warning
error
success
information
ログイン
タイムライン
マイアルバム
アカウント設定
注文履歴
ログアウト
カテゴリから探す
観葉植物
多肉植物・サボテン
ガーデニング
花
家庭菜園
ハーブ
植物の栄養・効能
植物の病気・害虫
植物の種類・品種
雑草
野草・山草
読みもの
植物図鑑
買いもの
投稿
投稿一覧
みどりのまとめ一覧
植物SNS GreenSnap
花
花のある暮らし
お出かけ先,オオオナモミ,オオオナモミの投稿画像
山ちゃんさんのお出かけ先,オオオナモミ,オオオナモミの投稿画像
オオオナモミ
オオオナモミ
オオオナモミ
オオオナモミ
オオオナモミ
いいね
170人
がいいね!
シェア
ツイート
投稿の削除
この投稿を削除しますか?
いいえ
はい
山ちゃん
2025/10/19
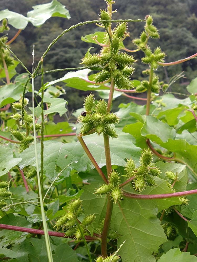
オオオナモミ
今日のお花
1日にupしてから大分成長してました
ウルトラセブン
2025/10/19
突然ですが、
オオが付かない在来種との違い分かりますか?
教えてください。
いいね
1
返信
山ちゃん
2025/10/19
@ウルトラセブン
わからないです?
いいね
1
返信
ウルトラセブン
2025/10/19
セブンもわからない。
まったくお手上げ🤷
いいね
0
返信
投稿する
GreenSnapのおすすめ機能紹介!
【無料で利用できる】写真を撮るだけ!アプリが植物・花の名前を教えてくれる『教えて!カメラ』のご紹介!
花のある暮らしに関連するカテゴリ
切り花
アレンジメント
母の日
バラ
花言葉
花の育て方
開催中のフォトコンテスト
コンテスト一覧
花のある暮らしのみどりのまとめ
25
2025/12/16
まいど 大阪キタ🎄師走 2025
ややこしや OSAKA ☝🏻大阪・キタ・梅田・うめきた
7
2025/12/16
No.666 ☆yumi☆トトロ3️⃣ 2025/01~
備忘録としよう
90
2025/12/15
姫路好古園に行って来ました。
姫路城の西御屋敷跡に造られた約1万坪の池泉回遊式の日本庭園。
花のある暮らしの関連コラム
2025.12.12
【紫陽花の冬越し】冬の剪定方法は?葉が落ちないときはどうする?
2025.11.28
冬植え球根一覧|同じ冬に咲く花はある?プランター以外で育つのは?
2025.11.27
冬に植える花一覧|12月に種をばらまくだけで咲く花はあるの?
2025.11.13
GreenSnapMarche YOKOHAMA 2025 AUTUMN 開催レポート
2025.08.28
クワズイモの葉が垂れる原因は?根腐れしたら胴切りで復活できる?
2025.08.05
ハイビスカスの寿命はどれくらい?鉢植えの方が枯れやすい?
花のある暮らしの関連コラムをもっとみる
山ちゃん
バラと多肉植物を育てています。 東大阪と兵庫県を現在行き来しています。 2018年8月よりデビューしました。
場所
お出かけ先
キーワード
花のある暮らし
いつもの散歩道
植物
オオオナモミ
オオオナモミ
オオオナモミ
オオオナモミ
オオオナモミ
オオオナモミ
今日のお花
1日にupしてから大分成長してました