warning
error
success
information
ログイン
タイムライン
マイアルバム
アカウント設定
注文履歴
ログアウト
カテゴリから探す
観葉植物
多肉植物・サボテン
ガーデニング
花
家庭菜園
ハーブ
植物の栄養・効能
植物の病気・害虫
植物の種類・品種
雑草
野草・山草
読みもの
植物図鑑
買いもの
投稿
投稿一覧
みどりのまとめ一覧
植物SNS GreenSnap
ガーデニング
園芸
地植え
お出かけ先,ヤマコウバシ,地植えの投稿画像
ひめだかさんのお出かけ先,ヤマコウバシ,地植えの投稿画像
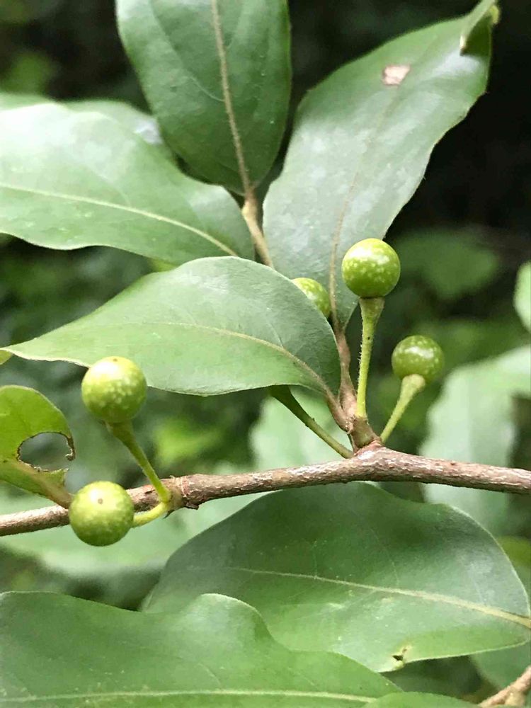
ヤマコウバシ
いいね
56人
がいいね!
シェア
ツイート
投稿の削除
この投稿を削除しますか?
いいえ
はい
ひめだか
2021/07/04
ヤマコウバシ ☘🌲🍎
落葉低木だけど新葉が出るまで落ちない…
験担ぎの木にもなってます😊
投稿する
GreenSnapのおすすめ機能紹介!
【無料で利用できる】写真を撮るだけ!アプリが植物・花の名前を教えてくれる『教えて!カメラ』のご紹介!
地植えに関連するカテゴリ
接ぎ木
日当たり
水やり
剪定
挿し木
種まき
実生
開花
植え替え
水耕栽培
花芽
子株
鉢植え
放置栽培
自己流
古典園芸・伝統園芸
開催中のフォトコンテスト
コンテスト一覧
地植えのみどりのまとめ
8
2025/12/16
カナリーヤシの成長記録 不定期更新予定
地植え後の成長を記録して行きます
20
2025/12/14
サバルウレサナ成長記録 不定期更新予定🗓️
地植え後の成長を継続記録して行きます
1
2025/12/14
チャメドレア ラディカリス アルボレセント🌴成長記録
地植え後の成長を不定期に更新して行きます
地植えの関連コラム
2021.01.28
シラカシの育て方|植え付けや剪定の時期、生垣にもできる?
2020.01.22
束にすると爽やか、群生だと見応えあり!素朴なのに可愛さ抜群のムスカリ
2020.01.08
首をかしげた健気な姿にキュンとくる、クリスマスローズの魅力!
2017.02.14
ジャスミンティーでもお馴染み!ジャスミンの育て方などを解説!
2017.02.09
パンジーを庭植えするときは柵を設置しましょう!
2016.12.12
モミジって育てられるの!?肥料の問題と育成法をご紹介!
地植えの関連コラムをもっとみる
ひめだか
ガーデニング(花、樹木、山野草、家庭菜園など)や、孫たちと川遊び、寺社巡りをしています。 「アイコン変更」2019/12/13 (2019/7/12 スタート)
場所
お出かけ先
キーワード
地植え
落葉低木
散歩中
耐寒性
里山
クスノキ科
耐暑性
日光好き
植物
ヤマコウバシ
落葉低木だけど新葉が出るまで落ちない…
験担ぎの木にもなってます😊