warning
error
success
information
ログイン
タイムライン
マイアルバム
アカウント設定
注文履歴
ログアウト
カテゴリから探す
観葉植物
多肉植物・サボテン
ガーデニング
花
家庭菜園
ハーブ
植物の栄養・効能
植物の病気・害虫
植物の種類・品種
雑草
野草・山草
読みもの
植物図鑑
買いもの
投稿
投稿一覧
みどりのまとめ一覧
植物SNS GreenSnap
花
サザンカ,ガガイモ,食用菊 【もってのほか】の投稿画像
はーちゃんさんのサザンカ,ガガイモ,食用菊 【もってのほか】の投稿画像
食用菊 【もってのほか】
ガガイモ
サザンカ
中国マクワウリ
羊角蜜メロン
黒ホウズキ
いいね
90人
がいいね!
シェア
ツイート
投稿の削除
この投稿を削除しますか?
いいえ
はい
はーちゃん
2025/10/17
🏷️金曜日の蕾たち…参加させて頂きます。
もってのほか…
今日は天ぷらにして頂きます…
天ぷらの衣にマヨネーズ入れるのが味噌らしい〜
ガガイモさんにまた蕾が…
お日様求めてビョーンと茎伸ばしてるのがとっても涙ぐましい➰可愛いよー
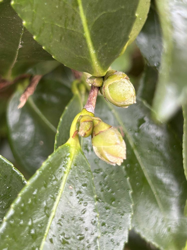
サザンカの冬支度…
もう蕾が付いてますよ…
真っ赤なお花 もうちょっと先ね〜
何かのおまけで頂いたウリの種…
こんなのができました。でも得体の知れないもの食べたらあかんよね…例のメロンのように➰タベルケド
黒ホウズキ
綺麗な可愛いブルーのお花…
大好きやなあー今日咲いてたホウズキでした➰
17日(金)
秋晴れ
18℃/28℃朝イチ20℃ 夕方23℃
昨日は初物二個食べました。落花生はお味噌汁で 菊十五夜は酢の物で頂きました。長生きすると言いますね…元気でました。
旦那様にも お前は面白い❗️退屈せんわ➰
褒められたのかどうだか➰
*調べたら…
中国マクワウリとわかりました。
安心して食べられます。
投稿する
GreenSnapのおすすめ機能紹介!
【無料で利用できる】写真を撮るだけ!アプリが植物・花の名前を教えてくれる『教えて!カメラ』のご紹介!
花に関連するカテゴリ
観葉植物
多肉植物・サボテン
ガーデニング
家庭菜園
ハーブ
植物の栄養・効能
植物の病気・害虫
植物の種類・品種
雑草
野草・山草
開催中のフォトコンテスト
コンテスト一覧
花のみどりのまとめ
8
2025/12/17
土津神社 秋詣
猪苗代町 2025.10.12
3
2025/12/17
和バラ りくほたる
和バラ りくほたるの日記
31
2025/12/17
フィオリーナゴールド🔰はじめて育てます。挿し芽にもチャレンジ🔰
フィオリーナゴールド🔰はじめて育てます。挿し芽にもチャレンジ~🎵
花の関連コラム
2025.12.12
【紫陽花の冬越し】冬の剪定方法は?葉が落ちないときはどうする?
2025.12.04
サンパチェンスの育て方|挿し木の注意点や、切り戻し・冬越し方法まで徹底解説
2025.12.03
イヌホオズキとは|花言葉や花の特徴、実に毒性はある?
2025.12.03
【鬼灯の花言葉】「私を殺して」という怖い意味がつきまとう理由は?
2025.11.28
レウコフィルムの育て方と剪定|鉢植え・地植え・冬の管理方法
2025.11.28
冬植え球根一覧|同じ冬に咲く花はある?プランター以外で育つのは?
花の関連コラムをもっとみる
はーちゃん
キーワード
金曜日の蕾たち
山茶花/H
ガガイモ/H
種まき/H
食用菊/H
黒ホウズキ/H
植物
サザンカ
ガガイモ
食用菊 【もってのほか】
黒ホウズキ
中国マクワウリ
羊角蜜メロン
投稿に関連する植物図鑑
山茶花の育て方|挿し木のやり方は?肥料や植え替え時期は?
投稿に関連する花言葉
山茶花(サザンカ)の花言葉|色別の意味は?花の種類や椿との違いは?
もってのほか…
今日は天ぷらにして頂きます…
天ぷらの衣にマヨネーズ入れるのが味噌らしい〜
ガガイモさんにまた蕾が…
お日様求めてビョーンと茎伸ばしてるのがとっても涙ぐましい➰可愛いよー
サザンカの冬支度…
もう蕾が付いてますよ…
真っ赤なお花 もうちょっと先ね〜
何かのおまけで頂いたウリの種…
こんなのができました。でも得体の知れないもの食べたらあかんよね…例のメロンのように➰タベルケド
黒ホウズキ
綺麗な可愛いブルーのお花…
大好きやなあー今日咲いてたホウズキでした➰
17日(金)
秋晴れ
18℃/28℃朝イチ20℃ 夕方23℃
昨日は初物二個食べました。落花生はお味噌汁で 菊十五夜は酢の物で頂きました。長生きすると言いますね…元気でました。
旦那様にも お前は面白い❗️退屈せんわ➰
褒められたのかどうだか➰
*調べたら…
中国マクワウリとわかりました。
安心して食べられます。