warning
error
success
information
ログイン
タイムライン
マイアルバム
アカウント設定
注文履歴
ログアウト
カテゴリから探す
観葉植物
多肉植物・サボテン
ガーデニング
花
家庭菜園
ハーブ
植物の栄養・効能
植物の病気・害虫
植物の種類・品種
雑草
野草・山草
読みもの
植物図鑑
買いもの
投稿
投稿一覧
みどりのまとめ一覧
植物SNS GreenSnap
花
お出かけ先,ロウバイ,ロウバイの果実の投稿画像
CIITA GARDENさんのお出かけ先,ロウバイ,ロウバイの果実の投稿画像
ロウバイ
ロウバイの若い果実
ロウバイの芽吹き
ロウバイの果実
ロウバイの花芽
いいね
222人
がいいね!
シェア
ツイート
投稿の削除
この投稿を削除しますか?
いいえ
はい
CIITA GARDEN
2025/01/13
【CIITAの樹木一年シリーズ】2️⃣8️⃣
今日のお花🌿ロウバイ🌿蝋梅
ロウバイ科ロウバイ属の落葉低木
清々しい香りがたまらないロウバイの花🌼
今年は枝物数本を200円でゲット🙌
毎日とても幸せな気分です🥰
①花
*花被片はらせん状につき、内側の花被片は小さくて暗褐色
*外側の花被片は黄色で光沢あり
*おしべ5〜6個
*めしべは壺型の花床の中に多数
2024.1.15撮影
②若い果実
*花が終わると花床が大きくなり、長さ3センチほどの偽果になる
*先端にはおしべなどが残る
2023.3.19撮影
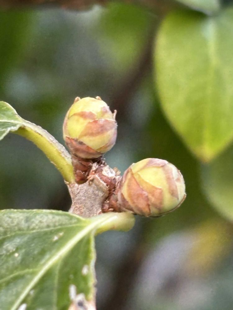
③葉芽の芽吹き
*①の写真上↑に見えていた仮頂芽(葉芽)が展開し、バンザイポーズをしています。私はこのバンザイポーズがかわいくて大好きなんです💕
2024.4.6撮影
④果実(偽果)
*偽果の表面は黒っぽく木質化
*中にはそう果が5〜20個ほど入っている
2025.1.11撮影
うっかり熟した偽果を撮りそびれおとといかろうじて撮影😅🤳
残ってくれていて助かったー💦
⑤花芽
花芽がふくらんで黄色くなりました🟡🟡
2024.11.22撮影
ロウバイは中国🇨🇳原産
日本🇯🇵には江戸時代初期に渡来
ユミ
2025/01/13
おはようございます
ローバイ素敵ですね
見せて頂きありがとうございます😊
いいね
0
返信
CIITA GARDEN
2025/01/13
@ユミ
さん
おはようございます☀
コメントくださってありがとうございます😊💕
こちらこそ見ていただき嬉しいです💞
いいね
1
返信
こらぼっ
2025/01/13
おはようございます😃
ロウバイ 早春一番に花開き よい香りを漂わせる魅力的なお花ですね
わたしは花と果実にだけ(しかもロウバイでなくソシンロウバイ)注目してましたが
チャームポイントがたくさんあるんですね!
パンザイしてる冬芽 ほんと🥰❕
ぜひ探してみたいと思います😉
いいね
0
返信
CIITA GARDEN
2025/01/13
@こらぼっ
さん
おはようございます☀
樹木シリーズの5枚の写真をいつも丁寧に見てくださってとっても嬉しいです🥰
ありがとうございます🙇🏻💗
私は樹々の芽吹きの姿が大好きなんです。
あっという間に展開するので、春は大忙し😆
こらぼっさんの芽吹きのバンザイポーズ楽しみにしています😊💕🎶
いいね
0
返信
みさちゃん
2025/01/13
こんにちは😃
可愛い冬芽ですね💚
お家で育てられているのですね。
早春に良い香りて咲いてくれるのは、
嬉しいですね♪
いいね
0
返信
CIITA GARDEN
2025/01/13
@みさちゃん
さん
コメントくださってありがとうございます😊💕
ロウバイは本当にいい香りですよね♪
写真撮りに行っても、まずくんくんしてしまいます😄
これはご近所さんのロウバイなんです😅
今年もよろしくお願いします🙇🏻💗
いいね
1
返信
トントン
2025/01/13
@CIITA GARDEN
様
こんばんわ🤗
拙いpicをたくさん見て頂き有難う御座います🙇
内容が薄っぺらいので、恥ずかしく穴があったら入りたいです🤭😶🌫️
最近コラージュというものを教えて頂き、楽しくてハマっています😍
普通の写真もまともに撮れないのに生意気ですが、呆れることなくこれからもよろしくお願いしますね🙏💞💝😅
お疲れ様でした✨
お休みなさいませ🥱😪😴
良い夢が見られますように💓
いいね
0
返信
CIITA GARDEN
2025/01/13
@トントン
さん
トントンさん
今日も一日お疲れ様でした。
こちらこそたくさんのいいねをありがとうございます🙇🏻💗
いろんなお花を組み合わせてコラージュとても素敵ですね💕
私はめんどくさがりなので、撮った写真そのまんまです😅💦
トントンさん、謙遜なさりすぎ〜
これからもお互いGSを楽しみましょう😊💕🎶
よろしくお願いします🤗💞
いいね
1
返信
トントン
2025/01/13
@CIITA GARDEN
様
率直に 嬉しいです✨🥰😍💓💞💝
いいね
0
返信
CIITA GARDEN
2025/01/14
@トントン
さん
😊💞💞💞🎶
いいね
0
返信
投稿する
GreenSnapのおすすめ機能紹介!
【無料で利用できる】写真を撮るだけ!アプリが植物・花の名前を教えてくれる『教えて!カメラ』のご紹介!
花に関連するカテゴリ
観葉植物
多肉植物・サボテン
ガーデニング
家庭菜園
ハーブ
植物の栄養・効能
植物の病気・害虫
植物の種類・品種
雑草
野草・山草
開催中のフォトコンテスト
コンテスト一覧
花のみどりのまとめ
4
2025/12/18
【サントリー】カリブラコア いちごショートケーキ
見切り品になっていた枯れかけのカリブラコアを救出する経緯です。
282
2025/12/17
夕顔を種から育てる②2025.11/13~
カタログや、他の方の投稿写真を見てて花を見たくて種から育ていますが、1輪目は不開花のまま蕾で脱落、今のは2輪目になり、渦巻きの形の蕾になってから数日間待ってます
33
2025/12/17
まいど 大阪キタ🎄師走 2025
ややこしや OSAKA ☝🏻大阪・キタ・梅田・うめきた
花の関連コラム
2025.12.17
スモモ(プラム)の花言葉|怖い意味はある?由来や花、実の特徴とは
2025.12.12
【紫陽花の冬越し】冬の剪定方法は?葉が落ちないときはどうする?
2025.12.04
サンパチェンスの育て方|挿し木の注意点や、切り戻し・冬越し方法まで徹底解説
2025.12.03
イヌホオズキとは|花言葉や花の特徴、実に毒性はある?
2025.12.03
【鬼灯の花言葉】「私を殺して」という怖い意味がつきまとう理由は?
2025.11.28
レウコフィルムの育て方と剪定|鉢植え・地植え・冬の管理方法
花の関連コラムをもっとみる
CIITA GARDEN
自然が大好き。以前はバードウオッチングをしながら植物観察を。今はガーデニングと植物観察半々。どちらも私のライフワークです🌸🌼🌳🌿🌱
場所
お出かけ先
キーワード
樹木の花
樹木の果実
われら樹木探検隊
ciitaの樹木図鑑
ciitaの樹木一年シリーズ
植物
ロウバイ
ロウバイの果実
ロウバイの若い果実
ロウバイの芽吹き
ロウバイの花芽
投稿に関連する植物図鑑
蝋梅の育て方|鉢植えの植え替え時期は?挿し木の増やし方を紹介
今日のお花🌿ロウバイ🌿蝋梅
ロウバイ科ロウバイ属の落葉低木
清々しい香りがたまらないロウバイの花🌼
今年は枝物数本を200円でゲット🙌
毎日とても幸せな気分です🥰
①花
*花被片はらせん状につき、内側の花被片は小さくて暗褐色
*外側の花被片は黄色で光沢あり
*おしべ5〜6個
*めしべは壺型の花床の中に多数
2024.1.15撮影
②若い果実
*花が終わると花床が大きくなり、長さ3センチほどの偽果になる
*先端にはおしべなどが残る
2023.3.19撮影
③葉芽の芽吹き
*①の写真上↑に見えていた仮頂芽(葉芽)が展開し、バンザイポーズをしています。私はこのバンザイポーズがかわいくて大好きなんです💕
2024.4.6撮影
④果実(偽果)
*偽果の表面は黒っぽく木質化
*中にはそう果が5〜20個ほど入っている
2025.1.11撮影
うっかり熟した偽果を撮りそびれおとといかろうじて撮影😅🤳
残ってくれていて助かったー💦
⑤花芽
花芽がふくらんで黄色くなりました🟡🟡
2024.11.22撮影
ロウバイは中国🇨🇳原産
日本🇯🇵には江戸時代初期に渡来