warning
error
success
information
ログイン
タイムライン
マイアルバム
アカウント設定
注文履歴
ログアウト
カテゴリから探す
観葉植物
多肉植物・サボテン
ガーデニング
花
家庭菜園
ハーブ
植物の栄養・効能
植物の病気・害虫
植物の種類・品種
雑草
野草・山草
読みもの
植物図鑑
買いもの
投稿
投稿一覧
みどりのまとめ一覧
植物SNS GreenSnap
花
アレチハナガサ,アレチヌスビトハギ,アメリカセンダングサの投稿画像
nikoさんのアレチハナガサ,アレチヌスビトハギ,アメリカセンダングサの投稿画像
アレチヌスビトハギ
アメリカタカサブロウ
ヒロハホウキギク
アレチハナガサ
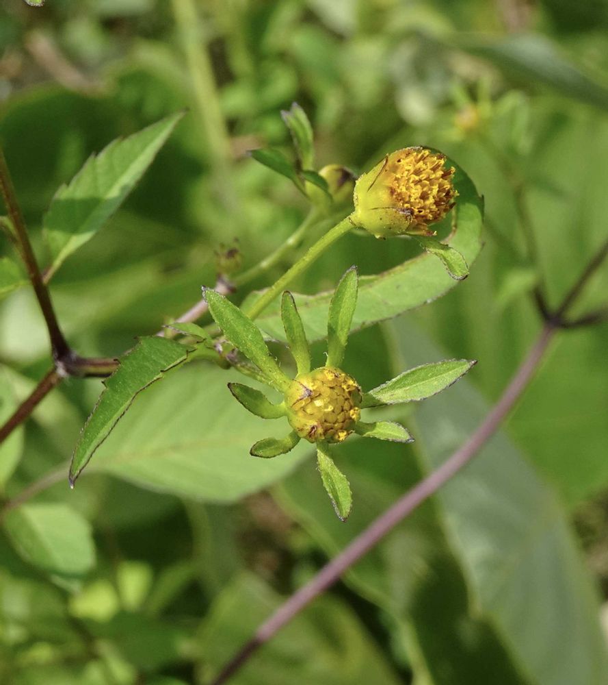
アメリカセンダングサ
いいね
61人
がいいね!
シェア
ツイート
投稿の削除
この投稿を削除しますか?
いいえ
はい
niko
2025/10/03
元気過ぎる外来種
①アレチノヌスビトハギ
北アメリカ原産
②アメリカタカサブロウ
熱帯アメリカ原産
③ヒロハホウキギク
北アメリカ原産
④アレチハナガサ
南アメリカ原産
⑤アメリカセンダングサ
北アメリカ原産
かし
2025/10/04
おはようございます☀
この子たちは仙台市でも元気です〜😁💦
いいね
1
返信
niko
2025/10/04
@かし
さん
この子たちも綾どりですね💕😁
いいね
1
返信
投稿する
GreenSnapのおすすめ機能紹介!
【無料で利用できる】写真を撮るだけ!アプリが植物・花の名前を教えてくれる『教えて!カメラ』のご紹介!
花に関連するカテゴリ
観葉植物
多肉植物・サボテン
ガーデニング
家庭菜園
ハーブ
植物の栄養・効能
植物の病気・害虫
植物の種類・品種
雑草
野草・山草
開催中のフォトコンテスト
コンテスト一覧
花のみどりのまとめ
28
2026/03/17
🐶散歩🐾で、ベニボクハンのお花に今年も出逢えました❣️😍
今年も🐶散歩道で私のお気に入りのお花 ベニボクハンツバキに出逢えました(*^^*)💕
106
2026/03/17
No.743 スタジオSOTAポップアップイベント初日訪問2026/0313
「お散歩は季節をまとって」ガチャ販売を手がけたスタジオSOTA。冬野カモメ先生のお散歩ちゃんのたくさんの作品を世に出して。お散歩ちゃんワールド、楽しみたいな💓
64
2026/03/17
No.740 2026年のマグノリア①2026/0315 シデコブシ、白木蓮、・・・
大好きな花木の代表、マグノリアの開花が始まった。2026年のマグノリア、記録しておこう。
花の関連コラム
2026.03.16
植えてはいけない?アジュガの毒性と広がる範囲、後悔しない対策とは
2026.03.13
春になると白い大きな花が咲く木の正体は?ハクモクレンの時期や特徴
2026.03.13
チューリップが葉っぱだけになる?花が咲かない原因は?三上真史のお悩みQ&A
2026.03.13
芝桜の植え替え時期や植え方のコツは?ほったらかしOKな育て方
2026.03.12
枝垂れ梅の育て方|鉢植えで大きくしないには?おすすめの肥料は?
2026.03.12
桜の枝から育てる方法|接ぎ木や挿し木の時期、増やし方を解説
花の関連コラムをもっとみる
niko
野の花大好き ウォーキングの足を止めて目線を変えてみると別世界がありました 皆さんの美しい写真にも癒されています 2020年10月から始めました
キーワード
マメ科
キク科
クマツヅラ科
外来種
多摩川
多摩川の河川敷
植物
アレチハナガサ
アレチヌスビトハギ
アメリカセンダングサ
ヒロハホウキギク
アメリカタカサブロウ
投稿に関連する植物図鑑
アレチハナガサの育て方|植え付けの時期やコツは?ヤナギハナガサとの違いとは?
①アレチノヌスビトハギ
北アメリカ原産
②アメリカタカサブロウ
熱帯アメリカ原産
③ヒロハホウキギク
北アメリカ原産
④アレチハナガサ
南アメリカ原産
⑤アメリカセンダングサ
北アメリカ原産