warning
error
success
information
ログイン
タイムライン
マイアルバム
アカウント設定
注文履歴
ログアウト
カテゴリから探す
観葉植物
多肉植物・サボテン
ガーデニング
花
家庭菜園
ハーブ
植物の栄養・効能
植物の病気・害虫
植物の種類・品種
雑草
野草・山草
読みもの
植物図鑑
買いもの
投稿
投稿一覧
みどりのまとめ一覧
植物SNS GreenSnap
花
オガタマノキ,皇居東御苑,なとぷー樹木の投稿画像
なとぷーさんのオガタマノキ,皇居東御苑,なとぷー樹木の投稿画像
オガタマノキ
いいね
39人
がいいね!
シェア
ツイート
投稿の削除
この投稿を削除しますか?
いいえ
はい
なとぷー
2026/03/15
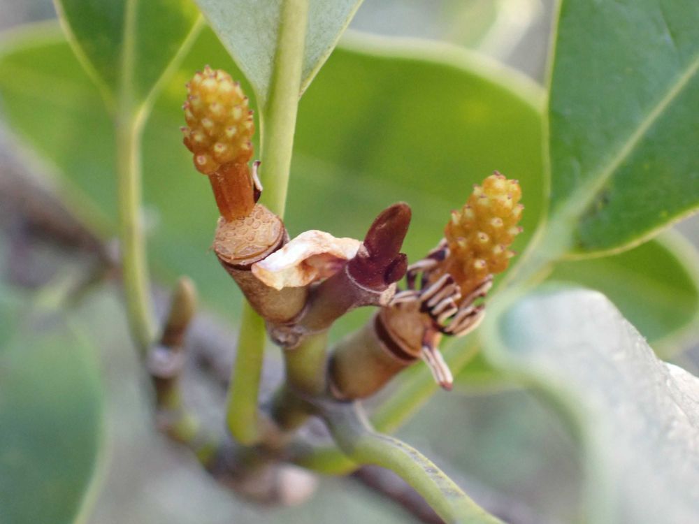
オガタマノキ
モクレン科モクレン属
常緑高木
関東〜沖縄に自生する木だそうです。
高い木なので、花の咲くところを見るのは、無理かなあと諦めていました。この木は、皇居東御苑にある植栽の木です。
垂れ下がっている枝があったので、
見ることができました。
最初見た時は、ちっちゃい!と思いました。直径3センチくらいの花で、花弁が閉じて中が見えませんでした。花被片はふつう12枚ほどだそうです。(①)
黄色みがかった白い花びらの基部は、紫紅色を帯びていました。(②)
雄蕊は、30〜40個あるそうです。
雌蕊は、たくさんあるんですね。
果実がたくさんの袋果になっていたのを思い出しました。(③)
花びらが落ちて、雄蕊もなくなり、雌蕊だけになっている花もありました。これから、実になっていくんだ。
(④)
まだ上のほうの枝には、花が咲いていました。(⑤)
招霊(おきたま)が転じて「オガタマ」になったそうです。日本神話で天照大神が天岩戸に隠れてしまった際に、天鈿女命(アメノウズメ)がオガタマノキの枝を手にして天岩戸の前で舞ったとされているそうです。
枯れた果実を見た時、神楽鈴に見えて、なるほどーと思いました。
一円玉のデザインにも採用されているとか。
ここに、木があることを知った日から、花が咲くのを待っていました。
ちょうどタイミングよく、見ることができたのは、神様に呼ばれたのかな?
①② 3.11
③④⑤ 3.15
投稿する
GreenSnapのおすすめ機能紹介!
【無料で利用できる】写真を撮るだけ!アプリが植物・花の名前を教えてくれる『教えて!カメラ』のご紹介!
花に関連するカテゴリ
観葉植物
多肉植物・サボテン
ガーデニング
家庭菜園
ハーブ
植物の栄養・効能
植物の病気・害虫
植物の種類・品種
雑草
野草・山草
開催中のフォトコンテスト
コンテスト一覧
花のみどりのまとめ
27
2026/03/17
🐶散歩🐾で、ベニボクハンのお花に今年も出逢えました❣️😍
今年も🐶散歩道で私のお気に入りのお花 ベニボクハンツバキに出逢えました(*^^*)💕
106
2026/03/17
No.743 スタジオSOTAポップアップイベント初日訪問2026/0313
「お散歩は季節をまとって」ガチャ販売を手がけたスタジオSOTA。冬野カモメ先生のお散歩ちゃんのたくさんの作品を世に出して。お散歩ちゃんワールド、楽しみたいな💓
64
2026/03/17
No.740 2026年のマグノリア①2026/0315 シデコブシ、白木蓮、・・・
大好きな花木の代表、マグノリアの開花が始まった。2026年のマグノリア、記録しておこう。
花の関連コラム
2026.03.16
植えてはいけない?アジュガの毒性と広がる範囲、後悔しない対策とは
2026.03.13
春になると白い大きな花が咲く木の正体は?ハクモクレンの時期や特徴
2026.03.13
チューリップが葉っぱだけになる?花が咲かない原因は?三上真史のお悩みQ&A
2026.03.13
芝桜の植え替え時期や植え方のコツは?ほったらかしOKな育て方
2026.03.12
枝垂れ梅の育て方|鉢植えで大きくしないには?おすすめの肥料は?
2026.03.12
桜の枝から育てる方法|接ぎ木や挿し木の時期、増やし方を解説
花の関連コラムをもっとみる
なとぷー
山野草、山歩き大好き。 皆さんの写真を見せて頂いて毎日癒されています。 植物のこと、新しく知るのは、とってもワクワクします。 教えてくださって感謝しています。 最近、忙しくしていて、なかなかコメントができません。また、いいねをいただいて、お返しもできずにいます。 失礼があったら、ごめんなさいです。 よろしくお願いします。
キーワード
皇居東御苑
なとぷー樹木
植物
オガタマノキ
投稿に関連する植物図鑑
オガタマノキの育て方|植え付けや剪定の時期、挿し木や種まきで増やせる?
モクレン科モクレン属
常緑高木
関東〜沖縄に自生する木だそうです。
高い木なので、花の咲くところを見るのは、無理かなあと諦めていました。この木は、皇居東御苑にある植栽の木です。
垂れ下がっている枝があったので、
見ることができました。
最初見た時は、ちっちゃい!と思いました。直径3センチくらいの花で、花弁が閉じて中が見えませんでした。花被片はふつう12枚ほどだそうです。(①)
黄色みがかった白い花びらの基部は、紫紅色を帯びていました。(②)
雄蕊は、30〜40個あるそうです。
雌蕊は、たくさんあるんですね。
果実がたくさんの袋果になっていたのを思い出しました。(③)
花びらが落ちて、雄蕊もなくなり、雌蕊だけになっている花もありました。これから、実になっていくんだ。
(④)
まだ上のほうの枝には、花が咲いていました。(⑤)
招霊(おきたま)が転じて「オガタマ」になったそうです。日本神話で天照大神が天岩戸に隠れてしまった際に、天鈿女命(アメノウズメ)がオガタマノキの枝を手にして天岩戸の前で舞ったとされているそうです。
枯れた果実を見た時、神楽鈴に見えて、なるほどーと思いました。
一円玉のデザインにも採用されているとか。
ここに、木があることを知った日から、花が咲くのを待っていました。
ちょうどタイミングよく、見ることができたのは、神様に呼ばれたのかな?
①② 3.11
③④⑤ 3.15