warning
error
success
information
ログイン
タイムライン
マイアルバム
アカウント設定
注文履歴
ログアウト
カテゴリから探す
観葉植物
多肉植物・サボテン
ガーデニング
花
家庭菜園
ハーブ
植物の栄養・効能
植物の病気・害虫
植物の種類・品種
雑草
野草・山草
読みもの
植物図鑑
買いもの
投稿
投稿一覧
みどりのまとめ一覧
植物SNS GreenSnap
観葉植物
コーヒーの木,コーヒーの実,シンボルツリーの投稿画像
minamiさんのコーヒーの木,コーヒーの実,シンボルツリーの投稿画像
コーヒーの木
コーヒーの実
いいね
384人
がいいね!
シェア
ツイート
投稿の削除
この投稿を削除しますか?
いいえ
はい
minami
2026/03/18
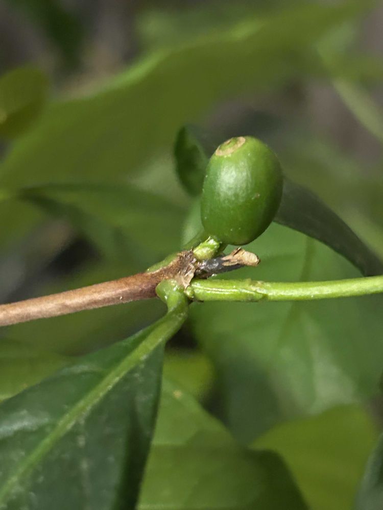
うちのシンボルツリー
コーヒーの木です
もう20年ほど一緒にいるので愛おしいです
老木ですが去年久しぶりに一個だけ花が咲いたので実も付いてますよ
おやすみなさい♡
プーなな
2026/03/18
こんばんは〜♪
コーヒーの木、室内で20年…そして
お花が…実が…👀‼️
スゴーイ、信じられなーい💦
いいね
1
返信
幸君
2026/03/18
minami様。
こんばんは😃🌃
コーヒーの木は、写真を見て初めて知りました🙇
20年も一緒にいるのでは、可愛いでしょうね😍
いいね
1
返信
May
2026/03/19
実が出来たのね
可愛いね😍
1枚目のpic 真ん中くらいのクリーム色の塊り…
一瞬森ちゃんかと思っちゃった😅
鳥さんの後ろ姿っぽいよね⁉️
いいね
1
返信
和やん
2026/03/19
コーヒー 高いな😱
いいね
1
返信
minami
2026/03/19
@プーなな
さん
こんばんは🌱
観葉植物として育てるのにはコーヒーはいいよ
うちのはもう老木でだめだけど
白いきれいな花を咲かせて実も結構なるのでお勧めですよ
最近では百均でも小さいのが売ってるのでプーななさん育ててみたら👍☺️
いいね
1
返信
minami
2026/03/19
@幸君
そうなんです
老木だけどね、まだ思いついたように時々花も咲かせるし可愛いですよ🥰
いいね
1
返信
minami
2026/03/19
@May
ちゃん
そうそう
黄色い塊はね、インコのオブジェよ☺️
鳥好きでプレゼントにいろいろもらうので
うちは森以外にも鳥だらけでーす🎶🦜
いいね
1
返信
minami
2026/03/19
@和やん
確かに去年一時高くなってたね
今もかな
和やんもコーヒー好きやんね☕️😋
いいね
1
返信
プーなな
2026/03/19
@minami
さん♡
ありがとう❣️
トライしてみようかな🤗
いいね
1
返信
minami
2026/03/19
@プーなな
さん
うん
是非〰️🎶
いいね
1
返信
和やん
2026/03/19
@minami
さん
398の業務の豆も 2倍2倍😱
いいね
1
返信
minami
2026/03/19
@和やん
な、なんですか?
398って
いいね
1
返信
和やん
2026/03/19
@minami
さん
値段
いいね
1
返信
minami
2026/03/19
@和やん
あ、そうか🤭
いいね
1
返信
和やん
2026/03/19
@minami
さん
森のお水 確保したってやー😁
いいね
1
返信
のこねじ
2026/03/19
minami’s coffee
飲みに来る
⊂(*ˊ˘ˋ*)☕𓈒
いいね
1
返信
minami
2026/03/19
@のこねじ
たん
いらっしゃ〰️い🙋🏻♀️
いいね
0
返信
minami
2026/03/19
@和やん
はいよっ😊
いいね
1
返信
ココ
2026/03/21
@minami さま•*¨*•.¸♬︎🦜
鉢植えのコーヒーの木に実がなるなんて凄すぎる👏👏👏minamiCafeオープンしたら呼んでね☕✧💕💗💕💗🤗
いいね
1
返信
minami
2026/03/21
@ココ
さん
一時は実もたくさん成っていたけど
もう老木なので、cafeのオープンは無理かなあ😅
でもね時々思い出したように白い花を咲かせてくれるので愛しいですよ
葉っぱだけはピカピカでしょ☺️
いいね
1
返信
まさ
2026/03/21
こんにちわ🎶
育てたコーヒーの豆でコーヒーが飲めたら
最高ですね🤗
いいね
1
返信
minami
2026/03/21
@まさ
さん
ほんとね〜‼︎☺️
数年前まではまだたくさん成ってたんだけど、もう老木なので今は観葉植物として葉っぱを楽しんでるんですよ🎶
いいね
1
返信
投稿する
GreenSnapのおすすめ機能紹介!
【無料で利用できる】写真を撮るだけ!アプリが植物・花の名前を教えてくれる『教えて!カメラ』のご紹介!
観葉植物に関連するカテゴリ
多肉植物・サボテン
ガーデニング
花
家庭菜園
ハーブ
植物の栄養・効能
植物の病気・害虫
植物の種類・品種
雑草
野草・山草
開催中のフォトコンテスト
ガーデンネックレス横浜2026 フォトコンテスト
ガーデンネックレス横浜2026フォトコンテスト開始!優秀賞10名様には「Amazonギフト券500円分」プレゼント!
コンテスト一覧
観葉植物のみどりのまとめ
40
2026/04/05
アデニア ペチュエリー実生記録③-2
前回の続き
2
2026/04/05
アデニア ペチュエリー実生記録②
追加で種子を購入。
0
2026/04/05
アデニア ペチュエリー実生記録①-2
前回の記録がいっぱいになったので新しく作成
観葉植物の関連コラム
2026.03.16
こんもり広がるクモマグサの育て方!地植えでの夏越しはむずかしい?
2025.12.01
アルブカの育て方と植え替え|スピラリスと他種の管理は同じでいい?
2025.11.28
ポーチュラカの育て方|水やりの頻度は?切り戻しや剪定の方法は?
PR
2025.09.19
日本最大級の国際商談展「第19回 GARDEX 国際ガーデン&アウトドアEXPO」が今年も開催!
2025.08.28
クワズイモの育て方|太くするコツは?徒長して伸びすぎたらどうする?
2025.07.22
アボカドの葉が枯れる原因は直射日光?葉が垂れるのは復活できる?
観葉植物の関連コラムをもっとみる
minami
都会の片隅でひっそりとボタニカルライフしています 時々インコも出てきますが親バカだと思って大目に見てくださればうれしいです ♡🦜
キーワード
シンボルツリー
アカネ科
アフリカ原産
鳥(飾り)
植物
コーヒーの木
コーヒーの実
投稿に関連する植物図鑑
コーヒーの木の育て方|難易度は高め?水やり頻度やおすすめ用土は?
投稿に関連する花言葉
コーヒーの木の花言葉|種類や風水、花や実の特徴は?
コーヒーの木です
もう20年ほど一緒にいるので愛おしいです
老木ですが去年久しぶりに一個だけ花が咲いたので実も付いてますよ
おやすみなさい♡