warning
error
success
information
ログイン
タイムライン
マイアルバム
アカウント設定
注文履歴
ログアウト
カテゴリから探す
観葉植物
多肉植物・サボテン
ガーデニング
花
家庭菜園
ハーブ
植物の栄養・効能
植物の病気・害虫
植物の種類・品種
雑草
野草・山草
読みもの
植物図鑑
買いもの
投稿
投稿一覧
みどりのまとめ一覧
植物SNS GreenSnap
観葉植物
観葉植物,新芽,成長記録の投稿画像
ちゃあさんの観葉植物,新芽,成長記録の投稿画像
いいね
172人
がいいね!
シェア
ツイート
投稿の削除
この投稿を削除しますか?
いいえ
はい
ちゃあ
2025/07/12
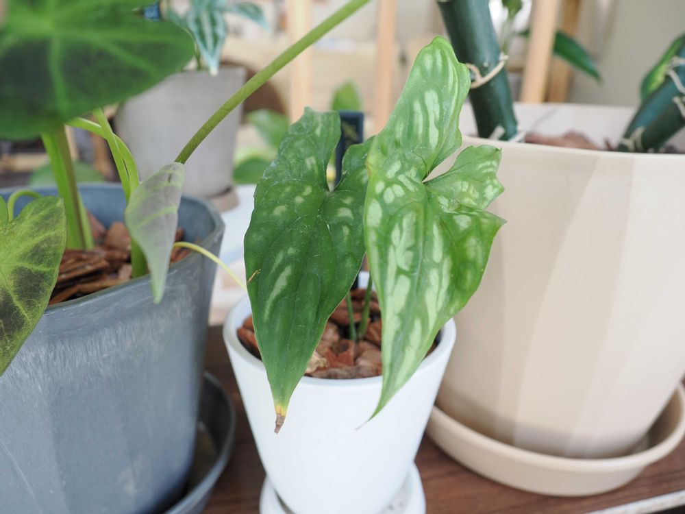
セルセスティス・ミラビリスの新芽が出てきてくれたので初公開✨️
アロイドの中ではマイナーでなかなかお目にかかれない子だけど、葉の模様がすごく魅力的😍
もっと人気が出てもいいと思うんだけどなぁ💦
としお
2025/07/12
こんばんは♪
本種はマイナーと言う感もありますが成長が遅く大きくなるのでファームなどでは量産向きではありません。
名称もセルセスティスとあるようにサトイモ科でも市場で人気のあるアロカシアやコロカシア属ではなくセルセスティス属なのでアロイド系の仲間と思われにくいのかもしれません🤔
いいね
1
返信
ちゃあ
2025/07/12
@としお
なるほど、成長が遅いのはお金になりにくいという弱点なんですね💦
コロカシアなんかものすごい速さで成長しますもんね😅
私としてはセルセスティス?何それ聞いたことない!カッコイイ!欲しい‼️ってなっちゃうわけですけど…やっぱり少数派なんですかね😱
いいね
1
返信
としお
2025/07/12
@ちゃあ
さん
いえいえ、好みは人それぞれですのでビビッと来たら購入で良いと思います☺️
ただ植物市場も変化しております。
野菜や魚で言えば獲れたものが市場に集まり小売店が競りで落としますが、昨今の植物事情では卸問屋が売れそうな品種をファームに生産依頼(いわゆるメリクロン株です)をかけて仕入れをコントロールしています。
なので成長の早い種は毎年流通しますが時間かかる種は1年おきとか2年おきに店頭に並ぶわけです。
なので植物市場などのルートがあれば予約的なことも可能ですがそうでない場合は出会った時に購入する事をオススメします😤
長々とスミマセン😔
いいね
2
返信
ちゃあ
2025/07/13
@としお
なるほどー
植物が売り切れると次の入荷まで何ヶ月もかかったり、珍しい植物のはずなのに複数の店で同時に見かけたりする理由が分かりました😊
そしてセルセスティスが流通しないのも納得です😭
いいね
2
返信
ペロ
2025/07/16
@ちゃあさん。
セルセスティス、、、って、モンステラとかと同じ育て方でいいの⁉️
アロイド系のわりには地味でおとなしい感じがします。
最近は斑入りに興味津々なんですよ。
出会えるかなあ☺️
いいね
1
返信
ちゃあ
2025/07/16
@ペロ
他のアロイドと同じ環境に置いてますが、新芽も出てきてくれてますし今のところ問題なく育ってますね😊
日当たりと水はけが良ければだいたい何とかなります🤣
この子はまだ小さいですけど、大きくなれば特徴的でかっこいい模様の葉っぱになってくれるので、きっと気に入ると思いますよ🥰
いいね
1
返信
ペロ
2025/07/16
@ちゃあ
さん。
我が家から少し離れた場所だけど、🚃で1時間くらいの所に、プロトリーフの直営店が有るんですよ。
ショッピングセンターの中の、テナント店の割には、なかなか大きいお店です。
今度の三連休に、観葉植物を見に行こうと思ってたんですよ。
お目当てができました❗
出会えると、いいなあ😊😄😁
いいね
1
返信
ちゃあ
2025/07/16
@ペロ
そういう所に行きやすいのは都会のいいところですね👍
いい子に出会えるといいですね😊
私は北海道らしく雪印種苗園にでも行ってこようかな🤣
いいね
1
返信
ペロ
2025/07/16
@ちゃあ
さん。
そうかもしれないけど、別の投稿であったけど、自宅でラベンダー育てられるって、さすが北海道たなあ、、と思いましたよ😃
うちの庭は、3m×10m くらいですよ😭
いいね
1
返信
ちゃあ
2025/07/16
@ペロ
うちの庭も似たような広さですよ😅
放置しても冬を越せる植物だけが生き残ってます💦
いいね
1
返信
投稿する
GreenSnapのおすすめ機能紹介!
【無料で利用できる】写真を撮るだけ!アプリが植物・花の名前を教えてくれる『教えて!カメラ』のご紹介!
観葉植物に関連するカテゴリ
多肉植物・サボテン
ガーデニング
花
家庭菜園
ハーブ
植物の栄養・効能
植物の病気・害虫
植物の種類・品種
雑草
野草・山草
開催中のフォトコンテスト
コンテスト一覧
観葉植物のみどりのまとめ
2
2025/12/18
PWアルテルナンテラ リトルロマンス
島忠ホームズで出会ったリトルロマンス成長日記
2
2025/12/17
ライム🍋🟩
ライム成長記録
0
2025/12/17
活力剤投入
元気になって!!
観葉植物の関連コラム
2025.12.01
アルブカの育て方と植え替え|スピラリスと他種の管理は同じでいい?
2025.11.28
ポーチュラカの育て方|水やりの頻度は?切り戻しや剪定の方法は?
PR
2025.09.19
日本最大級の国際商談展「第19回 GARDEX 国際ガーデン&アウトドアEXPO」が今年も開催!
2025.08.28
クワズイモの育て方|太くするコツは?徒長して伸びすぎたらどうする?
2025.07.22
アボカドの葉が枯れる原因は直射日光?葉が垂れるのは復活できる?
2025.07.10
室内におすすめの観葉植物30選!GreenSnap独自の最新データ
観葉植物の関連コラムをもっとみる
ちゃあ
自宅では主にアロイド系の観葉植物を育てています。 また、カメラを持って気ままに出かけ、花などを撮るのが好きです。 2024.05.01 GS開始 2024.07.14 テラリウム始めました 2025.07.20 シュリンクハートモニター たまにご質問いただくのですが、フォローはいつでも大歓迎、とくに許可はとっていただかなくてもOKです👍 なお、何かコメントもらえるともっと喜びます😊 それから、以下のかたは申し訳ありませんがフォローを外させていただくことがあります🥺 ・一日に大量の投稿をされるかた 他のかたの投稿を拝見する際の妨げになってしまうため ・植物とは無関係の写真を投稿されるかた GSの趣旨に反しているため 著しい加工、ほとんどが装飾になっている絵を投稿されるかたも同様です
キーワード
観葉植物
新芽
成長記録
セルセスティス
セルセスティス・ミラビリス
アロイドの中ではマイナーでなかなかお目にかかれない子だけど、葉の模様がすごく魅力的😍
もっと人気が出てもいいと思うんだけどなぁ💦