warning
error
success
information
ログイン
タイムライン
マイアルバム
アカウント設定
注文履歴
ログアウト
カテゴリから探す
観葉植物
多肉植物・サボテン
ガーデニング
花
家庭菜園
ハーブ
植物の栄養・効能
植物の病気・害虫
植物の種類・品種
雑草
野草・山草
読みもの
植物図鑑
買いもの
投稿
投稿一覧
みどりのまとめ一覧
植物SNS GreenSnap
多肉植物・サボテン
塊根植物・コーデックス
ベランダ,アデニウム タイソコトラナム,アデニウム タイソコトラナムの投稿画像
猫舌さんのベランダ,アデニウム タイソコトラナム,アデニウム タイソコトラナムの投稿画像
アデニウム タイソコトラナム
いいね
30人
がいいね!
シェア
ツイート
投稿の削除
この投稿を削除しますか?
いいえ
はい
猫舌
2025/11/24
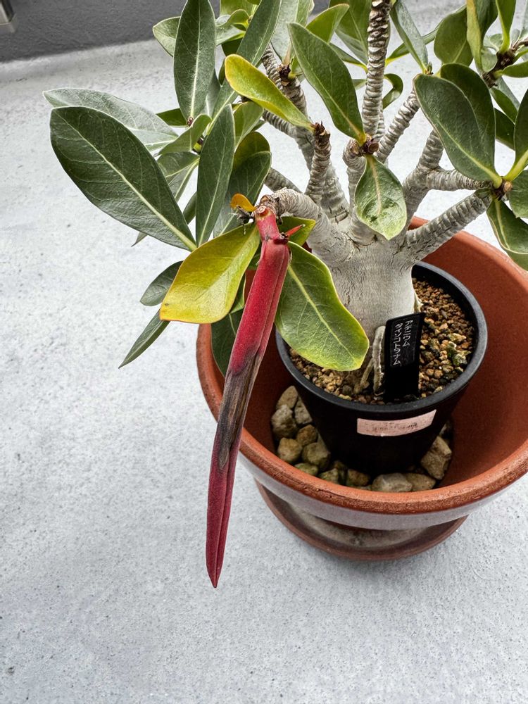
アデニウム タイソコトラナム です、ずっと赤黒伸びたものがついてたんですが、たまたま昨日部屋に取り込むのを忘れた為か茶色になってしまいました。有識者の皆様これはこのままで大丈夫でしょうか。初心者🔰より
投稿する
GreenSnapのおすすめ機能紹介!
【無料で利用できる】写真を撮るだけ!アプリが植物・花の名前を教えてくれる『教えて!カメラ』のご紹介!
塊根植物・コーデックスに関連するカテゴリ
多肉植物の育て方
多肉植物の寄せ植え
多肉植物の鉢
タニラー
サボテン
珍奇植物・ビザールプランツ
多肉植物の通販
開催中のフォトコンテスト
コンテスト一覧
塊根植物・コーデックスの関連コラム
2021.05.28
塊根植物(コーデックス)とは|レアで人気の種類は?育て方のコツは?
2021.05.11
アデニウム・アラビカムの育て方|種や挿し木からでも育つ?花の時期は?
2021.05.11
アデニウムの種類|人気品種の特徴や見分け方は?花は咲く?
2021.02.18
パキポディウムってどんな塊根植物?人気の種類は?どんな特徴がある?
2020.05.21
アデニア・グラウカの育て方|うまく育てるコツとは?
2020.04.30
「断崖の女王」はどんな多肉植物?育て方は?銀色の毛が魅力的!
塊根植物・コーデックスの関連コラムをもっとみる
猫舌
グランドカバーしたい初心者です。
場所
ベランダ
キーワード
塊根植物
アデニウム属
非耐寒性
植物
アデニウム タイソコトラナム
アデニウム タイソコトラナム