warning
error
success
information
ログイン
タイムライン
マイアルバム
アカウント設定
注文履歴
ログアウト
カテゴリから探す
観葉植物
多肉植物・サボテン
ガーデニング
花
家庭菜園
ハーブ
植物の栄養・効能
植物の病気・害虫
植物の種類・品種
雑草
野草・山草
読みもの
植物図鑑
買いもの
投稿
投稿一覧
みどりのまとめ一覧
植物SNS GreenSnap
家庭菜園
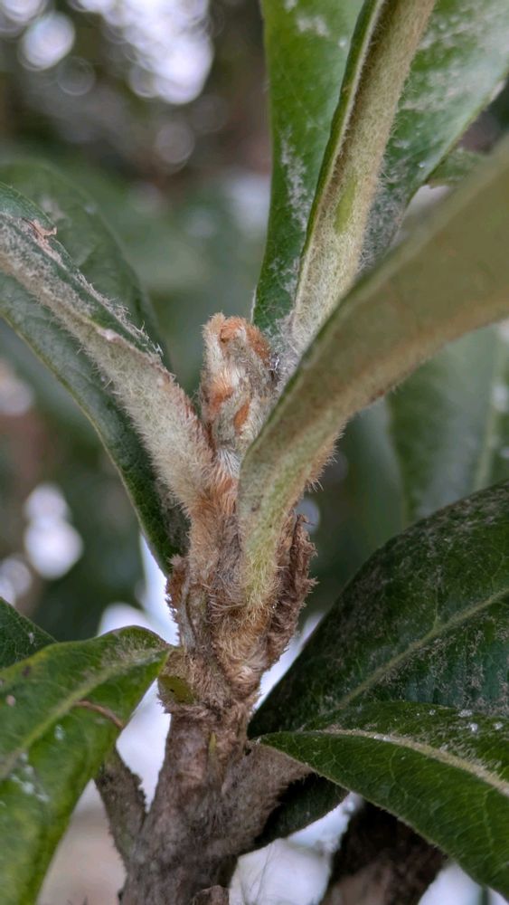
ビワ,ビワ,ビワの花の投稿画像
真理さんのビワ,ビワ,ビワの花の投稿画像
ビワ
ビワの花
枇杷の葉
ビワの葉芽
いいね
700人
がいいね!
シェア
ツイート
投稿の削除
この投稿を削除しますか?
いいえ
はい
真理
2026/01/30
ビワ
蕾はモフモフとした毛に覆われて、いかにも暖かそうだ♬花の乏しいこの時期に、蜜の甘い香りを漂わせて大ぶりの花を咲かせるビワの木は、虫や鳥たちのレストランだ(๑´ڡ`๑)
互生する葉は分厚くて、裏側を見ると、葉脈がくっきりと飛び出している🟩
葉裏にも萼片にも、色々なところに毛が密生しております(ノ)・ω・(ヾ)
⚠️重要⚠️ 突然フォロー⚠️
❌「今日の褒め言葉は」「自分で植えたのですか?」「季節の贈り物ですね」「あなたの好きな花はなんですか」「美しい花壇」などなど❌
こんなコメントをする人はスルー‼️ フォローは解除し、ブロックをお勧めします(◉ω◉)クワッ‼️
コメント返しがなかなか上手な輩もいるけど、結局はライン誘導🤑アマゾンのギフト券送ってくれとか?
貼り付けられているラインアドレスは興味本位でタップしないこと‼️
仲間が次から次とやってきます(-_-#) ('ω'乂)
‼️⚡追加⚡‼️
以下、ちょっと会話してみた🤑
ヒロシ マコト
2026/01/30
おはようございます。今日の褒め言葉は、このお花がとても気に入ったということです。ご自身で植えられたのですか?😊
よろしくお願いいたします。
いいね
1
返信
真理
2026/01/30
@ヒロシ マコト
さん
おはようございます☀
そうなんですよ♬綺麗でしょ!
ヒロシ マコトさんは日本に住んでおられるのですか?
どんなお花が好きですか?
いいね
3
返信
ヒロシ マコト
2026/01/30
@真理
私は福岡出身ですが、あなたはどうですか?桜の美しさとエネルギーが大好きです。
いいね
1
返信
123
2026/01/30
おはようございます😊
🐶散歩道でもビワのお花見かけます❣️😍こんな感じです😊💕
GSもぶっそうになってきましたね😵💦
ほかのフォロワーさんも注意してのコメントが⚠️
いいね
2
返信
真理
2026/01/30
@ヒロシ マコト さん
福岡ですか!
色々と美味しいものがありますよね!
ラーメンは何味がお好きですか?
桜といえば福岡の名所は……ええっと……福岡城ってありましたかしら、どこの公園が綺麗でしたっけ?
いいね
2
返信
真理
2026/01/30
@123
さん
はいはい
↑みたいなやり取りですね(^_-)
いいね
3
返信
ヒロシ マコト
2026/01/30
@真理
ご配慮いただき、誠にありがとうございます。いつもここにいるわけではないのですが、引き続きお話させていただきたいと思います。もしよろしければ、LINEでお話させていただいてもよろしいでしょうか?お話したいことはたくさんありますが、プロフィールにLINEリンクを貼っておきますので、クリックしてLINEに追加してください。LINEでご連絡をお待ちしております✅。ありがとうございます
いいね
2
返信
ヒロシ マコト
2026/01/30
@真理
https://line.me/ti/p/kvDuQQrFu4
いいね
0
返信
123
2026/01/30
@真理
さん😊
気をつけて💦
いいね
1
返信
真理
2026/01/30
@123
さん
もうちょっと引っ張ってみるわ〜(^_-)
いいね
6
返信
真理
2026/01/30
@ヒロシ マコト
さん
あら!残念です(´⌓`)
ラインだとどんなお話できるのかしら?
良かったら、こちらでもう少しお話しませんか?
いいね
3
返信
ヒロシ マコト
2026/01/30
@真理
花についても色々話せますね💐 植物を育てるという点でも、あなたから学ぶことはたくさんあると思っています🪴 私の LINE を追加していただければ大変光栄です。
いいね
1
返信
真理
2026/01/30
@ヒロシ マコト
さん
ぜひそうしたいのですが、
どうやってすればいいのかわからないのです(T_T)
いいね
4
返信
ヒロシ マコト
2026/01/30
@真理
私を LINE で追加して、もっと話しましょうか。または、もっといいのは、私にあなたの LINE 追加リンクを送ってくれることです。そうすれば、あなたを追加できます。私の LINE リンクは私のプロフィールにあります。それをクリックして私を追加するだけです。
いいね
1
返信
真理
2026/01/30
@ヒロシ マコト さん
よくわからない……
リンクとか……(T_T)
クリックとか カタカナばかり…
ヒロシ マコトさんは詳しいのね!
お医者さんとかですか?
いいね
5
返信
ヒロシ マコト
2026/01/30
@真理
そうですね、私は医者ではありません。ただ自然と植物を愛する人間です。
私は海洋労働者で、石油・ガス会社でプロの海洋・掘削リグエンジニアとして働いており、南シナ海で働いています。
いいね
1
返信
真理
2026/01/30
@ヒロシ マコト さん
えっ!それはとても興味深いお仕事ですね♬
そしてきっとお金持ちなんだわ!
いいね
6
返信
ケイチャン
2026/01/30
おはようございます。🌿
昨日より何だか物騒なコメントが飛び交ってて機械音痴な私は怖いと、思いながらもどう対処すればと分かりません。
文章変なのは分かってもあまり対処法もイマイチです。
只,ラインしないようにとは思ってます。
真理さんから花のお話は楽しみにしてますが昨日よりのgsさん達の注意喚起を読んでます。
花を楽しんでる、学んでる仲間を騙すんですね。物騒が身近にあるんですね。怖いですね。🌿
いいね
1
返信
ヒロシ マコト
2026/01/30
@真理
はい、その通りです。追加できるようにLINE IDを送っていただけませんか。
いいね
1
返信
真理
2026/01/30
@ヒロシ マコト さん
ラインだとどんな良いことがあるのかしら?
私はこのまま、もう少しあなたのことが知りたいわ♬
いいね
2
返信
かし
2026/01/30
おはようございます☀
真理さんの勇気は驚きです‼️
私はコメ入りましたが、長押しで削除しました。
何と言う人かは忘れましたがフォローされましたが、いつの間にか外れてました😑
いいね
3
返信
ヒロシ マコト
2026/01/30
@真理
では、まずはこのようにお話したいのですね。まずは自己紹介からさせてください。私の名前はヒロシです。福岡出身で、現在はシンガポールで働いています。あなたはどうですか?
いいね
1
返信
真理
2026/01/30
@ヒロシ マコト
さん
私はヒマを持て余している主婦で、兵庫県に住んでいます
いいね
2
返信
ヒロシ マコト
2026/01/30
@真理
あなたは素晴らしい街に住んでいます。私はいつでもあなたと一緒にいられるように努力しますし、あなたが私にそうする機会を与えれば、あなたも退屈しなくなるでしょう。ところで、今朝の朝食は何を食べますか?
いいね
1
返信
真理
2026/01/30
@ヒロシ マコト
さん
お餅を焼きました!
そしてヨーグルト
ヒロシさんはどうですか?
いいね
2
返信
ヒロシ マコト
2026/01/30
@真理
コーヒー☕️を飲んだばかりですが、昨日は本当に暑かったので、今朝は爽やかです。
いいね
1
返信
真理
2026/01/30
@ヒロシ マコト
さん
こちらはずいぶん寒いんですよ!
ヒロシさん お子さんは?
いいね
2
返信
ヒロシ マコト
2026/01/30
@真理
はい、私にはソフィアという娘がいます。LINE での会話をもっと楽しみたいと思いませんか? 私のプロフィール ✔️ を確認してください。そこに LINE のリンクがあります 👀 😉 それをクリックすると、LINE で私を見つけることができます。
https://line.me/ti/p/kvDuQQrFu4
いいね
1
返信
真理
2026/01/30
@ヒロシ マコト さん
外国の方と結婚されたの?
日本人じゃないの?
いいね
2
返信
ヒロシ マコト
2026/01/30
@真理
私は日本人です。父は日本人、母は中国の上海出身です。私は中国人の女性と結婚しましたが、数年前に彼女は亡くなりました。私には娘が残され、彼女の中国名は玉児です。
いいね
0
返信
真理
2026/01/30
@ヒロシ マコト
さん
まぁ、なんて悲しいこと(T_T)
玉児ちゃん 可愛らしいでしょう♬おいくつ?
今日はお仕事は?
いいね
2
返信
ヒロシ マコト
2026/01/30
@真理
ああ、今日の仕事は海の底で働くことになりました🌊、ええ、彼女は海の底でした。私も56歳です。あなたはどうですか?結婚していますか、それとも独身ですか?子供はいますか?
いいね
0
返信
真理
2026/01/30
@ヒロシ マコト さん
彼女は海の底って⁉️
こんな仕事をしていて
辞めようと思うことはありませんか?
いいね
2
返信
ヒロシ マコト
2026/01/30
@真理
もちろん、日本に戻って定住したいという思いも常に持っています。
いいね
1
返信
真理
2026/01/30
@ヒロシ マコト
さん
そろそろ辞めればよいのに!
人を騙すお仕事(^_-)
いいね
2
返信
ヒロシ マコト
2026/01/30
@真理
どういう意味ですか
いいね
0
返信
真理
2026/01/30
@ヒロシ マコト
さん
あら?
いいね
1
返信
ヒロシ マコト
2026/01/30
@真理
私は誰も騙していません。私はとても正直で率直な人間だと信じてください。
いいね
0
返信
ヒロン
2026/01/30
オハヨウゴザイマス〜🙏💪
流石っス〜(笑)(笑)(笑)
真理さんに遊ばれてるのが〜
解らないのか〜⁉️⁉️⁉️
💬のやり取りに感服しまし
た〜私も~💬来ました~が…
LINEへの誘導は〜スムシした
ら~それっきりでした〜⭕
真理さんの様に〜💬して〜
逆に情報を得てるのが〜スコイ
マニュアルが有るのかな~
ホンマの話かは分からんけど
〜⁉️⁉️⁉️真理さん👏👏👏
いいね
3
返信
真理
2026/01/30
@ヒロシ マコト さん
そうなの?
だってこんな一介の主婦と長々とお話するなんて?
何か欲しいのかと思った……
いいね
2
返信
真理
2026/01/30
@ヒロン さん
日本人でこの名前?
このアイコン?
訳わからんわぁ(笑)
でも学習されるのもイヤなので
そこは突っ込まないことにしました!
私だって嘘っぱち書いたって
良いよねぇ(笑)
いいね
5
返信
ヒロシ マコト
2026/01/30
@真理
だからあなたが結論づけたのね、私があなたに理解してもらいたいのは、あなたが私に話しかける様子が興味深くて、あなたがどんな人なのかを知りたかったということ。主婦だからといって、あなたと話せないわけじゃない。人を知るには1日かかると言われるように。
いいね
0
返信
risho
2026/01/30
いま事務局に全ユーザーへ注意喚起してくださいと依頼しました。
管理者の方がきちんとした方ならば注意喚起してくださるのではないかと思いますがはたして!
いいね
7
返信
真理
2026/01/30
@ヒロシ マコト
さん
素敵ね!
日本語はどこで勉強されたの?
いいね
2
返信
真理
2026/01/30
@risho
さん
去年はしなかったわ……
いいね
2
返信
ヒロシ マコト
2026/01/30
@真理
福岡県立福岡高等学校
いいね
1
返信
risho
2026/01/30
@真理
さん
私も去年はしませんでした。とりあえずすぐ気がつくので自分ではブロック(そもそもこういう時のためにあるものですしね)しました😑
いいね
2
返信
ヒロン
2026/01/30
@真理
さ~ん👌✌️👍🥰😉
もちのロ〜ン 楽しかったわ
〜多分若いコでは無いのかな
〜海外で〜有ったでしょ〜
あの詐欺事件〜タイだったか
〜カンボジアだったか〜国境
近くに〜幽閉状態で〜1人逃
げて〜その場所が分かり摘発
された事件が〜又新たな感じ
なんかな〜⁉️⁉️⁉️ムシろう
っと〜👌✌️👍🥰😍🤩😉💪
いいね
1
返信
真理
2026/01/30
@risho
さん
いや、去年運営に何度も
「全ユーザーに告知すべき」
と伝えたけれど
運営が動かなかったという意味です
いいね
2
返信
ヒロシ マコト
2026/01/30
@真理
今何をしているんですか?
いいね
0
返信
risho
2026/01/30
@真理
さん
広告を載せるだけでなくてこういう時こそ、中の方が動くべきだと思うのですが😤
複数名で事務所に呼びかけたらどうなるでしょうか?
とにかく放置するような案件ではありませんよね😓
いいね
2
返信
真理
2026/01/30
@ヒロシ マコト
さん
あらっ!何期生?
うちの甥っ子と近い!
いいね
1
返信
ヒロシ マコト
2026/01/30
@真理
1989年
いいね
0
返信
ヒロシ マコト
2026/01/30
@真理
LINEで追加しませんか
いいね
0
返信
sei
2026/01/30
。゚(゚^∀^゚)゚。ギャーハッハッハッハッハッハハッハッハッハッハッハ !!
真理さん引っ張るねー
ついに自分とこにも「美しい自然」さんから来たわ🤣
ソッコー ブロックand削除したけど毎日来られたらホンマに鬱陶しいなぁ
運営さんの出番やな!
いいね
1
返信
真理
2026/01/30
@ヒロシ マコト
さん
嫌!
いいね
2
返信
ヒロシ マコト
2026/01/30
@真理
なぜですか?
いいね
0
返信
真理
2026/01/30
@risho
さん
散々言ったけどね〜
今年も、GS内のユーザーの写真パクってるのもあってね
これは流石にと思って
追求してますが、動かんわぁ
いいね
5
返信
真理
2026/01/30
@sei
さん
疲れるわ(笑)
「人を騙す仕事」でやめられるかと思ったけど
続けてきたね!
いいね
3
返信
真理
2026/01/30
@ヒロシ マコト さん
他の人にもおんなじ褒め言葉
コピペで使ってるから!
いいね
2
返信
ふくちゃん
2026/01/30
私も以前おかしなコメントに、おかしいなぁと思いつつ…お花好きの仲間?なのだから…と、返答してしまい、真理さんからの(気をつけて)のアドバイスがあって、やっぱヤバいよな💦と気付かされました。その節はありがとうございました。
あの後から、GSを気持ちよく楽しめるようにアンテナ張って、アレ?なものはブロック!です😜
いいね
2
返信
真理
2026/01/30
@ふくちゃん
さん
ホンマに早く消えて頂きたいですよね!
いいね
3
返信
真理
2026/01/30
@ケイチャン
さん
全く困ったもんですよね😔
早く普通の投稿に戻りたいです(,,>᎑<,,)
いいね
3
返信
真理
2026/01/30
@かし さん
↑ そろそろ終わろうと
何度か水を向けるけど
読解力が弱いのよねぇ…
相手もしぶとい(笑)
いいね
5
返信
risho
2026/01/30
@真理
さん
とりあえず自分たちで動くしかないので、前に「不審者」タグを作ってくださった方がいるので、自分がいま投稿したのにつけて、注意喚起の文をつけました。
数の力で運営が動いてくれないかとの期待もしたいのですが……🤔
いいね
3
返信
ハイビスカスさくら
2026/01/30
真理さん おはようございます🌅
真理さんの勇気にはびっくりポン!!ビクビクしながらも笑ったわ〜💦
完全に、日本人ね。出てきた情報は本当かどうか分からないけど、福岡で1、2を争う進学校の福岡高校とか知っているのは、やはり福岡県出身かしらね🤔
いいね
1
返信
ヒロシ マコト
2026/01/30
@真理
コピーして貼り付けるのではなく、単に私が見た写真と花を褒めているだけです
いいね
0
返信
ヒロシ マコト
2026/01/30
@真理
これが、私たちがLINEで話そうとした理由です
いいね
0
返信
真理
2026/01/30
@ハイビスカスさくら さん
にしては日本語の読解力なさすぎ!
固有名詞だけ、ポンと出すなんて!
ありえん(笑)
福岡出身って言った以上、
辻褄を合わせようと検索したんだと思いましたよ?
1989年
と出すのも、AIに計算させたね(笑)
この返しは日本人じゃないので
あの上手な輩とは別人と見た!
いいね
3
返信
真理
2026/01/30
@ヒロシ マコト
さん
他の人の投稿にも
同じこと書いたよね?
いいね
1
返信
森 森
2026/01/30
おはようございます😊
👏👏👏👏👏真理さん凄い!👍
いいね
2
返信
真理
2026/01/30
@森 森 さん
そろそろ相手にばれた?(笑)
いいね
2
返信
123
2026/01/30
こんにちは😊
真理さん、遊んでる😅💦
いいね
2
返信
真理
2026/01/30
@123
さん
逃げられたよ( ´△`)
いいね
3
返信
123
2026/01/30
@真理
さん😊
ありゃ😅💦
いいね
1
返信
ケイチャン
2026/01/30
@真理
さん🌿
そうですね、楽しみな投稿が怪しんで読まなきぁいけないなんて寂しいです。🌿
注意喚起有難うございます。のほほ~んと一昨日迄、寄せ植え楽しんでました。m(_ _)m💕
いいね
1
返信
ハイビスカスさくら
2026/01/30
@真理
さん なるほどね💦
第一アイコンは外国人ぽいけどね?一昨日からグリスナ内のパトロール🚓しすぎて、ジムに遅刻しそうになったり、庭の水やりやビニールハウスを開け忘れたり😰😰😰
新しい投稿も止まっています😮💨
いいね
1
返信
真理
2026/01/30
@ハイビスカスさくら
さん
まず楽しみましょう〜♬
お昼ご飯 牛乳余ってるので
白菜と肉団子の簡単クリームシチュー作ってます♬
いいね
2
返信
ねこみみ
2026/01/30
おはようございます。真理さんすごい👍
私にもなんちゃらTanaka 、ステラ、などからコメ入ってました。他のGSユーザーさんからブロックの仕方教わり、ブロックしました。😱沢山の怪しい方がいてびっくり‼️してます。早く通常通りのGSになりますように🙏
いいね
1
返信
ハイビスカスさくら
2026/01/30
@真理
さん 私は今日はジムが閉館日なので、暇ですが、ボチボチパトロール🚓😄スマホ首になりそうだからね🤣
私もしばらくしたら焼きそば作ります。日田風焼きそば。こちらでは日田焼きそばが有名。(余談ですが🤣)
いいね
1
返信
真理
2026/01/30
@ハイビスカスさくら
さん
はいは〜い♬
それにしてもヒロシに、ラーメンの味と、
存在しない福岡城のネタふったのに
返って来なくて残念だった……
いいね
4
返信
真理
2026/01/30
@ねこみみ さん
例文? 見本?
みたいな感じで(笑)
よろしければご案内ください(爆笑)
いいね
3
返信
ヒロシ マコト
2026/01/30
@真理
いいえ、しませんでした
いいね
0
返信
真理
2026/01/30
@ヒロシ マコト
さん
???
見たよ?
それとも別の名前で書いたの?
いいね
1
返信
ヒロシ マコト
2026/01/30
@真理
もっと詳しく説明してもらえますか? あなただけに話しかけてるって言っただけだよ。そう、写真が気に入ったから何かの投稿にコメントしたんだよ。
いいね
0
返信
真理
2026/01/30
@ヒロシ マコト
さん
あ!別の女性だったわ!
いいね
2
返信
真理
2026/01/30
@123 さん
再開中!
早よ気づいてくれぇ(笑)
からかってんの、わかんないの?
それなら早くお金の話 だしてよ!
いいね
4
返信
ヒロシ マコト
2026/01/30
@真理
まあ、他の女性?どこでそれを見たり聞いたりしたの?ちょっと待って、嫉妬してるの?他の女性と話してなかったよ。
いいね
0
返信
123
2026/01/30
@真理
さん😊
🤣🤣🤣
わざとかな❓それともほんとにわからないのかな
GSの事務所こんなにみんなこまってるのに動いてくれないんですね💦💦💦
いいね
2
返信
真理
2026/01/30
@ヒロシ マコト
さん
ダブルミーニングなんだけどなぁ……
そろそろお昼ご飯は?
いいね
1
返信
ヒロシ マコト
2026/01/30
@真理
はい、もうランチの時間です。LINEでもっとお話できますか?ここで話すより、LINEの方が便利ですよ。
いいね
1
返信
カモミール
2026/01/30
こんにちは♪
真理さん、アッパレ👏👏👏
朝一番にやってきた怪しげコメント📝
即ブロックしました😊
いいね
1
返信
真理
2026/01/30
@ヒロシ マコト
さん
なんで?
変わらないじゃない?
いいね
1
返信
ヒロシ マコト
2026/01/30
@真理
LINEで追加してもらえますか
いいね
0
返信
真理
2026/01/30
@ヒロシ マコト
さん
ラインなら出来て
このサイトでは出来ないことってなんなの?
いいね
1
返信
ヒロシ マコト
2026/01/30
@真理
わかりました。コメント欄と LINE でのみ話をしていることを理解してもらいます。そこではプライバシーが守られ、適切にコミュニケーションをとることができます。本当にこれをすべて説明する必要がありますか?
いいね
0
返信
真理
2026/01/30
@ヒロシ マコト
さん
プライバシーが守られることは分かりました
なぜその必要があるの?
他の人に知られたくない内容の会話って何?
いいね
1
返信
ヒロシ マコト
2026/01/30
@真理
私のことをもっとよく知り、良い会話をしたいと思っているなら、私のプロフィールにあるリンクから LINE で追加してください。または、コメント セクションでチャットする代わりに、LINE の追加リンクを送信することもできます。
いいね
0
返信
真理
2026/01/30
@ヒロシ マコト さん
アマゾンのギフト券はどうですか?
いいね
1
返信
ヒロシ マコト
2026/01/30
@真理
何のために必要なのですか?
いいね
0
返信
真理
2026/01/30
@ヒロシ マコト
さん
お買い物をしたいの
プレゼントしてもらえませんか?
いいね
1
返信
ヒロシ マコト
2026/01/30
@真理
🤔🤔🤔
いいね
0
返信
真理
2026/01/30
@ヒロシ マコト
年金ぐらしのシングルマザーなの!
ラインでだったら送金先教えるわ!
いいね
1
返信
真理
2026/01/30
@ヒロシ マコト
PayPayが便利かしら?
いいね
1
返信
おいちゃん
2026/01/30
暖かいコートで
寒さを
防御している琵琶のお花
🍋🟢🍋🟢🍋
初夏には
たくさん 実りそうですね
コメント 応戦
漫才を
見てるようで 🤣🤣🤣
不謹慎ですが
おかしいです
今日は
私の回りでは
美しい自然が
かっぽしてます 😥
長押しで
削除 👋👋
相手に
しない事にしました
皆んなで
注意喚起
安心して
楽しめる GSを
取り戻しましょう 💪💪
いいね
1
返信
ヒロシ マコト
2026/01/30
@真理
何を言っているんですか?
いいね
0
返信
真理
2026/01/30
@ヒロシ マコト
さん
あなたこそ
何を言ってるんだか?
いいね
3
返信
真理
2026/01/30
@おいちゃん
さん
ほんとにねぇ……
早く通常運転に戻りたいわ!
いいね
1
返信
おいちゃん
2026/01/30
@真理 さん
琵琶の モフモフコートの
ように
外的から 身を守り
私達も
一致団結して
撃退しましょう 🙋
いいね
1
返信
ゆっち
2026/01/30
@まりさん、素晴らしい👏👏👏
お疲れ様でした。
コピペ、、名前が違うって、、
元を辿れば同じ人物ってことなのですね。
ほんとうにもう!😡ですね。
ありがとうございます。
いいね
1
返信
risho
2026/01/30
@真理
さん
事務局から返信ありました。他にも同様の案件が多数寄せられたので該当すると思われるアカウントの停止、これからの見回りを続けますとのことです。
ユーザーへの注意喚起もしていくとのことでした。
一応証拠としてその文面スクリーンショットしておきました😊
いいね
7
返信
risho
2026/01/30
真里さん、皆様、いま運営から注意喚起のコメントが出ました!
いいね
3
返信
真理
2026/01/30
@risho
さん
(ง`▽´)งヨッシャァ!
いいね
3
返信
真理
2026/01/30
@risho
さん
ってどこ?
うちのタイムラインには流れない
iPhoneですか?
いいね
1
返信
ハイビスカスさくら
2026/01/30
@真理
さん、続きのバトル、さらに笑っちゃいました。
アマゾンギフト券、paypay
🤣 こちらから請求とか、笑うしかない。🤣🤣🤣
いいね
1
返信
risho
2026/01/30
@真理
さん
右上に🔔マークないですか?
タップするとお知らせとあって、公式アカウントの表示があると思います😊
いいね
2
返信
真理
2026/01/30
@risho
さん
あったあった(^_-)
あとは「悪質アカウント」の凍結、早くしてもらいましょ♬
いいね
3
返信
ハイビスカスさくら
2026/01/30
@真理
さん お知らせの右端の方よ💕
いいね
1
返信
レオノブ
2026/01/30
@真理さん
初めまして
いつも投稿を見て頂きありがとうございます😊
また✨いいね👍️もありがとうございます😊
真理さんの注意喚起で運営事務局も重い腰を動かしましたネ
真理さんは植物、生物学お詳しいですね 専門家さんですかネ⁉️
今後もヨロシクお願いします🙇
フォローさせて頂きます😄
いいね
2
返信
ハイビスカスさくら
2026/01/30
早くLINEを貼っている全員のアカウントを凍結して欲しいなあ
いいね
2
返信
♡miwa♡
2026/01/30
真理さん
こんにちは
今事務局から返信がきました
詐欺アカウントのフォローもコメントも
全て消えました
たくさん動いてくださって
寄り添ってくださって
本当にありがとうございました🙇
ご迷惑をおかけしました
心から感謝しています✨
いいね
2
返信
真理
2026/01/30
@ハイビスカスさくら
さん
見た見た
いいね
2
返信
真理
2026/01/30
うちにも「順次アカウントを凍結してまいります」
って返信きたよ
( ˙꒳˙( ˙꒳˙ )˙꒳˙ )
去年のことがあったからかな?
今年は案外早かった✌
いいね
5
返信
真理
2026/01/30
@♡miwa♡
さん
また、手を変え品を変え出てくるかも知れませんけれど
我々もそんなにお人好し
じゃないんだよ٩(๑•̀д•́๑)۶
いいね
4
返信
真理
2026/01/30
@レオノブ さん
一介の主婦にござりまする(,,>᎑<,,)
早くお金でもギフト券でも
振り込んでほしいわ(笑)
これからもどうぞよろしくお願いします(♡˙³˙)
いいね
3
返信
♡miwa♡
2026/01/30
@真理 さん
まだそんなに
簡単なことではないんですね
ごめんなさい…
いいね
1
返信
真理
2026/01/30
@miwa さん
m(_ _)m
「お人好しじゃないんだよ」
ってのは敵に言いました🙏
名前が変わったってやっつける!
っていう意味です💪
こちらこそ、誤解させてゴメンナサイね(,,>᎑<,,)
いいね
2
返信
sei
2026/01/30
@真理 さん
公式から
注意喚起来ましたね!😆
もっと目立つお報せの方がいいけど
ひとりひとり自分の投稿でも注意喚起していけたらいいなぁ😊
いいね
1
返信
真理
2026/01/30
@sei
さん
そうなのよぉ……
結局は個人個人が危険察知する力だとは思うんだけどね……
いいね
4
返信
ピーター
2026/01/30
真理さん
尊敬します‼️
返しが最高🤣🤣🤣👍
いいね
1
返信
真理
2026/01/30
@ピーター
さん
日本語の上手い、英語の女性名を名乗るのがいるのよ!
そいつともっと遊びたい!
いいね
1
返信
真理
2026/01/30
@123
さん
一応、公式から注意喚起が出ましたね(*^ー゚)b
いいね
2
返信
123
2026/01/30
@真理
さん😊
見てきました💦
これでやれやれですね❣️😍
真理さんお疲れ様でした‼️‼️‼️
いいね
1
返信
♡miwa♡
2026/01/30
@真理 さん
謝らないでくださいね
私が分かっていなくて
ごめんなさい
ハイビスカスさくらさんとも
今コメントしていて
私は相手に反感をかうのが怖かったので
ブロックしていなかったんですけど
フォロー一覧とコメントは消えていて
でもハイビスカスさくらさんから
今も存在して見えていると
言われました…
しばらく気をつけようとは思っています
いいね
1
返信
ビビ⋅アン
2026/01/30
@真理
さん
私にも来ましたが!
消えてました🙆🏼
いろいろありがとうございました🙇🏼🙏🏼
いいね
1
返信
マリン
2026/01/30
こんにちは
私のとこにも来ています。怖いですね〜😰😱
花の投稿画ではないのに、綺麗な花ですね。
とありましたから認知の問題か?と
思いましたが、私はこの欄にお花なんか
載せてありませんよ!
と送っておきました。
フォローさせてと言って来ました。
怖ーい!
@真理さん注意喚起⚠️ありがとうございました😭
いいね
4
返信
真理
2026/01/30
@♡miwa♡
さん
確かに削除されたアカウントもありますので、
きっとmiwaさんのところに来ていた人は消えたんですよ♬
良かったですねぇ\(^o^)/
いいね
2
返信
真理
2026/01/30
@ビビ⋅アン
さん
よかったです♬
ヒロシ マコトとも、近々お別れかしら…
ちょっと淋しい(笑)
いいね
1
返信
真理
2026/01/30
@マリン さん
公式からの注意喚起が出ましたので
少し前に進みました(^_-)
いいね
1
返信
ハイビスカスさくら
2026/01/30
@真理
さ〜ん。
消えたのはだあれ?
いいね
1
返信
N子
2026/01/30
真理様
本物のN子です
此の度は実質動いて頂き
とりあえず
本部から発表されましたので一安心
でも名前替えて次々出て来ていますね
今朝の長時間の探りの会話
快哉❗ 流石の真理様です🙏
GSの皆様が頼りにしています
大変だとは思います
が 今後とも
よろしくお願いします😌⤵️🙏
お礼の言葉 遅くなり
申し訳ありません😌⤵️
いいね
1
返信
真理
2026/01/30
@ハイビスカスさくら
さん
ジャノヒゲの投稿のとこ、見てくださる?
笑わせてくれるわぁ!
いいね
2
返信
真理
2026/01/30
@ハイビスカスさくら さん
のお部屋に行きますね♬
いいね
1
返信
♡miwa♡
2026/01/30
@真理 さん
本当にいろいろと
ありがとうございます🙇
いいね
1
返信
にっしん
2026/01/30
こんばんは😊
私にも事務局から返信が来ました😊
やっと動いてくれましたね。
ありがとうございました🙇💕
今、真理さんの素晴らしいコメントで
気が楽になりました。
何度も来るし、私からフォローしたみたいなのも2回もあったし、気がおかしくなりそうでした。
ありがとうございました。
GSのほうを楽しみたいと思います🙇🌸🍀💕🎶
いいね
2
返信
ハイビスカスさくら
2026/01/30
@真理
さん なんじゃこりゃあ!あれだけ真理さんと交わしておきながら、お決まり文章でアプローチが始まり、コメントを続ける🤔
時間も被ってませんか?
いいね
1
返信
ハイビスカスさくら
2026/01/30
@真理 さん なんで同じ時間帯で向こうは真理さんに気付かず、怪しいコメントを出してくるのかな?
相手は同時に複数? 真理さんとのバトルは日本語分かる人が対応して、ジャノヒゲヒロシは日本語分からん外国人で、日本語は決まり文句を打ち込むだけのお仕事? またはAIにやらせているのかなぁ🤔
バトル相手の真理さんとジャノヒゲの真理さんが同じ人物と分かってないということですよね🤔。
いいね
1
返信
真理
2026/01/30
@ハイビスカスさくら
さん
もうすぐヒロシとも別れなければならないのかしら
߹ㅁ߹) ᒡᑉᒡᑉᐧᐧᐧ
いいね
1
返信
ハイビスカスさくら
2026/01/30
@真理
さん また笑わせないで〜🤣🤣🤣🤣🤣
いいね
1
返信
ハイビスカスさくら
2026/01/30
今パトロールしていたら、まだジュディス田中が働いていました。18時59分。夜勤でしょうか。ミルクさん家に訪問中。
いいね
1
返信
真理
2026/01/30
@ハイビスカスさくら さん
N子さんのとこのは
ちょっと構ってみました
新しいアカウントについても通報しているので
時間の問題かと思いますが
貰った方は気分が悪いよねぇ……
でも、笑い飛ばせばいいのよ!
なかったことにして、無視無視(笑)
とお伝えください(^_-)
いいね
1
返信
ハイビスカスさくら
2026/01/30
@真理
さん 今パトロール🚓していたらLINE貼り付けた「田中明子」さんがいたんだけど、この名前、出てたっけ?
いいね
1
返信
ハイビスカスさくら
2026/01/30
今、このコメント欄は152投稿。200まで頑張るか🤣
いいね
1
返信
YUKI
2026/01/30
こんばんは!
27日にさくらの投稿にいいね!を下さった真理さんでしょうか。
GS花友のmikiさんから怪しい投稿を真理さんが通報していますよ、と教えてくれました。
この様な事は初めてでしたので、ブロック🚫の仕方を教わりブロックできましたので安心しました。
色々ご尽力して頂きありがとうございました🙏
今日一日どんよりした気持ちで過ごしておりました、お陰様でこれからは少し変な投稿には疑い無視することも勉強しました。
本当にありがとうございました🤗
いいね
4
返信
真理
2026/01/30
@ハイビスカスさくら さん
N子かな(*_*)
使ってる画像……
またの名をジュディスTanaka
いいね
1
返信
ハイビスカスさくら
2026/01/30
@真理
さん 私は記憶力低下中。田中がいっぱい。なんで田中なんだろう😮💨
田中明子には「田中明子.」点まで付いているわ💦
ジム友に田中明子さんがいるから、愛着ある名前😮💨
いいね
1
返信
真理
2026/01/30
@YUKI
さん
2度とこんなことで悩まされたくないですよねぇ(T_T)
99.99% 楽しいGS♬
これからも、ご一緒に楽しませてくださいね(,,>᎑<,,)
いいね
1
返信
ハイビスカスさくら
2026/01/30
@真理
さん 変身か😮💨
いいね
1
返信
YUKI
2026/01/30
@真理
さん
本当にこんなことあってはならないですね。
振り回されて…でもお陰様でスッキリしました。
これからもGS花友でよろしくお願いします🙆
いいね
1
返信
N子
2026/01/30
@真理
様
先程 食事中のため
様子をみていました
応対 対応 有難うございました
フォロワーの3人残しておいたら 3人消えて 新しく2人
田中明子.
ジュイデス田中戻ってきた?
今の時期なのに
いいね する時は不用意にされず考えて押してほしいですね
ちょっと食後 寝ていました失礼しました😌⤵️
いいね
2
返信
♡miwa♡
2026/01/31
真理さん
夜中にごめんなさいm(_ _)m
「ジュディス田中」のアカウントで
コメントされているのに
削除されて喜んでいる方がいたので
スクショを撮らせてもらって
事務局に添付して削除要請をしました
まだいろんな所にいるんですね😣
全GS会員のアカウントから削除されるまで、通報を続けようと思います
これからもよろしくお願いします🙇
いいね
1
返信
♡miwa♡
2026/01/31
たびたびごめんなさいm(_ _)m
N子さんのコメント欄でやり取りされているのを見させていただきました
対応してくださっていてありがとうございます🙇
いいね
1
返信
まさか
2026/01/31
@真理
さん!!!!はい!!!
Comment返し上手い(笑)
有り難う御座います!?!✨
私!?!✨疲れました!!!(笑)
まだまだ十分ではないですネ
困りましたね!!!??!✨
気付かない方が沢山ですネ
いいね
1
返信
みっちー
2026/01/31
@真理
さん…
楽しくやり取りを見させてもらいました🤭
やっぱり奴は変な奴だったのか…
私は3回もブロック☝️
そして息子に言われた…
「変な奴ってたくさんいるょ!暇なんだよなぁーきっと…」だって😅
今日も元気に楽しくいきたいですね😉👋
いいね
2
返信
典子
2026/01/31
お早うございます 数日前から色々と
…私の方にもありました ブロックの方法は知ってたのですがコメントの削除は判らなく自分の投稿そのまま丸ごと削除した次第です 名前を変えて又出てくるやも知れませんねぇ~😭
強力な対応策があればいいのですが!
いいね
1
返信
真理
2026/01/31
@典子
さん
おはようございます☀
投稿まるごと削除は辛かったですね(T_T)
これからそのようなことがあった場合は、コメント長押し削除でまいりましょう♬
もっとも、またこんな輩には来て欲しくありませんけれどね!(-_-#)
いいね
1
返信
真理
2026/01/31
@まさか
さん
どうにかして、お金を引き出す所まで行きたかったんですけどね(๑´∀`๑)
いいね
2
返信
真理
2026/01/31
@みっちー さん
いや、ホント、
こんなGSにまでやって来て
ヒマなんでしょうねぇ(๑´∀`๑)
いいね
3
返信
123
2026/01/31
おはようございます😊
きのう私のフォロワーさんの所に
ジュディス田中となのる人が真理さんの時と同じないようでコメントしてます😵💦
ぜったいヒロシです😅
フォロワーさんはそのコメント無視してました そのほうがいいですよね
まだまだ完全にアカウント消えるまで時間かかりそうですね💦
いいね
1
返信
inno
2026/01/31
おはようございます
31日~早朝復活!🧟♂️ゾンビ!
『田中あいか』
🔰投稿📸は 桜🌸です
いいね
1
返信
真理
2026/01/31
@inno
さん
田中組はあいか、明子ピリオドありとなし2名
サラ・ハナコってのも出てますね(笑)
いいね
4
返信
inno
2026/01/31
@真理
さん!✴️(笑)
田中組って!!
いいね
1
返信
真理
2026/01/31
@123 さん
今朝の段階で私が把握できているのは15名
活動が活発なのは数名だけれど!
一応全員のアカウントは
3点リーダー︙から
コピペして通報してます
全部は無理だと思うから、
自衛しかないなぁ
いいね
2
返信
ハイビスカスさくら
2026/01/31
真理さん、おはようございます🌅昨晩私が注意喚起をして不審者ブロックをされた方の所に、今朝は田中あいかがコメント侵入😰
事務局、もっと早くアカウント凍結してくれないかなぁ。
え、「田中明子.」と「田中明子」がいるの?サラ・ハナコも〜💦🥴真理さん、探し出すの、早いわ👍️
いいね
3
返信
真理
2026/01/31
@ハイビスカスさくら
さん
チーム・ブルーに参加って、
ずいぶん偉くならはったわぁ!
いいね
3
返信
ピンクのコスモス
2026/01/31
@真理さん
おはようございます
今朝も冷えますねぇ〜🌸
本当にブルー🩵のお花
素敵です♪
真理さんのお花を👀観ると
ホットします🌸
早く、迷惑なコメ欄…無くなることを願うばかりです🙏
いいね
1
返信
ピンクのコスモス
2026/01/31
@真理さん
コメント📝欄…一つ前にしちゃつた!
今日のブルー🩵の花へのコメント📝でしたはなあ
いいね
1
返信
ハイビスカスさくら
2026/01/31
@真理 さん 私も今「チーム・ブルー」の方が警告をしていてびっくりしました。明子は岩手県と秋田県で同じ画像。チーム.ブルーと書かれているからか、急にリフォロー者が増えています😰
いいね
3
返信
真理
2026/01/31
@ピンクのコスモス
さん
おはようございます☀
今日も本当に寒いですねぇ
(。 >﹏<。)
でも昨日も思ったほどの雪が降らずに、凍っている道もだんだん溶けてくるかしら?
今日も元気にまいりましょう💪
いいね
1
返信
ピンクのコスモス
2026/01/31
@真理
さん
はーい🙋♀️
元気出して行きましょう🌸
いつもありがとうございます😊🌸
いいね
2
返信
inno
2026/01/31
@真理 さん
『田中明子.』手強いです!
・・注意喚起していたら~
クレームきました
いいね
2
返信
真理
2026/01/31
@inno
さん
えっ!
明子から⁉️
いいね
2
返信
inno
2026/01/31
@真理 さん
『君たちはわたしを
からかっているの?』
↑って!
田中明子.←小さな(・)付けてる
いいね
2
返信
真理
2026/01/31
@inno
さん
どッひゃー!
いいね
2
返信
真理
2026/01/31
@inno
さん
ま、言われたって実質は変わらないから
ビクともしないけれど、
花ともさんもInnoさんも
ビックリしましたね👀
いいね
1
返信
inno
2026/01/31
@真理 さん
もう一人一人(ヤリトリしてる人)に
注🚨喚起するのやめます
私の🌸友さんだけ
途中 LINE、辺りで気付くでしょ
気づけ❗
今日はゴルフ❄でクローズで
時間があったから
いいね
2
返信
真理
2026/01/31
@inno
さん
注意喚起も嫌な気持ちになってまで
やりたくないですよねぇ(T_T)
いいね
1
返信
真理
2026/02/01
@かし
さん
田中明子.
を名乗る輩のプロフィール読んでくださいませんか?
のんちゃん(東京都)さんのプロフィール
パクリです!
いいね
1
返信
かし
2026/02/01
@真理
さん
この方は、フォローされていて、読んでました!
確か、例のコメも入りましたが、すぐ削除してました!
いつ消えるのか、見ているのですが相当増えているみたいですね😖
どこかで聞いたことあるような、
プロフィールの文章だと思っていたんです🤔
そうです。のんちゃんさんでしたね👍
なんだかベテランそうに思いましたし岩手県とも書いてあって😑
確認して見たらのんちゃんをもフォローししてますね!
全く図々しい😟!
のんちゃんさんとは昨日もやり取りしてました。
すぐにのんちゃんにもコメ入れておきます。
私も親しくしている方には、注意喚起しているのですが、リフォローしている人も多くて嫌な感じですね😤😤
いつもありがとうございます😊
いいね
2
返信
真理
2026/02/01
@かし
さん
昨日までは、チーム・ブルーのきなこさんのプロフィール 使ってたんです!
ピリオドなしの田中明子は
今でもそれを使ってます💢
いいね
1
返信
かし
2026/02/01
@真理
さん
そちらも、一応確認してました😤😤
いいね
1
返信
よし
2026/02/02
真理さん•*¨*•.¸♬︎
おはようございます♪
いつもいいねをありがとうございます😊
そして真理さんのこちらでのコメント見て、あ、やはり!と
変な文章からの?
危ない危ない
お陰様で被害なしだったので良かったです
ありがとうございました*.꒰ঌ♥໒꒱.*
いいね
1
返信
真理
2026/02/02
@よし
さん
とんでもないです🙏
全く巧妙な手口でアプローチしてきますよね!
いいね
1
返信
ハイビスカスさくら
2026/02/02
@inno
さん 私の方はアプローチ無し。相当数リフォローした人のpicに注意喚起コメントを書き込んでいるけどな。
田中明子.は昨日からかなり前の投稿に書き込んでいるから、私もかなり前までの投稿までパトロール続行中🚓
innoさん、コメント閉じておいてね😅
いいね
1
返信
inno
2026/02/02
@ハイビスカスさくら さん
・・・皆さん お一人 お一人に
🚨🚨🚨🚨コメントなさってましたね
・・・どうか
お疲れ出ませんように
本来は楽しい🌺🌼🪻GSなのに
いいね
1
返信
ハイビスカスさくら
2026/02/02
@inno
さん まだ大丈夫💪
首肩が、ちょっと痛いけど😅
LINE誘導バスターズを頑張るわ😄
いいね
1
返信
ハイビスカスさくら
2026/02/03
@真理
さん
今日も1日「田中明子」のフォロワー減らしに奔走🤣🤣🤣
田中がリフォローもらい、コメントしたら、その後の投稿に注意喚起コメントを書き込み。リフォローされても私が減らしてあげるています🤣🤣🤣
でもいい加減にして欲しい。
私が田中明子をターゲットにしているのは、他人のプロフィールを完全にパクリ、プロフィールは心ある文章なのに、やっていること真逆。
リフォローを一桁にしたいけどなかなか難しいわ。
皆優しいから、リフォローしてあげるのよね〜💦
いいね
1
返信
真理
2026/02/03
@ハイビスカスさくら さん
大変大変お疲れ様ですm(_ _)m
みなさま本当に丁寧な方だから、あとあとやって来ることには気づかずに
ついついフォローバックされますね(´>ω<`)
私も、明子の頁にコメントされた方の投稿にイイネをして、
それとなく注意喚起を読んでいただければと思っています
また、親しい方にはコメント入れているのですが……
>運営!
早くなんとかしてくれ!
いいね
1
返信
投稿する
GreenSnapのおすすめ機能紹介!
【無料で利用できる】写真を撮るだけ!アプリが植物・花の名前を教えてくれる『教えて!カメラ』のご紹介!
家庭菜園に関連するカテゴリ
観葉植物
多肉植物・サボテン
ガーデニング
花
ハーブ
植物の栄養・効能
植物の病気・害虫
植物の種類・品種
雑草
野草・山草
開催中のフォトコンテスト
コンテスト一覧
家庭菜園のみどりのまとめ
20
2026/02/01
小庭でブルーベリー🫐を育ててみよう
3年前に、ラビットアイ(ΦωΦ)を2本、同じ鉢に植えっぱなして畑に放置。 何度も枯れるかと思ったけど、力強く生き延びてくれた。 今回、自宅に運んで育て直すことにしたよ。
214
2026/01/31
野菜遺産プロジェクト参加 大葉春菊🌿👩🌾
伝統野菜の種が届きました いつもお店で買う春菊と味が違うのかな 収穫したら 鍋料理🍲・天ぷら・和え物……楽しみ ᕙ(@°▽°@)ᕗガンバルネ
27
2026/01/30
プランターで🍓を育ててみよう🎵
冬場は日陰が多くなる小庭だけど、この春には🍓がいくつか実りました。 気を良くして、来春には小庭de🍓狩りを目指しま〜す!
家庭菜園の関連コラム
2026.01.23
2月に植える野菜7選|プランターでも育てやすいのはどれ?
2026.01.09
【1月に植える野菜一覧】プランター栽培が簡単でおすすめなのは?
2025.12.11
温州みかんの収穫時期はいつ?種類別の収穫カレンダーとおいしい保存方法
2025.11.13
【ゆずの収穫時期とタイミング】関東の取りごろの目安はいつ?
2025.10.08
ヤーコンの収穫時期の目安とは?栽培中に剪定は必要?
2025.09.24
ニンニクのコンパニオンプランツ一覧|混植したい野菜と相性の悪い野菜
家庭菜園の関連コラムをもっとみる
真理
縁あって夫が丹波篠山に居を構えて5年近くが経ち、 私は都会での活動もあって、元々の住まいである西宮との二拠点生活をしていますがこれが当たりでした‼️ 土と緑の豊富な場所は心地よいです(⌒‐⌒) 開始 2020.05.14 たくさんの方にフォロー頂き感謝します😃 ただ私のキャパを大きく越えておりますため、フォローバックしていない事をお許しくださいm(__)m 出来るだけ訪問させていただきます😅
キーワード
白い花
白が好き
バラ科
冬芽
ビワ属
バラ科ビワ属
注意喚起
金曜日の蕾たち
2020年5月同期
子房下位
注意喚起(不審コメント)
植物
ビワ
ビワ
ビワの花
枇杷の葉
ビワの葉芽
投稿に関連する植物図鑑
ビワ(枇杷)の育て方|苗木の植え付けや植え替えの方法、剪定や収穫の時期は?
蕾はモフモフとした毛に覆われて、いかにも暖かそうだ♬花の乏しいこの時期に、蜜の甘い香りを漂わせて大ぶりの花を咲かせるビワの木は、虫や鳥たちのレストランだ(๑´ڡ`๑)
互生する葉は分厚くて、裏側を見ると、葉脈がくっきりと飛び出している🟩
葉裏にも萼片にも、色々なところに毛が密生しております(ノ)・ω・(ヾ)
⚠️重要⚠️ 突然フォロー⚠️
❌「今日の褒め言葉は」「自分で植えたのですか?」「季節の贈り物ですね」「あなたの好きな花はなんですか」「美しい花壇」などなど❌
こんなコメントをする人はスルー‼️ フォローは解除し、ブロックをお勧めします(◉ω◉)クワッ‼️
コメント返しがなかなか上手な輩もいるけど、結局はライン誘導🤑アマゾンのギフト券送ってくれとか?
貼り付けられているラインアドレスは興味本位でタップしないこと‼️
仲間が次から次とやってきます(-_-#) ('ω'乂)
‼️⚡追加⚡‼️
以下、ちょっと会話してみた🤑