warning
error
success
information
ログイン
タイムライン
マイアルバム
アカウント設定
注文履歴
ログアウト
カテゴリから探す
観葉植物
多肉植物・サボテン
ガーデニング
花
家庭菜園
ハーブ
植物の栄養・効能
植物の病気・害虫
植物の種類・品種
雑草
野草・山草
読みもの
植物図鑑
買いもの
投稿
投稿一覧
みどりのまとめ一覧
植物SNS GreenSnap
家庭菜園
キンカン,キンカン,キンカンの果実の投稿画像
真理さんのキンカン,キンカン,キンカンの果実の投稿画像
キンカン
キンカンの果実
いいね
876人
がいいね!
シェア
ツイート
投稿の削除
この投稿を削除しますか?
いいえ
はい
真理
2025/01/11
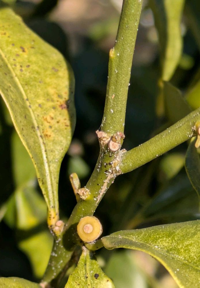
キンカン
喉の調子が良くない時は、金柑のど飴!₍₍🍭(˃ ᵕ ˂⸝⸝)
開花から150日から品種によっては200日程度が収穫の目安とか? 何日経ったのか分からないが緑色をした実は硬く、いかにも酸っぱそうだ🟩
ところが鮮やかな黄色に色づくと、今度はそのままかぶりつきたくなる(๑´∀`๑)
ミカンの仲間にしては葉の翼は目立たず棘もあまりない(,,>᎑<,,)
甘露煮も良いけれど、皮のまま生食出来るのが魅力のビタミンカラー🟡
ラスカル
2025/01/11
おはようございます。
今は高嶺の花ですが
キンカンを生で食べるのが大好きです^_^
喉の調子が良くないから
のど飴も良いですね。
楽しい土曜日をお過ごしください♪
いいね
1
返信
真理
2025/01/11
@ラスカル
さん
寒いですね(。 >﹏<。)
陽射しのある所でキンカンを眺めると
チョッピリ元気に୧(⁎˃◡˂⁎)୨
いいね
3
返信
はと豆2
2025/01/11
いいですね😊キンカン🟠🎶我が家は作ってないけど近所さんに木があるから分けてほしいです❣️ある方ほど収穫しないけどどうなんだろう😅🤔私は毎年買って蜂蜜煮🟠🟠🟠をして美味しくいただきます😋
いいね
1
返信
真理
2025/01/11
@はと豆2 さん
(´∀`*)ウフフ
確かに!「なんぼでもある」と思うと収穫しないかも(๑´∀`๑)
蜂蜜煮 お作りになるんですね
(๑´ڡ`๑)
いいね
1
返信
真理
2025/01/11
[@id:2089220] さん
そう聞きますよね♫
実も皮も美味しい(๑´ڡ`๑)
投稿なさったの
白い玉ですよね?
そのまま色が変わらず?
いいね
0
返信
真理
2025/01/11
@ いぃちゃん さん
花も葉もフユサンゴに見えまして
普通、実は白からオレンジ、そして赤へと変わっていくのですよねぇ?
白のままというのは見たことがなくてΣ(⊙ө⊙*)!!
いいね
0
返信
えぐぞう
2025/01/11
大雪☃️☃️☃️です😱
青空と暖色が妬ましい....😭😭😭
いいね
1
返信
真理
2025/01/11
@えぐぞう
さん
大変なことになってますね
:;(∩:﹏:∩);:
いいね
1
返信
はと豆2
2025/01/11
@真理 さん少しなんですが作ります🤗🟠🟠🟠🎶すぐ食べてしまいます😋😂
いいね
1
返信
真理
2025/01/11
@はと豆2
さん
お湯を注いでも美味しいでしょう🟠🟠🟠
いいね
1
返信
おいちゃん
2025/01/11
💙🟡🟡🟡💙🍀🟡🍀
青空に マッチ
より
美味しそうですね 🟡✌🟡
いいね
1
返信
はと豆2
2025/01/11
@真理
さん喉にも良くて暖まりそうですね🤗🟠🟠🟠
いいね
1
返信
えぐぞう
2025/01/11
@真理
さん
毎日☃️‼️ただでさえ暗い性格がさらに暗くなりそうです😭
いいね
1
返信
ラスカル
2025/01/11
@真理
さんの投稿で元気もらってます😃
いいね
1
返信
真理
2025/01/11
@えぐぞう
さん
性格暗いのぉ⁉️
冬の間は雪下ろし
通勤も買い物はもちろん
とにかく暮らすだけで大変だと思いますけど᥀֭֜❄۫˖
GSでコメントバンバン入れて
無理矢理明るくすると良いかもぉ❤
お待ちしてます(,,• •,,)ᶫᵒᵛᵉ♡*໒꒱ ⡱
いいね
1
返信
真理
2025/01/11
@おいちゃん
さん
とにかくビタミンカラー🟡🟠♬
いいね
1
返信
真理
2025/01/11
@はと豆2
さん
なんでもその果実に合った味わい方
先達は上手に教えてくれていますよね(๑´ڡ`๑)
いいね
1
返信
真理
2025/01/11
@ラスカル
さん
色々あってもGS続けられること
なにより幸せですよね(*´˘`)♡
お互い元気に乗り切りましょうね❤
いいね
1
返信
ラスカル
2025/01/11
@真理
さん
はい🫡
いいね
1
返信
えぐぞう
2025/01/11
@真理
さん
今は冬眠して英気を養い3月中旬の1番雪割草(オオミスミソウ)、2番福寿草、3番ショウジョウバカマ、4番カタクリ、5番キクザキイチゲ、6番キクバオウレンと続くダイナマイト打線が雪を粉砕‼️やや遅れて大エース・オオイワカガミの豪速球が雪を解かし岡田監督を胴上げや〜❣️🤣🤣🤣
いいね
1
返信
真理
2025/01/11
@えぐぞう
さん
早春°˖𖤐*⃝
爆発する春♡
今は耐えて⁝(ृʾ́꒳ʿ̀ ृ )ु⁝
いいね
1
返信
えぐぞう
2025/01/11
@真理
さん
キャンプ・インまで冬眠しまする🐻
😴💤
いいね
1
返信
青空が好き
2025/01/11
こんばんは😊
今年は とても高いですよね
毎年 おせちの一品で砂糖煮を作ります
こんた というキンカン ご存じですか
中まですごく甘いのです。生食1択です
ただ あんまり出回ってないかも 。です
いいね
1
返信
真理
2025/01/12
@青空が好き
さん
こんた?
初めての名前です!
ググってみましたら樹上で完熟させて糖度20度以上とか‼️
それはそれはお砂糖で煮なくても
そのままで充分甘いでしょうね〜
アマ─ヽ(〃∀〃)ノ──ィ
いいね
1
返信
ぽっぽ焼き
2025/01/12
こんにちは✨😃❗☁️⛅️☀️☀️☀️
キンカン🟠
丸かじりと言うか口にポンで食べられて好きで昨年苗木を庭に植えました😊
葉っぱをほとんど虫(正体分からず😓)にやられてしまいました😢
生きててくれるかなぁ~😓
今年もどうぞよろしくお願いいたします😊🙇⤵️⤵️⤵️
いいね
1
返信
真理
2025/01/12
@ぽっぽ焼き さん
こんにちは☀
キンカン復活すると良いですね✧٩(ˊωˋ*)و✧
こちらこそ、本年もどうぞ
よろしくお願いしますm(_ _)m
いいね
1
返信
青空が好き
2025/01/13
おはようございます
また こんたのお話です…
たまたま スーパーで売ってたので買って食べたら びっくりしました。キンカンの概念が変わります。
次の年はネットで注文しました。
多分 静岡だったか 一部でしか作られていないと 聞いたような。
柑橘類は進化がすごいですよね
毎年のように新しい品種が出ますね
でも 昔ながらの 中が酸っぱい キンカンも好きです。小さいオレンジ色は 元気の固まりみたい🧡
いいね
1
返信
りまちゃん
2025/01/17
きんかん大好きなので春になったらお迎えする予定😉
いいね
1
返信
真理
2025/01/17
@りまちゃん
さん
それは楽しみですねぇ♬
いいね
0
返信
皇帝ダ
2025/02/01
わたしは
🍊キンカンジャム茶です🧉
キンカンジャムはもちろん自家製です
いいね
1
返信
真理
2025/02/01
@皇帝ダ
さん
素晴らしいっ⤴⤴⤴
いいね
1
返信
投稿する
GreenSnapのおすすめ機能紹介!
【無料で利用できる】写真を撮るだけ!アプリが植物・花の名前を教えてくれる『教えて!カメラ』のご紹介!
家庭菜園に関連するカテゴリ
観葉植物
多肉植物・サボテン
ガーデニング
花
ハーブ
植物の栄養・効能
植物の病気・害虫
植物の種類・品種
雑草
野草・山草
開催中のフォトコンテスト
コンテスト一覧
家庭菜園のみどりのまとめ
0
2025/12/16
うりずん豆🫛花から根っこまで😳
今年初めて知ったうりずん豆(四角豆)。名前を聞いたのも見たのも育てたのも食べたのも初めて❗️そして季節が終わりプランターを片付けていた時、プランターの底に何か大きなものが‼️😳
176
2025/12/15
No.79 イチゴ🍓から採種して、種蒔き成長記録📝。
2023/12季節外れの小さなイチゴ🍓が実った。食べるには小さい。🍓から種を取って蒔いて育てた記録です。 ⚠️私がいちご🍓の種と思っていたツブツブは種ではなく、その中に種が入っていると知りビックリ。追記してます🙏。
118
2025/12/14
🔰極苗一翠太ネギを育てる🔰
カネコ種苗さんありがとうございます😊人生初の長ネギ栽培してみます!
家庭菜園の関連コラム
2025.12.11
温州みかんの収穫時期はいつ?種類別の収穫カレンダーとおいしい保存方法
2025.11.13
【ゆずの収穫時期とタイミング】関東の取りごろの目安はいつ?
2025.10.08
ヤーコンの収穫時期の目安とは?栽培中に剪定は必要?
2025.09.24
ニンニクのコンパニオンプランツ一覧|混植したい野菜と相性の悪い野菜
2025.09.02
イチジクの収穫時期はいつ?タイミングの見分け方や保存方法は?
2025.08.28
ジャガイモの後作に相性のよい野菜は?根菜やナス科がNGな理由は?
家庭菜園の関連コラムをもっとみる
真理
縁あって夫が丹波篠山に居を構えて5年近くが経ち、 私は都会での活動もあって、元々の住まいである西宮との二拠点生活をしていますがこれが当たりでした‼️ 土と緑の豊富な場所は心地よいです(⌒‐⌒) 開始 2020.05.14 たくさんの方にフォロー頂き感謝します😃 ただ私のキャパを大きく越えておりますため、フォローバックしていない事をお許しくださいm(__)m 出来るだけ訪問させていただきます😅
キーワード
ミカン科
ビタミンカラー
キンカン属
ミカン科キンカン属
ミカン科ミカン属
2020年5月同期
子房上位
植物
キンカン
キンカン
キンカンの果実
投稿に関連する植物図鑑
金柑の木の育て方|鉢植え栽培もおすすめ!肥料や収穫時期はいつ?
投稿に関連する花言葉
キンカンの花言葉|花の時期や種類、家庭菜園でも育てられる?
喉の調子が良くない時は、金柑のど飴!₍₍🍭(˃ ᵕ ˂⸝⸝)
開花から150日から品種によっては200日程度が収穫の目安とか? 何日経ったのか分からないが緑色をした実は硬く、いかにも酸っぱそうだ🟩
ところが鮮やかな黄色に色づくと、今度はそのままかぶりつきたくなる(๑´∀`๑)
ミカンの仲間にしては葉の翼は目立たず棘もあまりない(,,>᎑<,,)
甘露煮も良いけれど、皮のまま生食出来るのが魅力のビタミンカラー🟡