warning
error
success
information
ログイン
タイムライン
マイアルバム
アカウント設定
注文履歴
ログアウト
カテゴリから探す
観葉植物
多肉植物・サボテン
ガーデニング
花
家庭菜園
ハーブ
植物の栄養・効能
植物の病気・害虫
植物の種類・品種
雑草
野草・山草
読みもの
植物図鑑
買いもの
投稿
投稿一覧
みどりのまとめ一覧
植物SNS GreenSnap
花
ナギ,ナギイカダ (梛筏),薬草の投稿画像
Connie(コニ)さんのナギ,ナギイカダ (梛筏),薬草の投稿画像
ナギイカダ (梛筏)
ナギ
いいね
43人
がいいね!
シェア
ツイート
投稿の削除
この投稿を削除しますか?
いいえ
はい
Connie(コニ)
2026/03/01
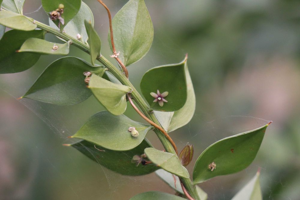
ナギイカダ
育った家にあった植物
赤い実は記憶にあったが
名前も花が咲くことも知らなかった
何十年も経ってから知るってあるんですね
葉のように見えるのは茎が変形したもので、葉は退化して鱗片のようで目立たない
葉ではないので、葉(のように見えるところ)から花が咲くのは不思議ではないそうです
そこがハナイカダと違うところですね
名前はハナイカダからもらっています
ナギはナギという木から⑤
この投稿はコメントがオフになっています。
GreenSnapのおすすめ機能紹介!
【無料で利用できる】写真を撮るだけ!アプリが植物・花の名前を教えてくれる『教えて!カメラ』のご紹介!
花に関連するカテゴリ
観葉植物
多肉植物・サボテン
ガーデニング
家庭菜園
ハーブ
植物の栄養・効能
植物の病気・害虫
植物の種類・品種
雑草
野草・山草
開催中のフォトコンテスト
ガーデンネックレス横浜2026 フォトコンテスト
ガーデンネックレス横浜2026フォトコンテスト開始!優秀賞10名様には「Amazonギフト券500円分」プレゼント!
コンテスト一覧
花のみどりのまとめ
71
2026/04/06
No.589 2025年今年の桜⑧2025/0417 八重桜、鬱金桜、松月桜、関山・・・・
桜のシーズン最後を飾る八重桜、今年はどんな花に会えるかな。
12
2026/04/06
思川桜と菜の花
小山市を流れる思川の土手に咲く思川桜と菜の花です
106
2026/04/06
ヒスイカズラを育てる。
ヒスイカズラを育ててみたくなり、購入する前に先ずはネットで育て方を検索しました。 検索した結果、沖縄などの温かい地方での地植えや、植物園の開花の投稿は沢山有りましたが、鉢植えでの詳しい育て方は余り投稿されていませんでした😅 育てる事が出来るか分かりませんが、これもチャレンジと思い、取り敢えずメルカリで購入して見ました。 お迎えしたのは2025年6月の初めです。 植替えに適した時期にしました。 調べた結果、気難しいと出てたので、最初から少し大きめな子をお迎えしました。
花の関連コラム
2026.03.19
ヤブカンゾウの花はある毒草と似てる?見分け方や美味しい食べ方
2026.03.19
チューベローズ(月下香)の育て方|球根の植えっぱなしはNG?
2026.03.19
畑わさびの育て方|プランター栽培のメリットや夏越しの注意点は?
2026.03.18
キランソウってどんな花?花言葉や漢方としての薬効、育て方を解説
2026.03.18
伸びすぎたツルニチニチソウの剪定方法は?鉢植えでの育て方ポイント
2026.03.18
菊は植えっぱなしにせず切り戻しすべき?花が終わったらどうする?
花の関連コラムをもっとみる
Connie(コニ)
tommy(アイコン無し)←詐欺師です ラインのQRコードをポストしていますが、相手になさいませぬよう
キーワード
薬草
雌雄異株
野の花山の花
木を見に行こう
植物
ナギ
ナギイカダ (梛筏)
投稿に関連する植物図鑑
ナギ(梛)の育て方|幸せを呼ぶ観葉植物なの?枯れる原因は?
育った家にあった植物
赤い実は記憶にあったが
名前も花が咲くことも知らなかった
何十年も経ってから知るってあるんですね
葉のように見えるのは茎が変形したもので、葉は退化して鱗片のようで目立たない
葉ではないので、葉(のように見えるところ)から花が咲くのは不思議ではないそうです
そこがハナイカダと違うところですね
名前はハナイカダからもらっています
ナギはナギという木から⑤