warning
error
success
information
ログイン
タイムライン
マイアルバム
アカウント設定
注文履歴
ログアウト
カテゴリから探す
観葉植物
多肉植物・サボテン
ガーデニング
花
家庭菜園
ハーブ
植物の栄養・効能
植物の病気・害虫
植物の種類・品種
雑草
野草・山草
読みもの
植物図鑑
買いもの
投稿
投稿一覧
みどりのまとめ一覧
植物SNS GreenSnap
ガーデニング
庭づくり
バルコニー/ベランダ
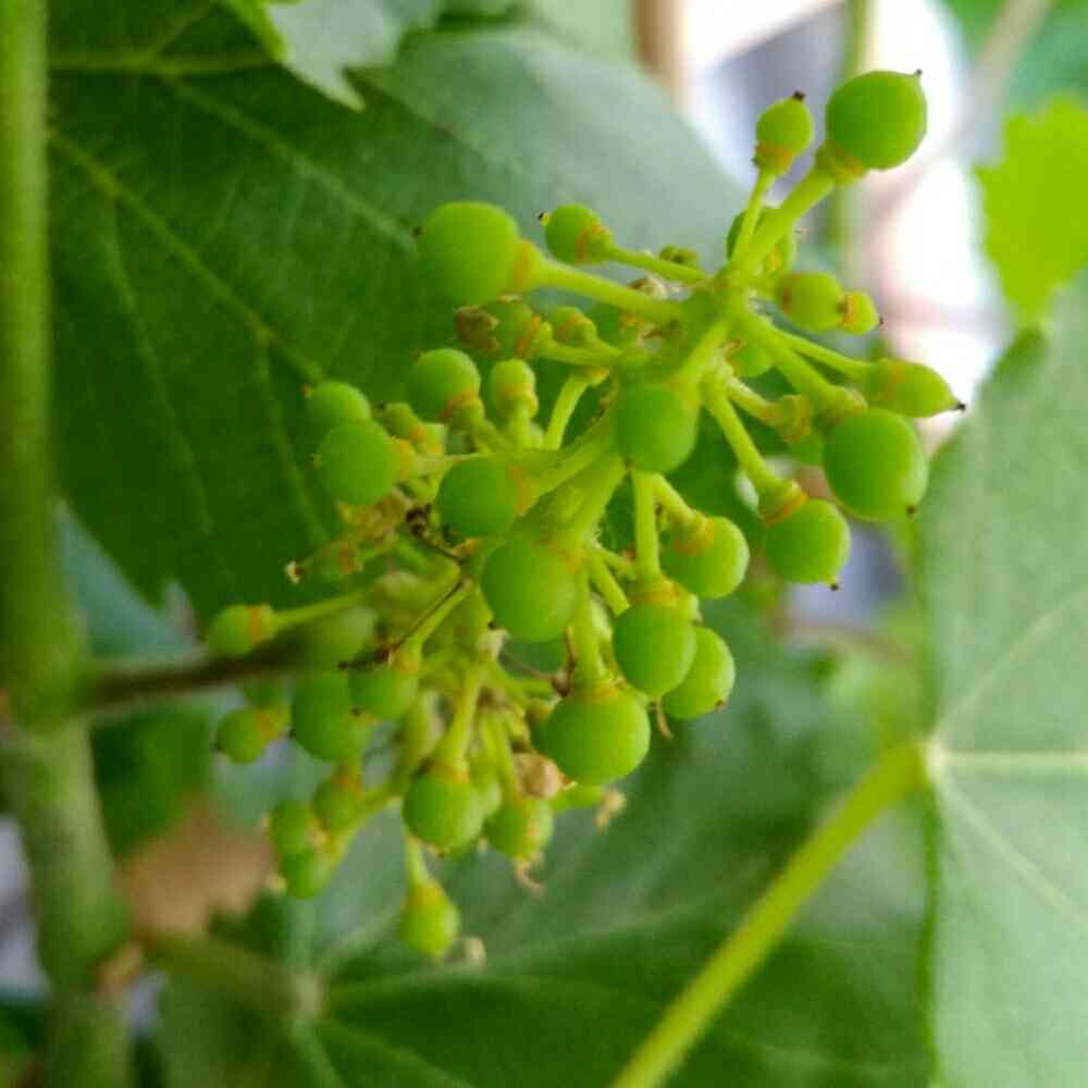
バルコニー/ベランダ,家庭菜園,ブドウ ヒムロットの投稿画像
まさひめネオさんのバルコニー/ベランダ,家庭菜園,ブドウ ヒムロットの投稿画像
ブドウ ヒムロット
いいね
55人
がいいね!
シェア
ツイート
投稿の削除
この投稿を削除しますか?
いいえ
はい
まさひめネオ
2018/05/25
ブドウ🍇の実。
少し大きくなりました😄
投稿する
GreenSnapのおすすめ機能紹介!
【無料で利用できる】写真を撮るだけ!アプリが植物・花の名前を教えてくれる『教えて!カメラ』のご紹介!
バルコニー/ベランダに関連するカテゴリ
小さな庭
広い庭
花壇
シンボルツリー
ウッドデッキ
グランドカバー
グリーンカーテン
エクステリア
テラス
アプローチ
フェンス
軒下
温室
車庫
開催中のフォトコンテスト
コンテスト一覧
バルコニー/ベランダの関連コラム
2025.06.10
シソのプランター栽培|容器の大きさや深さは?ベランダ栽培のコツは?
2025.03.11
バジルはベランダ菜園できる?種まきの方法や注意するポイントを解説
2025.03.06
キュウリのプランター栽培|初心者もベランダ菜園できる?収穫量は?
2021.12.09
ベランダでハーブ栽培|育てやすい種類は?寄せ植えもできるの?
2021.11.24
ゴーヤのベランダ栽培|摘芯や種まき、苗の植え付けの時期や方法
2017.02.13
ベランダで植物を育ててみよう
バルコニー/ベランダの関連コラムをもっとみる
まさひめネオ
2016年から家庭菜園始めました。今は、果樹栽培中心です。 ブドウ🍇 ミカン🍊 レモン🍋 イチゴ🍓 モモ🍑 ベリー系 ↑の収穫を目指して楽しんでます。 よろしくお願いします。
場所
バルコニー/ベランダ
家庭菜園
キーワード
鉢植え
果樹
種無しぶどう
葡萄栽培
鉢植え果樹
ブドウ科
ブドウの木
楽しい家庭果樹
ヒムロット
植物
ブドウ ヒムロット
少し大きくなりました😄