warning
error
success
information
ログイン
タイムライン
マイアルバム
アカウント設定
注文履歴
ログアウト
カテゴリから探す
観葉植物
多肉植物・サボテン
ガーデニング
花
家庭菜園
ハーブ
植物の栄養・効能
植物の病気・害虫
植物の種類・品種
雑草
野草・山草
読みもの
植物図鑑
買いもの
投稿
投稿一覧
みどりのまとめ一覧
植物SNS GreenSnap
花
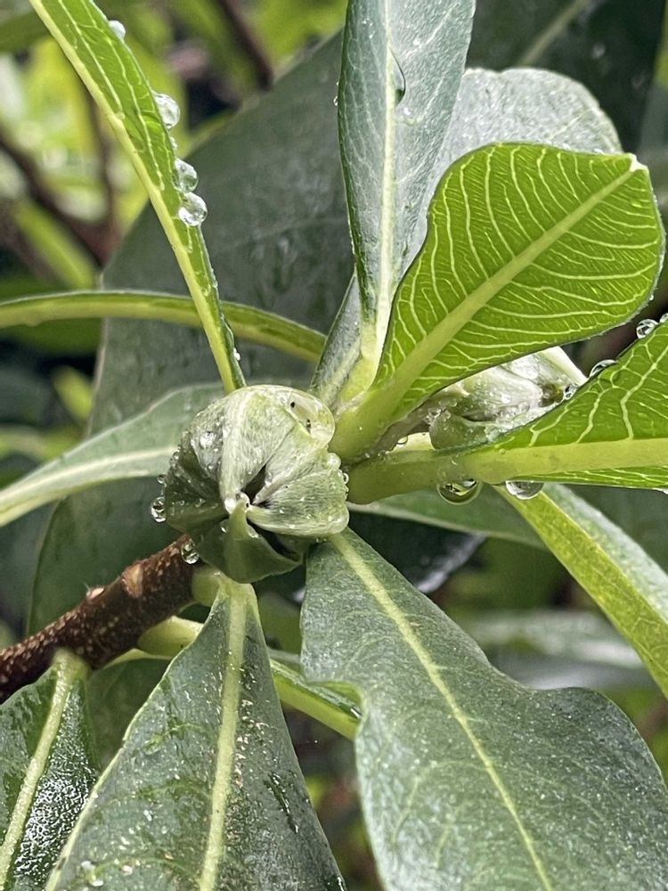
ミツマタ,お花は癒し,花が好き❤の投稿画像
kakirikeaさんのミツマタ,お花は癒し,花が好き❤の投稿画像
ミツマタ
いいね
75人
がいいね!
シェア
ツイート
投稿の削除
この投稿を削除しますか?
いいえ
はい
kakirikea
2025/10/26
ミツマタは、もう蕾が沢山付いています。
黄色のお花が咲くのは、春ですよね😊
ウルトラセブン
2025/10/27
I'll have a cup of coffee.
いいね
1
返信
kazumi1873
2025/10/27
もう春の準備が整ってるんだね~(。・о・。)ワオ
植物って凄い👏
この姿で寒さに当たるのが大事なんだろうなぁ😊
いいね
1
返信
kakirikea
2025/10/27
@ウルトラセブン
I don't understand the meaning of the comment?
いいね
1
返信
kakirikea
2025/10/27
@kazumi1873
春までの準備ですね☺️
いいね
1
返信
ウルトラセブン
2025/10/28
@kakirikea
様
単に、一杯の珈琲を飲んだ。あいさつかなぁ⁉︎
いいね
1
返信
kakirikea
2025/10/28
@ウルトラセブン
了解☺️しました。
いいね
1
返信
投稿する
GreenSnapのおすすめ機能紹介!
【無料で利用できる】写真を撮るだけ!アプリが植物・花の名前を教えてくれる『教えて!カメラ』のご紹介!
花に関連するカテゴリ
観葉植物
多肉植物・サボテン
ガーデニング
家庭菜園
ハーブ
植物の栄養・効能
植物の病気・害虫
植物の種類・品種
雑草
野草・山草
開催中のフォトコンテスト
コンテスト一覧
花のみどりのまとめ
57
2025/12/15
No.712 2025黄葉狩り②2025/1214 イチョウ、ヒュウガミズキ・・
モミジ狩り、赤いモミジも美しいけど、黄金色のイチョウも美しいよね。地域の公園のイチョウです。
183
2025/12/15
豊明市場×GreenSnap オリジナルブランド 「三ツ星品質」モニター💗 姫バラ🌹ミニバラ🌹ワンダーファイブ 💗🥰💗
姫バラ🌹ミニバラ🌹ワンダーファイブ ようこそ我が家へ これからたくさんの花笑顔の時間を 一緒に過ごしましょうね
23
2025/12/15
道の駅米沢
南陽の菊まつりにあわせて 2025.10.12
花の関連コラム
2025.12.12
【紫陽花の冬越し】冬の剪定方法は?葉が落ちないときはどうする?
2025.12.04
サンパチェンスの育て方|挿し木の注意点や、切り戻し・冬越し方法まで徹底解説
2025.12.03
イヌホオズキとは|花言葉や花の特徴、実に毒性はある?
2025.12.03
【鬼灯の花言葉】「私を殺して」という怖い意味がつきまとう理由は?
2025.11.28
レウコフィルムの育て方と剪定|鉢植え・地植え・冬の管理方法
2025.11.28
冬植え球根一覧|同じ冬に咲く花はある?プランター以外で育つのは?
花の関連コラムをもっとみる
kakirikea
2020年4月16日から始めました。 お花が大好きです❤️❤️宜しくお願い致します。
キーワード
お花は癒し
花が好き❤
☆携帯撮影☆
植物
ミツマタ
投稿に関連する植物図鑑
ミツマタの育て方|種からでも栽培できる?剪定のコツは?
投稿に関連する花言葉
ミツマタの花言葉|花の特徴や種類は?紙の原料って本当?
黄色のお花が咲くのは、春ですよね😊