warning
error
success
information
ログイン
タイムライン
マイアルバム
アカウント設定
注文履歴
ログアウト
カテゴリから探す
観葉植物
多肉植物・サボテン
ガーデニング
花
家庭菜園
ハーブ
植物の栄養・効能
植物の病気・害虫
植物の種類・品種
雑草
野草・山草
読みもの
植物図鑑
買いもの
投稿
投稿一覧
みどりのまとめ一覧
植物SNS GreenSnap
花
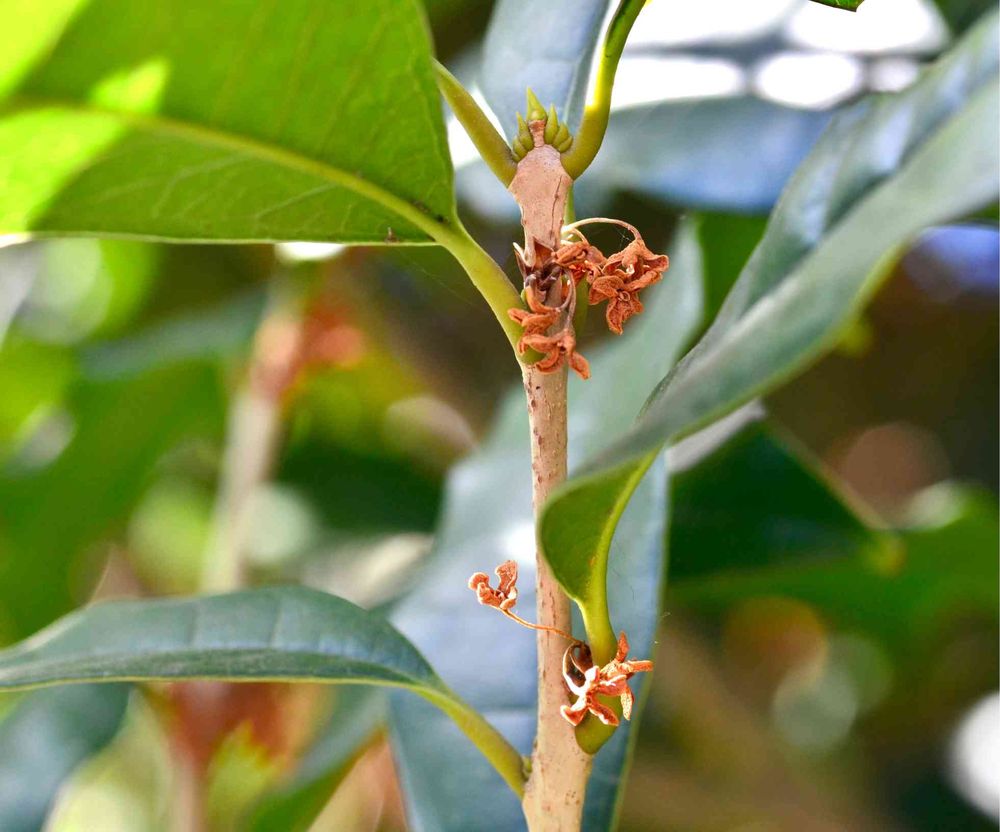
キンモクセイ,今日のお花,今日撮りの投稿画像
blooming ☆ smileさんのキンモクセイ,今日のお花,今日撮りの投稿画像
キンモクセイ
いいね
78人
がいいね!
シェア
ツイート
投稿の削除
この投稿を削除しますか?
いいえ
はい
blooming ☆ smile
2022/10/30
🏷今日のお花 『キンモクセイ』
今年はこうして花が残っています
お地蔵さま、観音様は鎮座されたままです ܾ ܾ 𖥧𓇣𖦥𖥧𖥣
投稿する
GreenSnapのおすすめ機能紹介!
【無料で利用できる】写真を撮るだけ!アプリが植物・花の名前を教えてくれる『教えて!カメラ』のご紹介!
花に関連するカテゴリ
観葉植物
多肉植物・サボテン
ガーデニング
家庭菜園
ハーブ
植物の栄養・効能
植物の病気・害虫
植物の種類・品種
雑草
野草・山草
開催中のフォトコンテスト
コンテスト一覧
花のみどりのまとめ
15
2025/12/17
土津神社 秋詣
猪苗代町 2025.10.12
3
2025/12/17
和バラ りくほたる
和バラ りくほたるの日記
31
2025/12/17
フィオリーナゴールド🔰はじめて育てます。挿し芽にもチャレンジ🔰
フィオリーナゴールド🔰はじめて育てます。挿し芽にもチャレンジ~🎵
花の関連コラム
2025.12.12
【紫陽花の冬越し】冬の剪定方法は?葉が落ちないときはどうする?
2025.12.04
サンパチェンスの育て方|挿し木の注意点や、切り戻し・冬越し方法まで徹底解説
2025.12.03
イヌホオズキとは|花言葉や花の特徴、実に毒性はある?
2025.12.03
【鬼灯の花言葉】「私を殺して」という怖い意味がつきまとう理由は?
2025.11.28
レウコフィルムの育て方と剪定|鉢植え・地植え・冬の管理方法
2025.11.28
冬植え球根一覧|同じ冬に咲く花はある?プランター以外で育つのは?
花の関連コラムをもっとみる
blooming ☆ smile
お庭がないので鉢植えがメインです。現在約50種。無言フォロー失礼いたしますm( _ _ )m いいね・フォロー、ありがとうございます!無言フォロー歓迎です! (但し、不審な点を 感じた場合&フォロー後、長期間いいね等一切無い場合はフォローを外させていただきます) 発芽した芽や蕾、開き掛けの花をたまらなく愛おしく感じます。植物だけでなく虫たちも大好き。虫たちの画像も投稿します。苦手な方はご注意を⚠︎ 自然や植物の姿から学ぶ日々です。 2025は『草木染めをしながら沢山本を読む』の年に これまでの草木染め ・桜の紅葉葉 ・びわの葉 ・オリーブ ・ヒガンバナ ・竹の葉 ・小豆 ・クスノキ ・藤 撮影は一眼+マクロレンズ(タムキュー)でMFが主。季節違いや年違いの写真は『過去pic』、スマホ撮影の写真は『スマホカメラ』のタグを付けて区別しています。 更新もいいねも不定期ですが宜しくお願いいたします( ´͈ ᵕ `͈ ) GS 2022.06〜
キーワード
今日のお花
今日撮り
植物
キンモクセイ
投稿に関連する植物図鑑
キンモクセイの育て方|苗木を植える時期や植え方、肥料のやり方は?
投稿に関連する花言葉
金木犀の花言葉は怖い意味もあるの?見頃の季節はいつ?
今年はこうして花が残っています
お地蔵さま、観音様は鎮座されたままです ܾ ܾ 𖥧𓇣𖦥𖥧𖥣