warning
error
success
information
ログイン
タイムライン
マイアルバム
アカウント設定
注文履歴
ログアウト
カテゴリから探す
観葉植物
多肉植物・サボテン
ガーデニング
花
家庭菜園
ハーブ
植物の栄養・効能
植物の病気・害虫
植物の種類・品種
雑草
野草・山草
読みもの
植物図鑑
買いもの
投稿
投稿一覧
みどりのまとめ一覧
植物SNS GreenSnap
家庭菜園
小さな庭,ブルーベリー,実のなる木の投稿画像
kuma3さんの小さな庭,ブルーベリー,実のなる木の投稿画像
ブルーベリー
いいね
6人
がいいね!
シェア
ツイート
投稿の削除
この投稿を削除しますか?
いいえ
はい
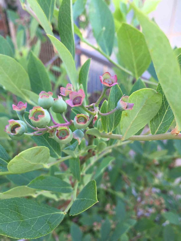
kuma3
2017/05/20
庭のブルーベリー。
今年はたくさん収穫できそう♪
投稿する
GreenSnapのおすすめ機能紹介!
【無料で利用できる】写真を撮るだけ!アプリが植物・花の名前を教えてくれる『教えて!カメラ』のご紹介!
家庭菜園に関連するカテゴリ
観葉植物
多肉植物・サボテン
ガーデニング
花
ハーブ
植物の栄養・効能
植物の病気・害虫
植物の種類・品種
雑草
野草・山草
開催中のフォトコンテスト
コンテスト一覧
家庭菜園のみどりのまとめ
34
2025/12/19
【リベンジ】自家製一味唐辛子作り🌶
6年ぶりに自家製一味唐辛子作りに挑戦
0
2025/12/18
うりずん豆🫛花から根っこまで😳
今年初めて知ったうりずん豆(四角豆)。名前を聞いたのも見たのも育てたのも食べたのも初めて❗️そして季節が終わりプランターを片付けていた時、プランターの底に何か大きなものが‼️😳
180
2025/12/15
No.79 イチゴ🍓から採種して、種蒔き成長記録📝。
2023/12季節外れの小さなイチゴ🍓が実った。食べるには小さい。🍓から種を取って蒔いて育てた記録です。 ⚠️私がいちご🍓の種と思っていたツブツブは種ではなく、その中に種が入っていると知りビックリ。追記してます🙏。
家庭菜園の関連コラム
2025.12.11
温州みかんの収穫時期はいつ?種類別の収穫カレンダーとおいしい保存方法
2025.11.13
【ゆずの収穫時期とタイミング】関東の取りごろの目安はいつ?
2025.10.08
ヤーコンの収穫時期の目安とは?栽培中に剪定は必要?
2025.09.24
ニンニクのコンパニオンプランツ一覧|混植したい野菜と相性の悪い野菜
2025.09.02
イチジクの収穫時期はいつ?タイミングの見分け方や保存方法は?
2025.08.28
ジャガイモの後作に相性のよい野菜は?根菜やナス科がNGな理由は?
家庭菜園の関連コラムをもっとみる
kuma3
場所
小さな庭
キーワード
実のなる木
植物
ブルーベリー
投稿に関連する植物図鑑
ブルーベリーの育て方|プランターのおすすめや植え替え時期はいつ?
投稿に関連する花言葉
ブルーベリーの花言葉に怖い意味はある?開花時期や花の特徴を紹介
今年はたくさん収穫できそう♪