warning
error
success
information
ログイン
タイムライン
マイアルバム
アカウント設定
注文履歴
ログアウト
カテゴリから探す
観葉植物
多肉植物・サボテン
ガーデニング
花
家庭菜園
ハーブ
植物の栄養・効能
植物の病気・害虫
植物の種類・品種
雑草
野草・山草
読みもの
植物図鑑
買いもの
投稿
投稿一覧
みどりのまとめ一覧
植物SNS GreenSnap
花
お出かけ先,タマアジサイ,玉紫陽花の投稿画像
ジュリアーノさんのお出かけ先,タマアジサイ,玉紫陽花の投稿画像
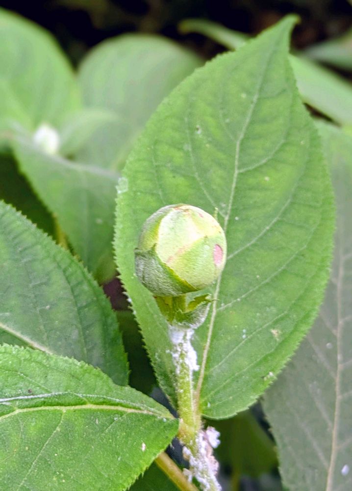
タマアジサイ
タマアジサイ蕾
玉紫陽花
いいね
250人
がいいね!
シェア
ツイート
投稿の削除
この投稿を削除しますか?
いいえ
はい
ジュリアーノ
2025/07/30
今日2枚目は今年も咲いた
タマアジサイ🌿💜💠💜🌿
アジサイ科アジサイ属の
落葉低木で日本固有種🌿
①周りに可愛い装飾花💠
真ん中に繊細な両性花🌿💠🌿
お花の直径10~15㎝位💠
②タマアジサイの名前は丸い玉状のツボミの中に花を構成する全てが入っているから🟢
③綻んだ蕾から装飾花1輪と
両性花も1輪が可愛い🌿💠🌿
④蕾が開くと包んでいた苞は落ち散房花序状の集散花序が開きます💠
⑤森林公園の立派な株🌳
🏷水曜日は水色
午後も宜しくお願いします☺
🏷青い花で夏祭り2025
🏷素敵な水曜日
いつもの森林公園で🏞️
①③④⑤
2025.7.26
②2025.6.23
羽花
2025/07/30
タマアジサイも咲き出しましたね💠
美しいわ〜🩵🩵
この玉の蕾からアジサイがこぼれ咲く姿、毎年見るたび思うのですが、不思議〜😂
いいね
1
返信
あ~23
2025/07/30
こんにちは☀
タマアジサイ🩵💙💜
咲き進む姿が素敵に撮れていますね👏👏👏💘😊
今日 イワタバコを見に行く途中で沢山のタマアジサイを観ましたがまだまだ小さな蕾でした!😮💨咲くのは2週間ぐらい先かなぁ?🤔
いいね
1
返信
マルナム
2025/07/30
タマアジサイの蕾からの姿、初めて見ました😍
めちゃめちゃ可愛い🥰
実物見て見たいです😄
いいね
1
返信
♬ちぃ
2025/07/30
こんにちは😃
タマアジサイが咲き始めたんですね😊
独特な咲き方! そして
ズラリと並んだ蕾にワクワク💓
8月中旬に友人と森林公園に行く予定なんです。
タマアジサイと、レンゲショウマ、両方とも見られたら良いなぁ🍀
いいね
1
返信
ジュリアーノ
2025/07/30
@羽花
さん、ありがとうございます😊
は~い( ´ ▽ ` )ノ
いよいよ咲き始め2番目の紫陽花の季節がスタートしました🌿💠🤗💠🌿
本当に不思議で可憐で可愛いタマアジサイですよね🌿💠😍💠🌿
いいね
1
返信
ラスカル
2025/07/30
美しい紫陽花
色も可愛い
いいね
1
返信
ジュリアーノ
2025/07/30
@ラスカル
さん、ありがとうございます😊
少し遅く咲き繊細で大好きなタマアジサイです🌿🤍💜🩵🌿
いいね
1
返信
きゅう
2025/07/30
こんばんは♪
可愛い
タマアジサイ🌸🌿
毎年房総方面に見に行きますが8月下旬頃見てます。
もう咲いてるなんて~😃
私も早く見たいです😍
いいね
1
返信
しもむ
2025/07/31
ジュリアーノさん♡
おはようございます☺️
一度見たことがありますが
タマアジサイ、可愛いですね💠💠
咲いていく姿、素敵です💓
いつも詳しく解説ありがとうございます😊
きのうはテレビに釘付けでした💦
きょうはよい一日になりますように🤗💕
いいね
2
返信
くまる
2025/07/31
今晩Ciao🧸
タマアジサイは8月の末に
下田で見た♥
こんなに遅く咲く紫陽花なんだ🧸と思いました。
咲く姿が可愛いよね
台風接近してるからりきまるくんも気をつけてね🧸
いいね
1
返信
ジュリアーノ
2025/08/01
@あ~23
さん、こんにちは😊
ありがとうございます🩷🤗🩷
そちらのイワタバコは毛深いケイワタバコでしたね〜🤣😆🤣
新しい発見は楽しいですよね🤓
このタマアジサイは日当たり抜群の場所で毎年いち早く咲くんです🌿💠😍💠🌿
私もイワタバコを見た秋川丘陵では、まだまだ蕾ばかりでした~😂😆🤣🟢🟢🟢
いいね
0
返信
ジュリアーノ
2025/08/01
@マルナム さん、こんにちは😊
お返事とっても遅くなりました😅
タマアジサイは長野県でも見られそうですがマルナムさんは未だ見ぬ君ですか❓️🤔❓️
開花した姿には会ってるかな❓️💠❓️
蕾も綻び始めも皆んな可愛いので今年は会えると良いですね🌿💙🩵💜🌿😍😍😍
いいね
1
返信
ジュリアーノ
2025/08/01
@♬ちぃ
さん、こんにちは😊
は~い( ´ ▽ ` )ノ
いつもの森林公園で早くも咲き始めました🌿💜🩵💙🌿
本当に独特な咲き方が魅力的ですよね😍
タマアジサイは花期が長いので今月中旬ならバッチリ見頃だと思います😉👍😉
レンゲショウマは7月27日の日曜日に膨らんだ蕾でした🟢
そろそろ咲いてるかも❓️❓️❓️
中旬まで咲いててくれると良いですね💓🤗💓
いいね
1
返信
ジュリアーノ
2025/08/01
@きゅう さん、こんにちは😊
ありがとうございます🩷🤗🩷
タマアジサイの分布域は広いので見られる場所も多くて嬉しいですよね💓
花期も長いので房総方面の今月下旬も納得👍👍👍
多分あと2〜3週間で会えるかな🩵💙💜
待ち遠しいですね((o(´∀`)o))ワクワク
いいね
1
返信
らな
2025/08/02
おはようございます😊
お久しぶりです(*^^*)
咲いたところもステキですが
タマアジサイのつぼみから
咲き出すところが
またかわいらしいんですよね〜😆
本当に立派な群生で
素晴らしい👏👏👏👏
いいね
1
返信
ジュリアーノ
2025/08/02
@しもむ
さん、おはようございます😊
ありがとうございます🩷🤗🩷
タマアジサイ何処で、お会いになってるのかな❓️❓️❓️
蕾も綻び方も満開も皆んな可愛いタマアジサイが大好きなので毎年の開花が楽しみです💓
先日の津波警報も昨日の台風も自然災害の多い夏ですね🌊🥲🌊
早くも8月🍉🍉🍉
今月も宜しくお願いします💐😊💐
穏やかな良い週末お過ごし下さい💓😌💓
いいね
1
返信
ジュリアーノ
2025/08/02
@くまる
さん、おはよう〜😊
タマアジサイは割とアチコチ咲くし花期が長いから遭遇確立も高くて嬉しいよね(≧▽≦)
そうそう💡💡💡
普通の紫陽花の後に咲くからアレって思うね🤔🤣🤭
台風どうだった❓️❓️
昨日はザァーザァー降ったり止んだり蒸し暑かったよね🥵🥵🥵
りき丸はエアコン付けてゴロゴロしてま〜す🤣🐶🐽
いいね
1
返信
ジュリアーノ
2025/08/02
@らな さん、おはようございます😊
ありがとうございます🩷
ホントお久しぶりです🤗
引っ越し🏡お疲れ様でした💓
ですよね~😍😍😍
タマアジサイは咲き始めがメチャメチャ可愛い💜🤍😘🤍💜
いつもの森林公園には沢山の株があり大きく育ってて見応えありま〜す👍☺👍
いいね
1
返信
しもむ
2025/08/02
@ジュリアーノ
さん♡
やっぱり、六甲高山植物園で見ました💠
神戸市立森林植物園にもあります🤗💕
こちらこそよろしくお願いします🙌
いいね
1
返信
ジュリアーノ
2025/08/02
@しもむ
さぁ~ん、あ~🤭やっぱり👍😉👍
そうかなぁ❓️❓️❓️と思いました✨😆✨
本当に六甲高山植物園は色々お花が見られるんですね💐🏕️💐
いいね
1
返信
トリトン♪
2025/08/02
7月18日にはまだまだ硬そうな蕾でしたが咲いたのですね!!
明日行こうかな~?レンゲショウマが咲いたとわかれば行くのですけどね🤭🎶
いいね
1
返信
ジュリアーノ
2025/08/03
@トリトン♪
さん、そうなんです〜😆
タマアジサイ遂に咲き始めましたよ〜🌿💠🌿
昨日は久しぶりに御岳山へ🏕️
向こうではレンゲショウマもタマアジサイも咲いてたので森林公園のレンゲショウマも咲いてそうな気がします🌿💜😍💜🌿
いいね
1
返信
投稿する
GreenSnapのおすすめ機能紹介!
【無料で利用できる】写真を撮るだけ!アプリが植物・花の名前を教えてくれる『教えて!カメラ』のご紹介!
花に関連するカテゴリ
観葉植物
多肉植物・サボテン
ガーデニング
家庭菜園
ハーブ
植物の栄養・効能
植物の病気・害虫
植物の種類・品種
雑草
野草・山草
開催中のフォトコンテスト
コンテスト一覧
花のみどりのまとめ
0
2025/12/17
和バラ りくほたる
和バラ りくほたるの日記
30
2025/12/17
フィオリーナゴールド🔰はじめて育てます。挿し芽にもチャレンジ🔰
フィオリーナゴールド🔰はじめて育てます。挿し芽にもチャレンジ~🎵
282
2025/12/16
夕顔を種から育てる②2025.11/13~
カタログや、他の方の投稿写真を見てて花を見たくて種から育ていますが、1輪目は不開花のまま蕾で脱落、今のは2輪目になり、渦巻きの形の蕾になってから数日間待ってます
花の関連コラム
2025.12.12
【紫陽花の冬越し】冬の剪定方法は?葉が落ちないときはどうする?
2025.12.04
サンパチェンスの育て方|挿し木の注意点や、切り戻し・冬越し方法まで徹底解説
2025.12.03
イヌホオズキとは|花言葉や花の特徴、実に毒性はある?
2025.12.03
【鬼灯の花言葉】「私を殺して」という怖い意味がつきまとう理由は?
2025.11.28
レウコフィルムの育て方と剪定|鉢植え・地植え・冬の管理方法
2025.11.28
冬植え球根一覧|同じ冬に咲く花はある?プランター以外で育つのは?
花の関連コラムをもっとみる
ジュリアーノ
私の庭を訪ねて頂き、ありがとうございます。2020年3月スタート。 お花が好きでGSを始めてから特に山野草が大好きになりました。 宜しくお願い致します。
場所
お出かけ先
キーワード
野草
日本固有種
東高根森林公園
平和を願う
水曜日は水色
山野草マニア
素敵な水曜日
一期一会のお花♡
愛の花♡
青い花で夏祭り2025
植物
タマアジサイ
玉紫陽花
タマアジサイ蕾
投稿に関連する植物図鑑
タマアジサイ(玉紫陽花)の育て方|育てる土や水やりの頻度、必要な手入れは?
タマアジサイ(玉紫陽花)の育て方|育てる土や水やりの頻度、必要な手入れは?
タマアジサイ🌿💜💠💜🌿
アジサイ科アジサイ属の
落葉低木で日本固有種🌿
①周りに可愛い装飾花💠
真ん中に繊細な両性花🌿💠🌿
お花の直径10~15㎝位💠
②タマアジサイの名前は丸い玉状のツボミの中に花を構成する全てが入っているから🟢
③綻んだ蕾から装飾花1輪と
両性花も1輪が可愛い🌿💠🌿
④蕾が開くと包んでいた苞は落ち散房花序状の集散花序が開きます💠
⑤森林公園の立派な株🌳
🏷水曜日は水色
午後も宜しくお願いします☺
🏷青い花で夏祭り2025
🏷素敵な水曜日
いつもの森林公園で🏞️
①③④⑤
2025.7.26
②2025.6.23