warning
error
success
information
ログイン
タイムライン
マイアルバム
アカウント設定
注文履歴
ログアウト
カテゴリから探す
観葉植物
多肉植物・サボテン
ガーデニング
花
家庭菜園
ハーブ
植物の栄養・効能
植物の病気・害虫
植物の種類・品種
雑草
野草・山草
読みもの
植物図鑑
買いもの
投稿
投稿一覧
みどりのまとめ一覧
植物SNS GreenSnap
家庭菜園
ビワ,ビワの花,ビワの実の投稿画像
*naomi*さんのビワ,ビワの花,ビワの実の投稿画像
ビワ
いいね
333人
がいいね!
シェア
ツイート
投稿の削除
この投稿を削除しますか?
いいえ
はい
*naomi*
2023/12/04
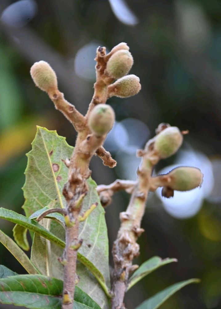
おはようございます🌄✨😊
夜中から強く吹いていた風の音もやみました😃
今日のお花、ビワ❀🌿😍
もふもふのマフラーに包まれて、暖かそう🧣😊💕
②③は市役所のビワ、3/31撮影📱
これは実ですよね?🤔
今日も穏やかな良い月曜日をお過ごしくださいね😃💕
今週もどうぞよろしくお願い致します🙇🎶
🏷今日のお花
ジュリアーノ
2023/12/04
おはようございます🌅
枇杷お花は小さいけどモフモフ暖かそうなんですよね🌿🧡🤗🧡🌿
今朝はバッチリご一緒出来て嬉しいです✨🏊👍
朝は冷え込んでますね〜🥶🥶🥶
昼間は穏やかに晴れそうで良かったです☀
素敵な月曜日お過ごし下さいね🌸😉🌸
今週も宜しくお願いします💐☺💐
いいね
1
返信
*naomi*
2023/12/04
@ジュリアーノ
さん😊
おはようございます🌄✨😃
一番に見て頂きましてありがとうございます😍
バッチリご一緒出来て嬉しいです🙌💃💕🎶🏊♀🏊♀
今朝じゅんさんとも話したのですが…
今頃花が咲いて、実は夏になる?
その間花は?ずっと咲いてる!?
不思議な果物ですよね〜🤔😂🎶
今朝も寒いですよね〜🌬🍃🥶
暖かくして良い月曜日をお過ごしくださいね☀🦮🚶♀🧣🧤🧥
今週もどうぞよろしくお願い致します🙇♀💕
いいね
1
返信
投稿する
GreenSnapのおすすめ機能紹介!
【無料で利用できる】写真を撮るだけ!アプリが植物・花の名前を教えてくれる『教えて!カメラ』のご紹介!
家庭菜園に関連するカテゴリ
観葉植物
多肉植物・サボテン
ガーデニング
花
ハーブ
植物の栄養・効能
植物の病気・害虫
植物の種類・品種
雑草
野草・山草
開催中のフォトコンテスト
コンテスト一覧
家庭菜園のみどりのまとめ
0
2025/12/16
うりずん豆🫛花から根っこまで😳
今年初めて知ったうりずん豆(四角豆)。名前を聞いたのも見たのも育てたのも食べたのも初めて❗️そして季節が終わりプランターを片付けていた時、プランターの底に何か大きなものが‼️😳
176
2025/12/15
No.79 イチゴ🍓から採種して、種蒔き成長記録📝。
2023/12季節外れの小さなイチゴ🍓が実った。食べるには小さい。🍓から種を取って蒔いて育てた記録です。 ⚠️私がいちご🍓の種と思っていたツブツブは種ではなく、その中に種が入っていると知りビックリ。追記してます🙏。
118
2025/12/14
🔰極苗一翠太ネギを育てる🔰
カネコ種苗さんありがとうございます😊人生初の長ネギ栽培してみます!
家庭菜園の関連コラム
2025.12.11
温州みかんの収穫時期はいつ?種類別の収穫カレンダーとおいしい保存方法
2025.11.13
【ゆずの収穫時期とタイミング】関東の取りごろの目安はいつ?
2025.10.08
ヤーコンの収穫時期の目安とは?栽培中に剪定は必要?
2025.09.24
ニンニクのコンパニオンプランツ一覧|混植したい野菜と相性の悪い野菜
2025.09.02
イチジクの収穫時期はいつ?タイミングの見分け方や保存方法は?
2025.08.28
ジャガイモの後作に相性のよい野菜は?根菜やナス科がNGな理由は?
家庭菜園の関連コラムをもっとみる
*naomi*
いつもいいね♡ありがとうございます😊❤ 只今多忙につきお祝い自粛中です😅頂くのもご辞退しています🙇 どうぞよろしくお願い申し上げます🙇
キーワード
モフモフ
今日のお花
キュンキュン乙女倶楽部
月曜日を爽やかに
秘密の花園♡
花咲く乙女たち♡
愛の花♡
白い貴婦人✨
植物
ビワ
ビワの花
ビワの実
投稿に関連する植物図鑑
ビワ(枇杷)の育て方|苗木の植え付けや植え替えの方法、剪定や収穫の時期は?
夜中から強く吹いていた風の音もやみました😃
今日のお花、ビワ❀🌿😍
もふもふのマフラーに包まれて、暖かそう🧣😊💕
②③は市役所のビワ、3/31撮影📱
これは実ですよね?🤔
今日も穏やかな良い月曜日をお過ごしくださいね😃💕
今週もどうぞよろしくお願い致します🙇🎶
🏷今日のお花