warning
error
success
information
ログイン
タイムライン
マイアルバム
アカウント設定
注文履歴
ログアウト
カテゴリから探す
観葉植物
多肉植物・サボテン
ガーデニング
花
家庭菜園
ハーブ
植物の栄養・効能
植物の病気・害虫
植物の種類・品種
雑草
野草・山草
読みもの
植物図鑑
買いもの
投稿
投稿一覧
みどりのまとめ一覧
植物SNS GreenSnap
花
カクレミノ,なとぷー樹木,須崎.爪木崎遊歩道の投稿画像
なとぷーさんのカクレミノ,なとぷー樹木,須崎.爪木崎遊歩道の投稿画像
カクレミノ
いいね
49人
がいいね!
シェア
ツイート
投稿の削除
この投稿を削除しますか?
いいえ
はい
なとぷー
2025/12/20
カクレミノ
天狗のうちわのような面白い形の大きな葉っぱ。
その葉が鬼や天狗がはおると隠れることができる蓑に似ているということで隠れ蓑(かくれみの)という名前がついたんですね。
おもしろーい!
沖縄ヤンバルの森で、見たカクレミノ。(⑤)
葉が上のほうにかたまってついている幼木でした。
次に見たのは、北の丸公園で植栽されていた、カクレミノ。高木で観察できず。
今回、下田爪木崎、須崎自然観察路を歩いていたら、出会いました。(①)
まだ若い木なので、切れ込みのある葉がたくさんありました。
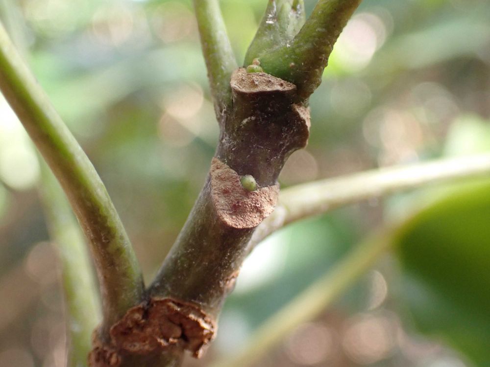
冬芽葉痕を観察しました。
冬芽がよく観察できず、次への課題です。
冬芽は水滴型、葉痕はブーメラン型
(②③)
近くに高木があり、見てみると、遠くに黒い実がたくさんありました。
この高木の葉は、切れ込みがない普通の葉っぱでした。
白っぽい幹のはだをしていました。
(④)
暖かい海岸近くの木なのですね。
この森に自生しているカクレミノに出会うことができて、嬉しかったです。
①②③④ 12.19
⑤ 8.29
投稿する
GreenSnapのおすすめ機能紹介!
【無料で利用できる】写真を撮るだけ!アプリが植物・花の名前を教えてくれる『教えて!カメラ』のご紹介!
花に関連するカテゴリ
観葉植物
多肉植物・サボテン
ガーデニング
家庭菜園
ハーブ
植物の栄養・効能
植物の病気・害虫
植物の種類・品種
雑草
野草・山草
開催中のフォトコンテスト
ガーデンネックレス横浜2026 フォトコンテスト
ガーデンネックレス横浜2026フォトコンテスト開始!優秀賞10名様には「Amazonギフト券500円分」プレゼント!
コンテスト一覧
花のみどりのまとめ
71
2026/04/06
No.589 2025年今年の桜⑧2025/0417 八重桜、鬱金桜、松月桜、関山・・・・
桜のシーズン最後を飾る八重桜、今年はどんな花に会えるかな。
12
2026/04/06
思川桜と菜の花
小山市を流れる思川の土手に咲く思川桜と菜の花です
106
2026/04/06
ヒスイカズラを育てる。
ヒスイカズラを育ててみたくなり、購入する前に先ずはネットで育て方を検索しました。 検索した結果、沖縄などの温かい地方での地植えや、植物園の開花の投稿は沢山有りましたが、鉢植えでの詳しい育て方は余り投稿されていませんでした😅 育てる事が出来るか分かりませんが、これもチャレンジと思い、取り敢えずメルカリで購入して見ました。 お迎えしたのは2025年6月の初めです。 植替えに適した時期にしました。 調べた結果、気難しいと出てたので、最初から少し大きめな子をお迎えしました。
花の関連コラム
2026.03.19
ヤブカンゾウの花はある毒草と似てる?見分け方や美味しい食べ方
2026.03.19
チューベローズ(月下香)の育て方|球根の植えっぱなしはNG?
2026.03.19
畑わさびの育て方|プランター栽培のメリットや夏越しの注意点は?
2026.03.18
キランソウってどんな花?花言葉や漢方としての薬効、育て方を解説
2026.03.18
伸びすぎたツルニチニチソウの剪定方法は?鉢植えでの育て方ポイント
2026.03.18
菊は植えっぱなしにせず切り戻しすべき?花が終わったらどうする?
花の関連コラムをもっとみる
なとぷー
山野草、山歩き大好き。 皆さんの写真を見せて頂いて毎日癒されています。 植物のこと、新しく知るのは、とってもワクワクします。 教えてくださって感謝しています。 最近、忙しくしていて、なかなかコメントができません。また、いいねをいただいて、お返しもできずにいます。 失礼があったら、ごめんなさいです。 よろしくお願いします。
キーワード
なとぷー樹木
須崎.爪木崎遊歩道
植物
カクレミノ
投稿に関連する植物図鑑
カクレミノの育て方|種まきや挿し木、剪定の方法は?
投稿に関連する花言葉
カクレミノの花言葉|花の特徴や由来、種類はある?
天狗のうちわのような面白い形の大きな葉っぱ。
その葉が鬼や天狗がはおると隠れることができる蓑に似ているということで隠れ蓑(かくれみの)という名前がついたんですね。
おもしろーい!
沖縄ヤンバルの森で、見たカクレミノ。(⑤)
葉が上のほうにかたまってついている幼木でした。
次に見たのは、北の丸公園で植栽されていた、カクレミノ。高木で観察できず。
今回、下田爪木崎、須崎自然観察路を歩いていたら、出会いました。(①)
まだ若い木なので、切れ込みのある葉がたくさんありました。
冬芽葉痕を観察しました。
冬芽がよく観察できず、次への課題です。
冬芽は水滴型、葉痕はブーメラン型
(②③)
近くに高木があり、見てみると、遠くに黒い実がたくさんありました。
この高木の葉は、切れ込みがない普通の葉っぱでした。
白っぽい幹のはだをしていました。
(④)
暖かい海岸近くの木なのですね。
この森に自生しているカクレミノに出会うことができて、嬉しかったです。
①②③④ 12.19
⑤ 8.29