warning
error
success
information
ログイン
タイムライン
マイアルバム
アカウント設定
注文履歴
ログアウト
カテゴリから探す
観葉植物
多肉植物・サボテン
ガーデニング
花
家庭菜園
ハーブ
植物の栄養・効能
植物の病気・害虫
植物の種類・品種
雑草
野草・山草
読みもの
植物図鑑
買いもの
投稿
投稿一覧
みどりのまとめ一覧
植物SNS GreenSnap
家庭菜園
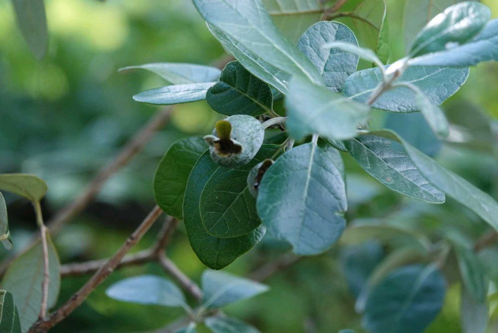
フェイジョア,フェイジョアのお花,フェイジョアの果実の投稿画像
serendipityrumiさんのフェイジョア,フェイジョアのお花,フェイジョアの果実の投稿画像
フェイジョアの果実
フェイジョアのお花
いいね
71人
がいいね!
シェア
ツイート
投稿の削除
この投稿を削除しますか?
いいえ
はい
serendipityrumi
2025/08/17
1〜4 フェイジョアの実
5 6月に咲いたフェイジョアの花
遊具のある近くの公園の端にある
フェイジョア
今年は数え切れない位、たくさんの実をつけています。熟したら、頂いて味見をしたいけど😋
うさこ
2025/08/17
おはようございます☀
よそのお庭のフェイジョア 食べてみたいです 鳥の赤ちゃんがピヨピヨ言ってそうな姿の実がかわいいです♪
いいね
1
返信
serendipityrumi
2025/08/17
@うさこ さん
いつも思うけど住宅街近くの公園の実は取っても良いのかしら?学校の外庭のカリン、柿は毎年収穫すること無く、落ちて腐って行きます。せめて、収穫すれば良いのにと毎年思います。このフェイジョアは誰か収穫するのでしょうか…
いいね
1
返信
こらぼっ
2025/08/17
おはようございます😃
フェイジョアの実がずずなり!
優秀な株ですね
先日散歩中フェイジョアの実をはじめて見つけました!
一つだけなってました
下向きでしたよ
大きくなってくると下向きになるのかな
近いうちpic up したいと思っています
いいね
1
返信
serendipityrumi
2025/08/17
@こらぼっ
さん
おはようございます☀
どうなんでしょうね
大方が横か上を向いていました。花も下向きに咲いていなかったように思います。
観察してください、私も又見に行きますね!!
いいね
0
返信
投稿する
GreenSnapのおすすめ機能紹介!
【無料で利用できる】写真を撮るだけ!アプリが植物・花の名前を教えてくれる『教えて!カメラ』のご紹介!
家庭菜園に関連するカテゴリ
観葉植物
多肉植物・サボテン
ガーデニング
花
ハーブ
植物の栄養・効能
植物の病気・害虫
植物の種類・品種
雑草
野草・山草
開催中のフォトコンテスト
コンテスト一覧
家庭菜園のみどりのまとめ
0
2025/12/16
うりずん豆🫛花から根っこまで😳
今年初めて知ったうりずん豆(四角豆)。名前を聞いたのも見たのも育てたのも食べたのも初めて❗️そして季節が終わりプランターを片付けていた時、プランターの底に何か大きなものが‼️😳
174
2025/12/15
No.79 イチゴ🍓から採種して、種蒔き成長記録📝。
2023/12季節外れの小さなイチゴ🍓が実った。食べるには小さい。🍓から種を取って蒔いて育てた記録です。 ⚠️私がいちご🍓の種と思っていたツブツブは種ではなく、その中に種が入っていると知りビックリ。追記してます🙏。
118
2025/12/14
🔰極苗一翠太ネギを育てる🔰
カネコ種苗さんありがとうございます😊人生初の長ネギ栽培してみます!
家庭菜園の関連コラム
2025.12.11
温州みかんの収穫時期はいつ?種類別の収穫カレンダーとおいしい保存方法
2025.11.13
【ゆずの収穫時期とタイミング】関東の取りごろの目安はいつ?
2025.10.08
ヤーコンの収穫時期の目安とは?栽培中に剪定は必要?
2025.09.24
ニンニクのコンパニオンプランツ一覧|混植したい野菜と相性の悪い野菜
2025.09.02
イチジクの収穫時期はいつ?タイミングの見分け方や保存方法は?
2025.08.28
ジャガイモの後作に相性のよい野菜は?根菜やナス科がNGな理由は?
家庭菜園の関連コラムをもっとみる
serendipityrumi
2025 11月 プロフィールカバーは 11月に咲いた秋桜畑と向日葵 アイコンはノブドウ 何年も投稿されていない方のフォローを外させて頂きました。 始めた頃の投稿タグに今見ると随分間違いを発見します。 過去の投稿ですので追記と記す事無く気付いた時にキャプションを書換え、訂正することがあることを書き添えておきます。 身の回りのお花達に寄せる思いが写真を通して少しでも伝わると嬉しいです。 植物以外、野鳥、虫、風景等も撮り下記にも投稿しています。 Amebablog 「花々と星々と」 アドレスは期間限定らしく直ぐに消えます。ハンドルネームはGSと同じです
キーワード
公園の植栽
植物
フェイジョア
フェイジョアのお花
フェイジョアの果実
投稿に関連する植物図鑑
フェイジョアの育て方|鉢植えにできる?挿し木や植え替え時期を解説
5 6月に咲いたフェイジョアの花
遊具のある近くの公園の端にある
フェイジョア
今年は数え切れない位、たくさんの実をつけています。熟したら、頂いて味見をしたいけど😋