栄養・効能
植物の病気・害虫
植物の種類・品種
雑草
野草・山草
開催中のフォトコンテスト
コンテスト一覧
花のみどりのまとめ
35
2025/12/18
【カラー・キャプテンチェリオ】 冬越しからの育成記録
昨年から育ててみたかった“カラー”。 お店で最後の1人との運命的な出会い💕があり、初めての冬越し挑戦です。 “目指せ2025年も開花✨”✊
78
2025/12/18
名古屋市熱田区〜白鳥庭園へ行って来ました!
名古屋市熱田区〜白鳥庭園へ行って来ました!
23
2025/12/18
ミニバラ あすなろブルー
2024.2.20 あすなろブルーの日記
花の関連コラム
2025.12.18
センダンの木とは?花や実の毒性、花言葉、育て方などを徹底解説
2025.12.17
スモモ(プラム)の花言葉|怖い意味はある?由来や花、実の特徴とは
2025.12.12
【紫陽花の冬越し】冬の剪定方法は?葉が落ちないときはどうする?
2025.12.04
サンパチェンスの育て方|挿し木の注意点や、切り戻し・冬越し方法まで徹底解説
2025.12.03
イヌホオズキとは|花言葉や花の特徴、実に毒性はある?
2025.12.03
【鬼灯の花言葉】「私を殺して」という怖い意味がつきまとう理由は?
花の関連コラムをもっとみる
serendipityrumi
2025 11月 プロフィールカバーは 11月に咲いた秋桜畑と向日葵 アイコンはノブドウ 何年も投稿されていない方のフォローを外させて頂きました。 始めた頃の投稿タグに今見ると随分間違いを発見します。 過去の投稿ですので追記と記す事無く気付いた時にキャプションを書換え、訂正することがあることを書き添えておきます。 身の回りのお花達に寄せる思いが写真を通して少しでも伝わると嬉しいです。 植物以外、野鳥、虫、風景等も撮り下記にも投稿しています。 Amebablog 「花々と星々と」 アドレスは期間限定らしく直ぐに消えます。ハンドルネームはGSと同じです
キーワード
散歩
冬の実
一眼マクロレンズ
植物
ツツジ
投稿に関連する植物図鑑
ツツジの育て方|植え替え時期は?挿し木のやり方や枯れる原因を解説
久留米ツツジの育て方|鉢植えの植え替え時期や用土、増やし方を紹介
投稿に関連する花言葉
ツツジの花言葉に怖い意味はある?白やピンク、花色別の花言葉を紹介
クルメツツジの花言葉に怖い意味はある?名前の由来や種類も紹介
(2/16追記しました、2/16にも投稿しています、よろしかったら御覧ください)
初めて見た実
歩道沿いの植栽ツツジ
こんなに素敵な実がなるのですね。
想像以上に大きかったです。