warning
error
success
information
ログイン
タイムライン
マイアルバム
アカウント設定
注文履歴
ログアウト
カテゴリから探す
観葉植物
多肉植物・サボテン
ガーデニング
花
家庭菜園
ハーブ
植物の栄養・効能
植物の病気・害虫
植物の種類・品種
雑草
野草・山草
読みもの
植物図鑑
買いもの
投稿
投稿一覧
みどりのまとめ一覧
植物SNS GreenSnap
家庭菜園
レモンの投稿画像
katsuhoさんのレモンの投稿画像
いいね
20人
がいいね!
シェア
ツイート
投稿の削除
この投稿を削除しますか?
いいえ
はい
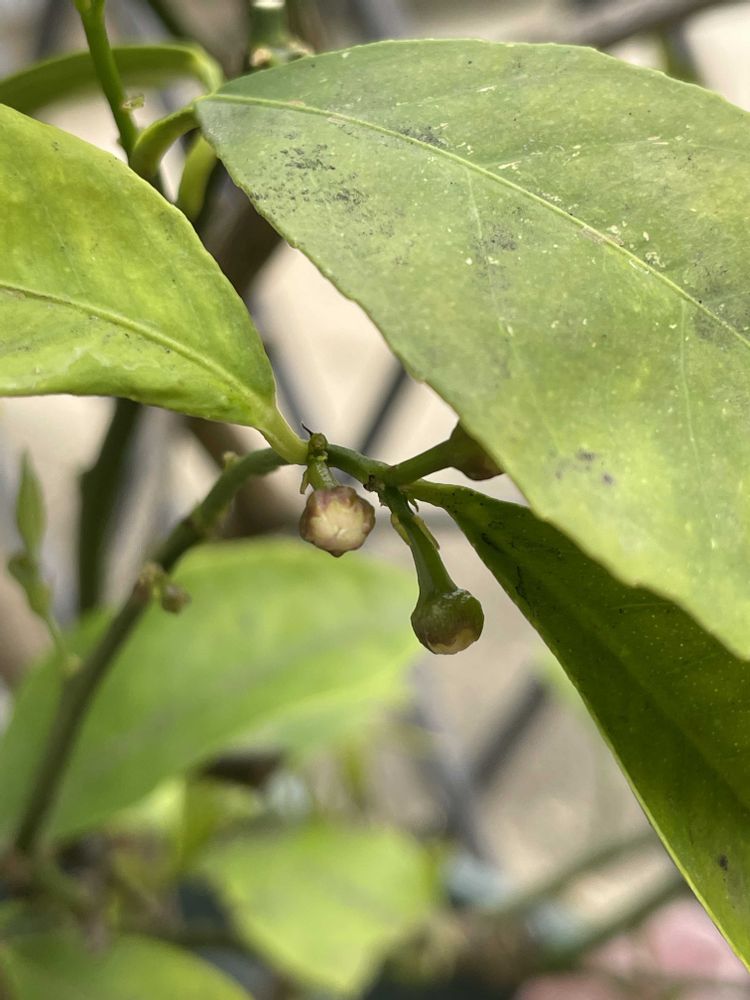
katsuho
2026/04/05
こんにちは🤗
レモンの親株に花芽が付き出しました。
投稿する
GreenSnapのおすすめ機能紹介!
【無料で利用できる】写真を撮るだけ!アプリが植物・花の名前を教えてくれる『教えて!カメラ』のご紹介!
家庭菜園に関連するカテゴリ
観葉植物
多肉植物・サボテン
ガーデニング
花
ハーブ
植物の栄養・効能
植物の病気・害虫
植物の種類・品種
雑草
野草・山草
開催中のフォトコンテスト
ガーデンネックレス横浜2026 フォトコンテスト
ガーデンネックレス横浜2026フォトコンテスト開始!優秀賞10名様には「Amazonギフト券500円分」プレゼント!
コンテスト一覧
家庭菜園のみどりのまとめ
23
2026/04/06
いちご🍓を種から育てる
やよいひめ🍓が美味しかったので種を取って育ててみます😊
27
2026/04/05
🍓あまおう🍓の実をそのまま埋めちゃいました 種から育てる苺日記
実を思い切ってあまおうも埋めてみました。成長日記です。
19
2026/04/05
見た目もめちゃ可愛い白い苺、種から育ててみます。
頂き物の苺ですがとても珍しく洋梨みたいな食感で苺のいい香りでしたこの子も家でいちご狩りできたら最高ですよね。 本当に勿体無いのでヘタの周りだけだけちょこっとだけ。
家庭菜園の関連コラム
2026.03.17
レモンの木を鉢植えで育てるならサイズはいくつ?葉が丸まる原因は?
2026.03.16
サニーレタスのプランター栽培|種まき時期から収穫時期まで何日?
2026.03.13
長ネギの植え替え時期と仕方とは?土づくりなどの栽培方法を徹底図解
2026.02.26
3月に植える野菜10選|今からプランターへ種まきできるのは?
2026.01.23
2月に植える野菜7選|プランターでも育てやすいのはどれ?
2026.01.09
【1月に植える野菜一覧】プランター栽培が簡単でおすすめなのは?
家庭菜園の関連コラムをもっとみる
katsuho
我流で色々な植物育ててます。
植物
レモン
投稿に関連する植物図鑑
レモンの木を鉢植えで育てるならサイズはいくつ?葉が丸まる原因は?
投稿に関連する花言葉
レモンの花言葉|意味や種類、花の時期は?
レモンの親株に花芽が付き出しました。