warning
error
success
information
ログイン
タイムライン
マイアルバム
アカウント設定
注文履歴
ログアウト
カテゴリから探す
観葉植物
多肉植物・サボテン
ガーデニング
花
家庭菜園
ハーブ
植物の栄養・効能
植物の病気・害虫
植物の種類・品種
雑草
野草・山草
読みもの
植物図鑑
買いもの
投稿
投稿一覧
みどりのまとめ一覧
植物SNS GreenSnap
花
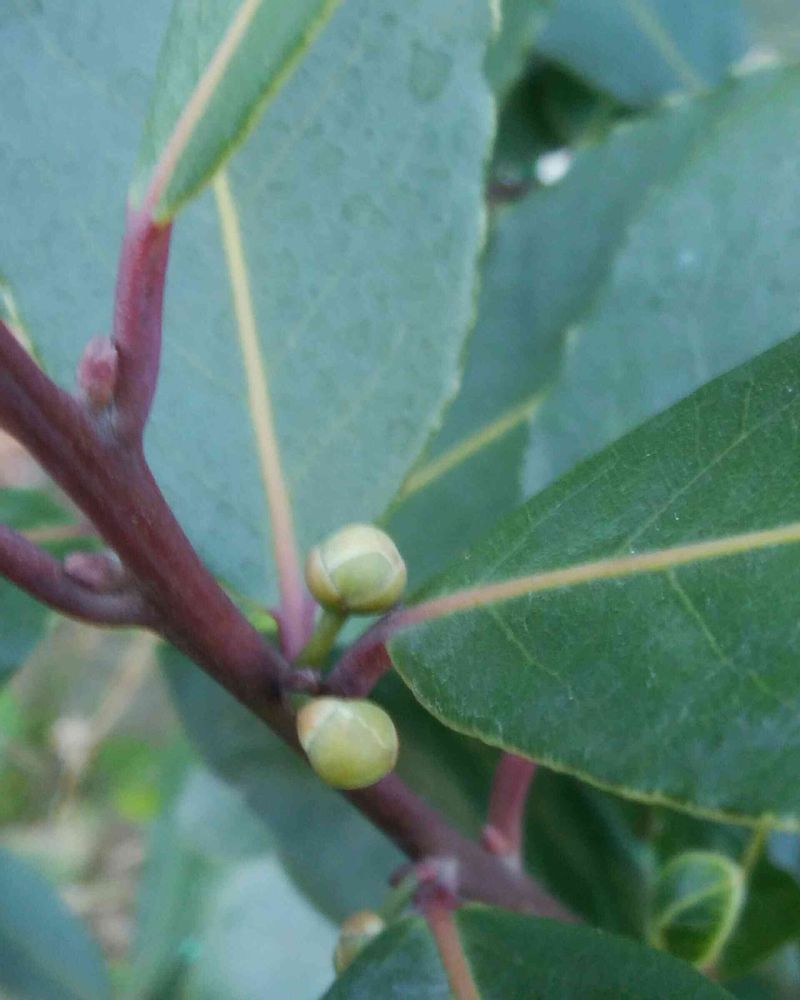
小さな庭,月桂樹,月桂樹の花の投稿画像
SA.CHI.Yさんの小さな庭,月桂樹,月桂樹の花の投稿画像
月桂樹の花
月桂樹
いいね
74人
がいいね!
シェア
ツイート
投稿の削除
この投稿を削除しますか?
いいえ
はい
SA.CHI.Y
2023/01/05
「月桂樹の蕾」
挿し木から10年位になりますが初めての蕾がつきました🍀*゜
花には雌雄あるようですがどっち❓
雄の木が多いとか……🌿
ブルーベリー
2023/01/05
実家にも有りました。花も見た事有ります。葉っぱを干して、カレーやシチューに入れるので、妹に送ってもらっていました。実家に帰った時に、根本に出ていた月桂樹を引っこ抜て来ましたよ。
いいね
1
返信
toko
2023/01/05
月桂樹の花✨見たいです👀
雄雌があるんですか🌱早く咲くといいねぇ🌿✨
いいね
1
返信
SA.CHI.Y
2023/01/05
@ブルーベリー
さん
花を見た事あるんですか!
やはり年数が経っていたのですね。
自家製であるのは便利です。
強くて簡単に根付くので大丈夫(((o(*゚▽゚*)o)))🌿
今年も宜しくね😊
いいね
0
返信
SA.CHI.Y
2023/01/05
@toko
さん
私も早く開いたお花見たいです😅
雌雄あるみたいです。
無事咲いたらpicしますね!
私も楽しみにしています(*˘︶˘*)✨
いいね
1
返信
ブルーベリー
2023/01/06
@SA.CHI.Y
さん、実家の月桂樹も、一度枯れかけましたが、植木屋さんがダメな部分を切り取り、脇芽を伸ばして、現在はすくすくと育ち花も咲かせました。根本には、沢山新芽が出ていて、それを抜いて来ましたが、強いてすね。ローリエの葉っぱが摘み取るまでには、何年かかるかしらね?
いいね
1
返信
SA.CHI.Y
2023/01/06
@ブルーベリー
さん
お花可愛かったでしょうね𖤣𖥧𖥣。𖥧𖧧
月桂樹は成長が早いので今年は微量でも収穫出来ますよ(❁ᴗ͈ˬᴗ͈)
楽しみですね。
美味しいお料理に磨きがかかりますね~♥(* 'ᵕ' )☆
いいね
0
返信
ブルーベリー
2023/01/06
@SA.CHI.Y
さん、まだ20センチ位です。夕食は、小学2年生の孫と、キッチンに並んで作ります。マイ包丁で、スライスやみじん切りもします。玉ねぎは目が痛いと言いながら、手伝ってくれてます。
いいね
1
返信
SA.CHI.Y
2023/01/06
@ブルーベリー
さん
小学二年生でもう食事のお手伝い出来るなんてびっくりしました。可愛らしいお孫さんと一緒でブルーベリーさんの幸せな光景がわかります💞
いつまでも健康で楽しい人生をお互いに送りましょうね
いいね
0
返信
ブルーベリー
2023/01/07
@SA.CHI.Y
さん、包丁が欲しくて、買ってきてと言うので、親に話したら、パパは危ないと反対。ママは直ぐにネットで注文でした。マイ包丁で、踏み台に乗っての手伝いです。肉も魚も触ります。アジの骨も、抜いてくれるので、助かります。いつまで続くか分かりませんけど(笑)
いいね
1
返信
SA.CHI.Y
2023/01/09
@ブルーベリー
さん
素晴らしい👏👏👏👏👏
MY包丁で鯵の骨を抜くなんて本格的‼🐟
嬉しいですよね(*^^*)
お手伝いもず~っと続きますよ‼🙌
いいね
1
返信
ブルーベリー
2023/01/09
@SA.CHI.Y
さん、ていせいしますが、包丁で魚の骨を抜くのではなく、小骨を抜いて貰います。私は老眼で見えないので(笑)
いいね
1
返信
SA.CHI.Y
2023/01/09
@ブルーベリー
さん
そうですね(*^^*)読み返ししたら私の💬変でしたね😲
仲良く助け合って微笑ましいですね(((o(*゚▽゚*)o)))
おやすみなさい💤
いいね
0
返信
投稿する
GreenSnapのおすすめ機能紹介!
【無料で利用できる】写真を撮るだけ!アプリが植物・花の名前を教えてくれる『教えて!カメラ』のご紹介!
花に関連するカテゴリ
観葉植物
多肉植物・サボテン
ガーデニング
家庭菜園
ハーブ
植物の栄養・効能
植物の病気・害虫
植物の種類・品種
雑草
野草・山草
開催中のフォトコンテスト
コンテスト一覧
花のみどりのまとめ
4
2025/12/18
【サントリー】カリブラコア いちごショートケーキ
見切り品になっていた枯れかけのカリブラコアを救出する経緯です。
282
2025/12/17
夕顔を種から育てる②2025.11/13~
カタログや、他の方の投稿写真を見てて花を見たくて種から育ていますが、1輪目は不開花のまま蕾で脱落、今のは2輪目になり、渦巻きの形の蕾になってから数日間待ってます
33
2025/12/17
まいど 大阪キタ🎄師走 2025
ややこしや OSAKA ☝🏻大阪・キタ・梅田・うめきた
花の関連コラム
2025.12.17
スモモ(プラム)の花言葉|怖い意味はある?由来や花、実の特徴とは
2025.12.12
【紫陽花の冬越し】冬の剪定方法は?葉が落ちないときはどうする?
2025.12.04
サンパチェンスの育て方|挿し木の注意点や、切り戻し・冬越し方法まで徹底解説
2025.12.03
イヌホオズキとは|花言葉や花の特徴、実に毒性はある?
2025.12.03
【鬼灯の花言葉】「私を殺して」という怖い意味がつきまとう理由は?
2025.11.28
レウコフィルムの育て方と剪定|鉢植え・地植え・冬の管理方法
花の関連コラムをもっとみる
SA.CHI.Y
場所
小さな庭
キーワード
かわいい
花のある暮らし
香辛料
癒しのお花
お花に癒されて
おうち園芸
植物
月桂樹
月桂樹の花
投稿に関連する植物図鑑
月桂樹(ローリエ)の育て方|挿し木の増やし方は?葉の収穫時期は?
投稿に関連する花言葉
月桂樹(ローリエ)の花言葉|花や実の特徴、葉で作る月桂冠ってなに?
挿し木から10年位になりますが初めての蕾がつきました🍀*゜
花には雌雄あるようですがどっち❓
雄の木が多いとか……🌿