warning
error
success
information
ログイン
タイムライン
マイアルバム
アカウント設定
注文履歴
ログアウト
カテゴリから探す
観葉植物
多肉植物・サボテン
ガーデニング
花
家庭菜園
ハーブ
植物の栄養・効能
植物の病気・害虫
植物の種類・品種
雑草
野草・山草
読みもの
植物図鑑
買いもの
投稿
投稿一覧
みどりのまとめ一覧
植物SNS GreenSnap
花
ヒサカキ,ヒサカキ,ヒサカキの投稿画像
遠州小町さんのヒサカキ,ヒサカキ,ヒサカキの投稿画像
ヒサカキ
ヒサカキの花
ヒサカキの蕾
ヒサカキ
ヒサカキの花
ヒサカキ
ヒサカキの花
ヒサカキ
ヒサカキの花
ヒサカキ
ヒサカキの花
いいね
83人
がいいね!
シェア
ツイート
投稿の削除
この投稿を削除しますか?
いいえ
はい
遠州小町
2025/04/08
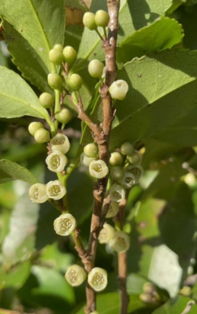
『姫榊🍃ヒサカキ』
名前の由来ですが
榊に似るが、榊ではあらずで
『非榊(ヒサカキ)』
榊(サカキ)の花より
小さなことから
姫榊(ヒメサカキ)が
転じて『ヒサカキ🍃』
と言われています‼️
花期は3月、4月頃です‼️
独特のある香りがします👃
雌雄異株です🌳
果期は10月から12月頃
墓、仏壇に供えられたり
関東より北では
サカキが手に入らない事もあり
サカキの代用に使われたりで
神事にも使われることもあります🍃
投稿する
GreenSnapのおすすめ機能紹介!
【無料で利用できる】写真を撮るだけ!アプリが植物・花の名前を教えてくれる『教えて!カメラ』のご紹介!
花に関連するカテゴリ
観葉植物
多肉植物・サボテン
ガーデニング
家庭菜園
ハーブ
植物の栄養・効能
植物の病気・害虫
植物の種類・品種
雑草
野草・山草
開催中のフォトコンテスト
コンテスト一覧
花のみどりのまとめ
71
2025/12/15
姫路好古園に行って来ました。
姫路城の西御屋敷跡に造られた約1万坪の池泉回遊式の日本庭園。
57
2025/12/15
No.712 2025黄葉狩り②2025/1214 イチョウ、ヒュウガミズキ・・
モミジ狩り、赤いモミジも美しいけど、黄金色のイチョウも美しいよね。地域の公園のイチョウです。
183
2025/12/15
豊明市場×GreenSnap オリジナルブランド 「三ツ星品質」モニター💗 姫バラ🌹ミニバラ🌹ワンダーファイブ 💗🥰💗
姫バラ🌹ミニバラ🌹ワンダーファイブ ようこそ我が家へ これからたくさんの花笑顔の時間を 一緒に過ごしましょうね
花の関連コラム
2025.12.12
【紫陽花の冬越し】冬の剪定方法は?葉が落ちないときはどうする?
2025.12.04
サンパチェンスの育て方|挿し木の注意点や、切り戻し・冬越し方法まで徹底解説
2025.12.03
イヌホオズキとは|花言葉や花の特徴、実に毒性はある?
2025.12.03
【鬼灯の花言葉】「私を殺して」という怖い意味がつきまとう理由は?
2025.11.28
レウコフィルムの育て方と剪定|鉢植え・地植え・冬の管理方法
2025.11.28
冬植え球根一覧|同じ冬に咲く花はある?プランター以外で育つのは?
花の関連コラムをもっとみる
遠州小町
2021年4月11日にG S初投稿 海🌊山🗻茶畑🍵🍃 に囲まれた静岡に住んでいます🏡 多肉、花鑑賞大好き💕 静岡県内からの投稿しています‼️ 返信遅いです💦 いいね😊👍の訪問が 出来ない場合もありますが 宜しくお願いします🙏
キーワード
静岡県
キュンキュン乙女倶楽部
静岡県民です!
しぞーか勢
静岡愛
姫榊(ヒサカキ)
ヒサカキのお花
雲仲間
初めて図鑑
植物
ヒサカキ
ヒサカキ
ヒサカキ
ヒサカキ
ヒサカキ
ヒサカキ
ヒサカキの花
ヒサカキの花
ヒサカキの花
ヒサカキの花
ヒサカキの花
ヒサカキの花
ヒサカキの蕾
投稿に関連する植物図鑑
ヒサカキの育て方|植え替え時期や水やりの仕方は?
投稿に関連する花言葉
ヒサカキの花言葉|由来や花の特徴、縁起の良い植物?
名前の由来ですが
榊に似るが、榊ではあらずで
『非榊(ヒサカキ)』
榊(サカキ)の花より
小さなことから
姫榊(ヒメサカキ)が
転じて『ヒサカキ🍃』
と言われています‼️
花期は3月、4月頃です‼️
独特のある香りがします👃
雌雄異株です🌳
果期は10月から12月頃
墓、仏壇に供えられたり
関東より北では
サカキが手に入らない事もあり
サカキの代用に使われたりで
神事にも使われることもあります🍃