warning
error
success
information
ログイン
タイムライン
マイアルバム
アカウント設定
注文履歴
ログアウト
カテゴリから探す
観葉植物
多肉植物・サボテン
ガーデニング
花
家庭菜園
ハーブ
植物の栄養・効能
植物の病気・害虫
植物の種類・品種
雑草
野草・山草
読みもの
植物図鑑
買いもの
投稿
投稿一覧
みどりのまとめ一覧
植物SNS GreenSnap
花
シラカシ,シラカシ,アラカシの投稿画像
みさちゃんさんのシラカシ,シラカシ,アラカシの投稿画像
アラカシ
アラカシ
シラカシ
シラカシ
いいね
87人
がいいね!
シェア
ツイート
投稿の削除
この投稿を削除しますか?
いいえ
はい
みさちゃん
2026/01/29
こんにちは🌥️
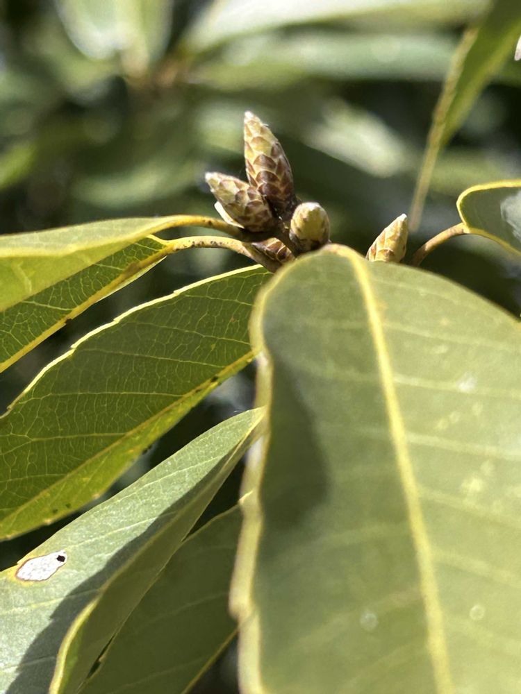
丘陵地にて
同じ様な常緑樹が近くに並んであります。
冬芽が出ています。
よく見ると片方の葉の方が大きめでギザギザが先の方にあります。
片方は、葉がほっそりとして全体にギザギザがあります。
冬芽もちょっと違います。
1️⃣2️⃣は、アラカシ
3️⃣4️⃣は、シラカシ
のようです。
どちらもブナ科コナラ属の
常緑広葉樹
どんぐりのなる木です。
霞丘陵
ジュリアーノ
2026/01/29
葉っぱも冬芽もアラカシはギザギザ鋭い感じでシラカシは優しい感じしますね🌿🤗🌿
いいね
1
返信
みさちゃん
2026/01/29
@ジュリアーノ
さん
そうですね💚
たまたま、近くに並んでた木が同じ様で違うので、確認しました。アラカシの葉は、特徴的なので、知ってましたが、シラカシは、図鑑や🔍で分かりました。
遠目で見たら分からないけど、良く見ると違いが分かりますね💚
いいね
1
返信
まさ
2026/01/29
こんばんは♪
どっちもドングリになるんですね〜🤗
いいね
1
返信
みさちゃん
2026/01/29
@まさ
さん
ドングリがなる木は、多いですね🤎
形も色々です。
見分けがつくと楽しそう🎶
いいね
1
返信
まさ
2026/01/29
@みさちゃん
そうですよね😆見分けがすぐにつければ楽しそうですねっ👍✨
いいね
1
返信
投稿する
GreenSnapのおすすめ機能紹介!
【無料で利用できる】写真を撮るだけ!アプリが植物・花の名前を教えてくれる『教えて!カメラ』のご紹介!
花に関連するカテゴリ
観葉植物
多肉植物・サボテン
ガーデニング
家庭菜園
ハーブ
植物の栄養・効能
植物の病気・害虫
植物の種類・品種
雑草
野草・山草
開催中のフォトコンテスト
ガーデンネックレス横浜2026 フォトコンテスト
ガーデンネックレス横浜2026フォトコンテスト開始!優秀賞10名様には「Amazonギフト券500円分」プレゼント!
コンテスト一覧
花のみどりのまとめ
71
2026/04/06
No.589 2025年今年の桜⑧2025/0417 八重桜、鬱金桜、松月桜、関山・・・・
桜のシーズン最後を飾る八重桜、今年はどんな花に会えるかな。
16
2026/04/06
思川桜と菜の花
小山市を流れる思川の土手に咲く思川桜と菜の花です
106
2026/04/06
ヒスイカズラを育てる。
ヒスイカズラを育ててみたくなり、購入する前に先ずはネットで育て方を検索しました。 検索した結果、沖縄などの温かい地方での地植えや、植物園の開花の投稿は沢山有りましたが、鉢植えでの詳しい育て方は余り投稿されていませんでした😅 育てる事が出来るか分かりませんが、これもチャレンジと思い、取り敢えずメルカリで購入して見ました。 お迎えしたのは2025年6月の初めです。 植替えに適した時期にしました。 調べた結果、気難しいと出てたので、最初から少し大きめな子をお迎えしました。
花の関連コラム
2026.03.19
ヤブカンゾウの花はある毒草と似てる?見分け方や美味しい食べ方
2026.03.19
チューベローズ(月下香)の育て方|球根の植えっぱなしはNG?
2026.03.19
畑わさびの育て方|プランター栽培のメリットや夏越しの注意点は?
2026.03.18
キランソウってどんな花?花言葉や漢方としての薬効、育て方を解説
2026.03.18
伸びすぎたツルニチニチソウの剪定方法は?鉢植えでの育て方ポイント
2026.03.18
菊は植えっぱなしにせず切り戻しすべき?花が終わったらどうする?
花の関連コラムをもっとみる
みさちゃん
私達が生きている地球🌏には、 なんと多種の生き物 で溢れているのでしょう。 素晴らしい地球がいつまでも、生き物が住める環境であって欲しいものです。 山歩きが好きなので自然の風景に癒されます。 家庭菜園で、野菜を育てるのも楽しみです。
キーワード
冬芽
常緑広葉樹
丘陵地
植物
シラカシ
シラカシ
アラカシ
アラカシ
投稿に関連する植物図鑑
シラカシの育て方|植え付けや剪定の時期、生垣にもできる?
丘陵地にて
同じ様な常緑樹が近くに並んであります。
冬芽が出ています。
よく見ると片方の葉の方が大きめでギザギザが先の方にあります。
片方は、葉がほっそりとして全体にギザギザがあります。
冬芽もちょっと違います。
1️⃣2️⃣は、アラカシ
3️⃣4️⃣は、シラカシ
のようです。
どちらもブナ科コナラ属の
常緑広葉樹
どんぐりのなる木です。
霞丘陵