warning
error
success
information
ログイン
タイムライン
マイアルバム
アカウント設定
注文履歴
ログアウト
カテゴリから探す
観葉植物
多肉植物・サボテン
ガーデニング
花
家庭菜園
ハーブ
植物の栄養・効能
植物の病気・害虫
植物の種類・品種
雑草
野草・山草
読みもの
植物図鑑
買いもの
投稿
投稿一覧
みどりのまとめ一覧
植物SNS GreenSnap
観葉植物
ドリナリア,ドリナリア クエルシフォリア,観葉植物の投稿画像
キキさんのドリナリア,ドリナリア クエルシフォリア,観葉植物の投稿画像
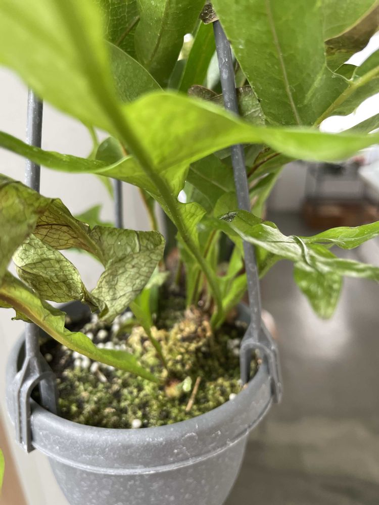
ドリナリア
ドリナリア クエルシフォリア
いいね
62人
がいいね!
シェア
ツイート
投稿の削除
この投稿を削除しますか?
いいえ
はい
キキ
2025/06/24
2025.6.24
教えてくださいまし〜
ドリナリア諸先輩方🙏
衝動買いしてしまった鉢植えのドリナリア
憧れはもちろんあのカッチョいいシールドに包まれたハンギングスタイル🤤
ですがこの後どうするのがベストでしょう??
シールドっぽい葉っぱ出てないし、成長点の方向もいまいち不明…
このまま鉢から出して丸ごと板付け?それとも分割?
着生させるのは流木とコルクはどちらの方がよい?
今更あわてて動画みたりしてるけど、成長点の方向がよくわからないというのが最初の関門です😵💫😣
どーぞよろしくお願いします🙇🙇♀️🙇♂️
かねまる
2025/06/25
こんにちは☺️
私もそんなにドリナリア歴長くないですが、いくつか板付けしているので、参考になるか分からないですが…
このままでも全然良いかと思いますが、板付けするなら個人的にコルクがおすすめです✨
鉢から出して、根茎が大き過ぎたり、板つけるのが難しい形していたら、分割しても大丈夫ですよ🙆
成長点の方向は私もよく分かってません💦
葉っぱの向きをそのままにして水苔に巻いて板に付けていたら何とかなりました💦
根茎が伸びていく方向は観察しておいた方が良いかもしれないですね🤔
根茎が伸びた先に水苔が無かったら、宙に浮いたまま成長し続けたりするので、葉っぱ出た時に重さで折れちゃったりします💦
分かりづらかったらすみません💦
参考になったら嬉しいです☺️
いいね
2
返信
キキ
2025/06/26
@かねまる
さーん💕
詳しく教えてくださってありがとうございます😌😭
コルクですね!確かに根張りも良さそうだし腐らないから長く育てるには板より良さそうですね
とりあえず葉っぱ上向きでチャレンジしてみます💪
かねまるさんちの村長直売所産のカッチョいい子たちをいつも🤤←こういう顔で拝見しております🤣
今後ともドーゾよろしくお願いしますっ🤲
いいね
1
返信
投稿する
GreenSnapのおすすめ機能紹介!
【無料で利用できる】写真を撮るだけ!アプリが植物・花の名前を教えてくれる『教えて!カメラ』のご紹介!
観葉植物に関連するカテゴリ
多肉植物・サボテン
ガーデニング
花
家庭菜園
ハーブ
植物の栄養・効能
植物の病気・害虫
植物の種類・品種
雑草
野草・山草
開催中のフォトコンテスト
コンテスト一覧
観葉植物のみどりのまとめ
1
2025/12/18
PWアルテルナンテラ リトルロマンス
島忠ホームズで出会ったリトルロマンス成長日記
2
2025/12/17
ライム🍋🟩
ライム成長記録
0
2025/12/17
活力剤投入
元気になって!!
観葉植物の関連コラム
2025.12.01
アルブカの育て方と植え替え|スピラリスと他種の管理は同じでいい?
2025.11.28
ポーチュラカの育て方|水やりの頻度は?切り戻しや剪定の方法は?
PR
2025.09.19
日本最大級の国際商談展「第19回 GARDEX 国際ガーデン&アウトドアEXPO」が今年も開催!
2025.08.28
クワズイモの育て方|太くするコツは?徒長して伸びすぎたらどうする?
2025.07.22
アボカドの葉が枯れる原因は直射日光?葉が垂れるのは復活できる?
2025.07.10
室内におすすめの観葉植物30選!GreenSnap独自の最新データ
観葉植物の関連コラムをもっとみる
キキ
🌿と🪴をメインに🐈⬛🎞️📚🍺 チラチラ登場するグレイの猫は洋猫風ですがワイルドな環境から保護された元野良猫🐈⬛ 葉っぱ齧っちゃうこの子のお陰でハンギングは得意
キーワード
観葉植物
衝動買い
ヘルプミー!
キキ ドリナリア
植物
ドリナリア
ドリナリア クエルシフォリア
教えてくださいまし〜
ドリナリア諸先輩方🙏
衝動買いしてしまった鉢植えのドリナリア
憧れはもちろんあのカッチョいいシールドに包まれたハンギングスタイル🤤
ですがこの後どうするのがベストでしょう??
シールドっぽい葉っぱ出てないし、成長点の方向もいまいち不明…
このまま鉢から出して丸ごと板付け?それとも分割?
着生させるのは流木とコルクはどちらの方がよい?
今更あわてて動画みたりしてるけど、成長点の方向がよくわからないというのが最初の関門です😵💫😣
どーぞよろしくお願いします🙇🙇♀️🙇♂️