warning
error
success
information
ログイン
タイムライン
マイアルバム
アカウント設定
注文履歴
ログアウト
カテゴリから探す
観葉植物
多肉植物・サボテン
ガーデニング
花
家庭菜園
ハーブ
植物の栄養・効能
植物の病気・害虫
植物の種類・品種
雑草
野草・山草
読みもの
植物図鑑
買いもの
投稿
投稿一覧
みどりのまとめ一覧
植物SNS GreenSnap
家庭菜園
クワ,コウゾ,ミツマタの投稿画像
夏の花ひまわりさんのクワ,コウゾ,ミツマタの投稿画像
いいね
83人
がいいね!
シェア
ツイート
投稿の削除
この投稿を削除しますか?
いいえ
はい
夏の花ひまわり
2025/06/05
昨日は奈良に行ってきました
いつも横目で見るだけで入ってなかった万葉植物園に行きました
この植物園は万葉集にゆかりのある植物を植えてあるので派手さはないですが、藤園は種類も多く、本数も多いので先月に行ってたら見事なフジの花を見られたことでしょう
1枚目コウゾ
こんな風に説明書きがあります
3枚目スゲ カヤツリグサの種類は多く これでスゲの笠を作るのかな〜と見てました。花が咲いてたのでパチリ📱
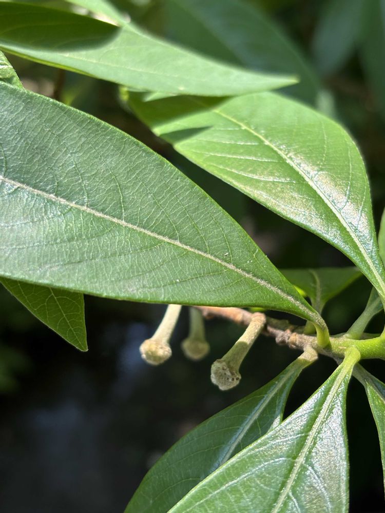
4枚目はミツマタ 花も終わって種も落ちて、、、
5枚目はうちの庭の桑の木 大きくなるのですぐに枝を落としてるけど実はついてる?
中の方で付いてました❣️
absolute ゼロ
2025/06/05
🍀
あらっ
くわの実が成ってる👀‼️
はいはい
あの菅なのね~🤔
あかねだすきに菅の笠➰
いいね
1
返信
夏の花ひまわり
2025/06/05
@absolute ゼロ
さん
生活に密着している植物でまとめてみました〜
クワ、覗き込んで見つけました!
すぐにモッサモサになって切ってしまいたいけど、可哀想だから置いてる。
実は一個食べたけど、もう良いか〜
昨日たわわになってるグミの実見たけど、それも味知ってるから良いか〜
いいね
1
返信
ふーちゃん
2025/06/05
こんにちは😃
カヤツリグサなるほど🧐
スゲの笠🎶〜
ミツマタはすっかり終わりましたねー
桑の実
ジャム大好きです😍
いいね
1
返信
夏の花ひまわり
2025/06/05
@ふーちゃん
さん
桑の実、読むほどしかないのでジャムは無理です😆
今朝は枇杷でジャムを作りました。
もう枇杷も終わりかけです。
次はブラックベリーがいっぱいなるのでジャム作ります❣️
いいね
1
返信
ふーちゃん
2025/06/05
@夏の花ひまわり
さん
へー
枇杷ジャムですか
良いですね🙆
いいね
1
返信
absolute ゼロ
2025/06/05
@夏の花ひまわり
🍀
側にあると
案外食べないよね➰
よその庭に成る実は
ほしかったりするよね~🤔
いいね
1
返信
そらもよう
2025/06/05
こんばんは😊
桑の実なってますね〜❤️💜
そのまま食べる❓
コウゾ、昔の呼び名全然違うんですね😳
いいね
1
返信
夏の花ひまわり
2025/06/05
@そらもよう
さん
クワの実、食べないです😆
味はブラックベリーの方が美味しいはずですから。
万葉集に読まれて昔からの植物。
ゆっくり見ながら過ごせる場所でした。
外国からの人もいましたが、ちょっと難しいかも😞
いいね
1
返信
そらもよう
2025/06/05
@夏の花ひまわり
さん
桑の実食べないですか😆
万葉集の中でも呼び方からどうしてコウゾと呼ばれるようになったのかな🤔
外国人観光客、今はGoogle翻訳もあるからそれ見てるかも知れないですネ😊
私も旅行中や帰ったあとも絵の説明書を見たり、お土産買いに行った時もGoogle翻訳見ながら選んだりしました☺️
クセになって何でもかんでもGoogle翻訳をかざして遊んでました😆
いいね
1
返信
夏の花ひまわり
2025/06/06
@そらもよう
さん
外国の人でも日本の侘び寂びが好きな人いますが、家族連れの人に万葉植物はちょっと残念だったかもと思いました。
春の花はほとんど終わって、初夏の花はまだでした。
カシワバアジサイは個人の家の方がキレイだったんですよ😆
ちょっと手入れが、、、
Google翻訳機使いこなしたら怖いものなしですね💕
ドラえもんの世界です!
いいね
1
返信
いざよい
2025/06/06
奈良はまだ行った事がない県なので、、なんとも素敵な植物園ですね~😊💚
奈良で行きたい処リストに📝🥰
いいね
1
返信
夏の花ひまわり
2025/06/06
@いざよい
さん
おはようございます😊
奈良も良いところいっぱいですよ💕
ぜひ行ってみてくださいね😊
いいね
1
返信
そらもよう
2025/06/06
@夏の花ひまわり
さん
ちょうど狭間の時期だったのね😅
華やかなお花がたくさん咲いていたらよかったですけどね。
本当に翻訳コンニャク〜の世界になってきましたね🌏😆
いいね
1
返信
くーちゃん
2025/06/09
有馬温泉、明石、奈良とフットワーク軽いですね~😆
万葉植物園は一昨年の暮れに行ったかなぁ😄
春日神社行くつもりが植物園の前を通ったので入ったら花の少ない時期だったけど楽しめました😄
そうそう、沢山の種類の藤があって4月下旬に来たら良いなぁと思っていたのに忘れてました😅
いいね
0
返信
夏の花ひまわり
2025/06/09
@くーちゃん
さん
萬葉植物園のフジの頃、きっとキレイでしょうね❣️
桐の木も植えてありましたが、花は終わってたのかどうなのかな?
花がらもなかったです。
椿も終わってて。
果樹の花も終わってて。
ベニバナはまだ早くて。
でものんびりと歩くには良いところでした❣️
いいね
1
返信
投稿する
GreenSnapのおすすめ機能紹介!
【無料で利用できる】写真を撮るだけ!アプリが植物・花の名前を教えてくれる『教えて!カメラ』のご紹介!
家庭菜園に関連するカテゴリ
観葉植物
多肉植物・サボテン
ガーデニング
花
ハーブ
植物の栄養・効能
植物の病気・害虫
植物の種類・品種
雑草
野草・山草
開催中のフォトコンテスト
コンテスト一覧
家庭菜園のみどりのまとめ
173
2025/12/15
No.79 イチゴ🍓から採種して、種蒔き成長記録📝。
2023/12季節外れの小さなイチゴ🍓が実った。食べるには小さい。🍓から種を取って蒔いて育てた記録です。 ⚠️私がいちご🍓の種と思っていたツブツブは種ではなく、その中に種が入っていると知りビックリ。追記してます🙏。
118
2025/12/14
🔰極苗一翠太ネギを育てる🔰
カネコ種苗さんありがとうございます😊人生初の長ネギ栽培してみます!
112
2025/12/12
野菜遺産プロジェクト Part4 オランダ大莢(キヌサヤえんどう)👩🌾栽培
キヌサヤえんどうにも色々な種類があるんだねって応募しました どのくらい大きいのかな🤔収穫が出来るか楽しみ💚
家庭菜園の関連コラム
2025.12.11
温州みかんの収穫時期はいつ?種類別の収穫カレンダーとおいしい保存方法
2025.11.13
【ゆずの収穫時期とタイミング】関東の取りごろの目安はいつ?
2025.10.08
ヤーコンの収穫時期の目安とは?栽培中に剪定は必要?
2025.09.24
ニンニクのコンパニオンプランツ一覧|混植したい野菜と相性の悪い野菜
2025.09.02
イチジクの収穫時期はいつ?タイミングの見分け方や保存方法は?
2025.08.28
ジャガイモの後作に相性のよい野菜は?根菜やナス科がNGな理由は?
家庭菜園の関連コラムをもっとみる
夏の花ひまわり
植物は好きだけど、育てるのは難しい!
キーワード
奈良
萬葉植物園
春日大社 萬葉植物園
植物
クワ
コウゾ
ミツマタ
スゲ
投稿に関連する植物図鑑
桑(マルベリー)の木の育て方|剪定方法や収穫の時期は?
ミツマタの育て方|種からでも栽培できる?剪定のコツは?
投稿に関連する花言葉
桑(マルベリー)の花言葉|意味や由来は?花の特徴や種類は?
ミツマタの花言葉|花の特徴や種類は?紙の原料って本当?
いつも横目で見るだけで入ってなかった万葉植物園に行きました
この植物園は万葉集にゆかりのある植物を植えてあるので派手さはないですが、藤園は種類も多く、本数も多いので先月に行ってたら見事なフジの花を見られたことでしょう
1枚目コウゾ
こんな風に説明書きがあります
3枚目スゲ カヤツリグサの種類は多く これでスゲの笠を作るのかな〜と見てました。花が咲いてたのでパチリ📱
4枚目はミツマタ 花も終わって種も落ちて、、、
5枚目はうちの庭の桑の木 大きくなるのですぐに枝を落としてるけど実はついてる?
中の方で付いてました❣️