warning
error
success
information
ログイン
タイムライン
マイアルバム
アカウント設定
注文履歴
ログアウト
カテゴリから探す
観葉植物
多肉植物・サボテン
ガーデニング
花
家庭菜園
ハーブ
植物の栄養・効能
植物の病気・害虫
植物の種類・品種
雑草
野草・山草
読みもの
植物図鑑
買いもの
投稿
投稿一覧
みどりのまとめ一覧
植物SNS GreenSnap
ガーデニング
雑草
クワクサ,山野草,綺麗な色♡の投稿画像
愛でるさんのクワクサ,山野草,綺麗な色♡の投稿画像
クワクサ
いいね
190人
がいいね!
シェア
ツイート
投稿の削除
この投稿を削除しますか?
いいえ
はい
愛でる
2025/09/11
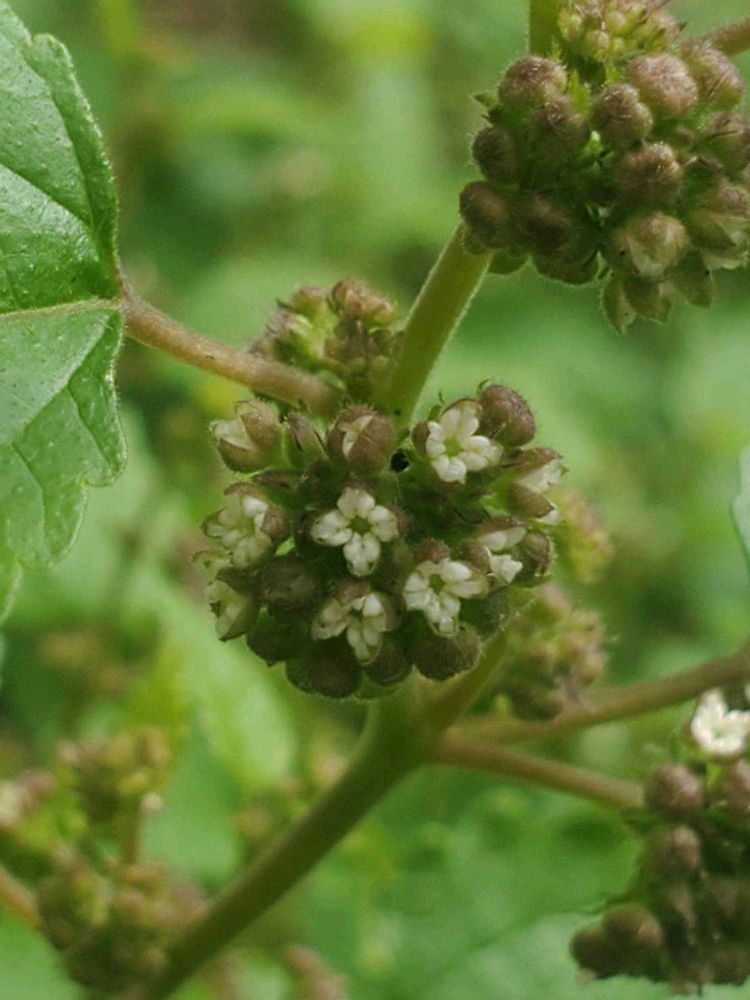
クワクサ(桑草)…雄花
クワ科.在来種
花期…9~10月
高さ… 20~40㌢程
花径…2㍉程
分布…本州.四国.九州
道端の雑草で地味だけど
お花は可愛いですよ*
みっちゃん
2025/09/11
愛でるさん
おはようございます♪
九州はまた大雨☔️と落雷⚡️で
あちらこちらに被害が出てますが
大丈夫でしようか?
こちらも東京や埼玉と群馬の近県で
ゲリラ豪雨で大変な状況です!
突然降り出すのでお気をつけ下さい⚠️
桑草の花は写真からもわかるように
小さなお花なんですね🌼
私だったら見逃してしまいそうです👀
早く気候が安定しないと山歩きも
ままならないですね😢🏔️☘️
季節の変わり目です
くれぐれもご自愛されて
お過ごしください♪
いいね
2
返信
かし
2025/09/11
おはようございます♪
この子は我が家近くにたくさんあって、やはり丸い花が咲いています♪
それにしても、きれいに撮られていますねჱ̒⸝⸝•̀֊•́⸝⸝)
いいね
1
返信
ポトス
2025/09/11
こんにちは😃
クワクサありがとうございます😃
よく聞くけどまだ確認したことがないと思います🤔
目立たない雑草をキレイに撮るのは難しいのにとても可愛らしく撮れていますね😍
今の時期、ジーとピント合わせていると🦟にメッチャ刺されて痒くてたまりません💦
愛でるさんもお大事にして下さいね🙏
いいね
1
返信
愛でる
2025/09/11
@みっちゃん さん(*_*)
こんにちわ😊
本当に雨🌧️🌩️は局地的に降って
いろんな所で被害が出ていますねぇ(>_<)
何時も御心配して頂き感謝、
感謝です🥰
お陰様で被害もなく
無事に過ごしています💚
暑さもあって
山歩きも思うように出来ません😞
この暑さは
いつまで
続くのでしょうねぇ☀️😵💦
みっちゃんさんも
お身体お大切に
されて下さいネ🥰
クワクサ🌱本当に小さい
お花です😅
いいね
1
返信
愛でる
2025/09/11
@かし さん(*_*)
こんにちわ😊
かしさんのお家の近くにも
群生してるのね🌿
同じお花を見れて嬉しいです🥰
スマホ📱のカメラを
マックス↕️拡大して
撮りました💦
小さいお花は🤳泣かせですよねぇ😅
誉めて頂いて嬉しいです🤗
有難うございます🙇♀️*
いいね
1
返信
愛でる
2025/09/11
@ポトス さん(*_*)
こんにちわ😊
道端では
葉っぱの方が目立っていますが
良く見ると↕️小さな可愛いお花が咲いてました・‥¨・‥・
ピンぼけも多いのですよ😂
🦟はホントに厄介です😣
優しいコメントを下さいまして
有難うございます🥰***
いいね
1
返信
すずはな
2025/09/11
クワクサの追っかけしてたら庭にも生えてくるようになりました。
愛でるさん小さなお花を綺麗に撮られていますねー。
いいね
1
返信
らな
2025/09/11
こんばんは🌛
え?!
見たことないです〰️
…気がついてないだけ?!😅😂
かわいらしいお花ですね😆
俄然興味が湧いてきました!
探してみます!
見てみたいなぁ👀
いいね
1
返信
愛でる
2025/09/11
@すずはな
さん(*_*)
こんばんは✡️
綺麗に見えてる様で
嬉しいです🥰
有難うございます🙇♀️
クワクサの追っかけ💃*
家の近くの道端の
クワクサは生育場所を拡大してますよ🌿
すずはなさんのお庭も
そのうちワサワサ生えてくるかもですねぇ☘️
いいね
1
返信
愛でる
2025/09/11
@らな さん(*_*)
こんばんは✡️
此方も見て頂いて
有難うございます🥰
そうですね🌱
其方も分布してるので
見れると思います😊
お花は目立たなくて
見た目
草なので(^-^;🌱
仰る様に
気づいてないだけかもです😅
いいね
1
返信
投稿する
GreenSnapのおすすめ機能紹介!
【無料で利用できる】写真を撮るだけ!アプリが植物・花の名前を教えてくれる『教えて!カメラ』のご紹介!
雑草に関連するカテゴリ
ガーデニング初心者
園芸
アレンジ
DIY・ハンドメイド
ガーデニング雑貨
ガーデニング用品
ガーデン・庭の参考
庭づくり
造園
芝生
害虫
ガーデニングの通販
成長記録
お出かけレポート
開催中のフォトコンテスト
コンテスト一覧
雑草の関連コラム
PR
2025.02.28
食品由来成分生まれ!みんなにやさしい除草剤「おうちの草コロリ」を使ってみよう
PR
2023.09.30
初心者さんにもおすすめ!芝生のお手入れに芝生用除草剤「シバキープ」を使ってみよう!
PR
2023.09.29
秋の除草に備えよう!雑草駆除&ドクダミ駆除モニターのまとめ
PR
2023.03.24
食品成分由来の除草剤「おうちの草コロリ」で今年こそは雑草を生やさない!
PR
2022.07.27
夏の雑草対策には草刈り機を使って、ラクチン!キレイ!に済ませたい!
PR
2022.04.28
楽して簡単にキレイを保とう!長く効き続ける除草剤「ネコソギ」
雑草の関連コラムをもっとみる
愛でる
キーワード
山野草
綺麗な色♡
自生
かわいい雑草
花のある暮らし
季節のお花
お花大好き♡
自然大好き
山野草大好き
野に咲くお花
植物
クワクサ
クワ科.在来種
花期…9~10月
高さ… 20~40㌢程
花径…2㍉程
分布…本州.四国.九州
道端の雑草で地味だけど
お花は可愛いですよ*