warning
error
success
information
ログイン
タイムライン
マイアルバム
アカウント設定
注文履歴
ログアウト
カテゴリから探す
観葉植物
多肉植物・サボテン
ガーデニング
花
家庭菜園
ハーブ
植物の栄養・効能
植物の病気・害虫
植物の種類・品種
雑草
野草・山草
読みもの
植物図鑑
買いもの
投稿
投稿一覧
みどりのまとめ一覧
植物SNS GreenSnap
ガーデニング
お出かけレポート
お出かけ先,イヌビワ,イヌビワの実の投稿画像
ヨウコさんのお出かけ先,イヌビワ,イヌビワの実の投稿画像
イヌビワ
いいね
100人
がいいね!
シェア
ツイート
投稿の削除
この投稿を削除しますか?
いいえ
はい
ヨウコ
2025/07/04
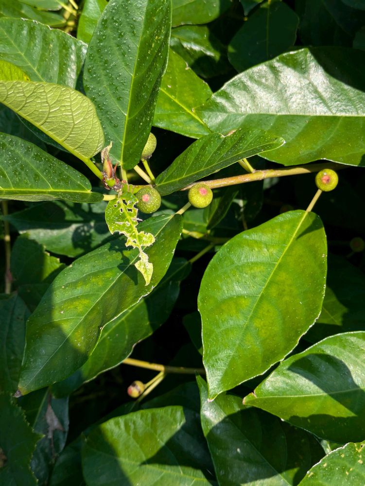
犬枇杷(イヌビワ)
クワ科 イチジク属
自生のイヌビワ、初見です。
海岸の雑木林に見かけました。
手の届かない場所にあり、雌雄を確かめる事は出来ませんでした。
これから色づいたらわかるのでしょうか😌😅
マッシー
2025/07/05
こんにちは💕
とても瑞々しく並んでますね🟢🟢🥰
真ん中のピンク色な所も可愛いなぁ💕🥰
ヨウコさんはイヌビワ初見なんですね😘
こちらでは子供の頃からよく見かける木です(名前はGSで知ったのですが😅)
いいね
0
返信
ヨウコ
2025/07/05
@マッシー さん
今日は☺️
お庭に植えてあるのは見たことがありますが自生は始めてみました。
昨日は、御前崎灯台に行き、途中の階段から見たので、手が届かず残念でした。
雄花にはイヌビワコバチの幼虫が住むとか聞いていたので確かめたかったのですが出来ずに残念でした~😆
いいね
1
返信
マッシー
2025/07/05
@ヨウコ
さん
まだ若そうな実なので硬いのかな🟢💕
いいね
0
返信
ヨウコ
2025/07/05
@マッシー
さん
まだ硬そうでした。
色づいたら雌雄がハッキリして来るのでしょうか?
雌の果囊は食べられるとか。
食べられたことはありますか?
いいね
1
返信
マッシー
2025/07/05
@ヨウコ
さん
イヌビワは身近に沢山ありますが流石に食べた事無いのです😅🟢🌳
食べた方が結構甘くていけたと言ってましたよ🥰
いいね
0
返信
ヨウコ
2025/07/05
@マッシー
さん
今度、機会があったら食べてみて下さいな☺️
感想をお聞きしたいです〜🎶
いいね
1
返信
マッシー
2025/07/05
@ヨウコ
さん
虫が中にいると聞いた事があり、チョット敬遠をしてましたよ😅🟢
でも完熟のを見つけたら食べてみようかな💕
いいね
0
返信
ヨウコ
2025/07/05
@マッシー
さん
虫が居ないのは雌株らしいです。
雄株の果実には虫がいるのだそうです。
それで雌雄の見極めが出来るそうですよ☺️
いいね
1
返信
マッシー
2025/07/05
@ヨウコ
さん
やはり果実には虫がいるのね😅💦🟢
ありがとうございます🥰
いいね
0
返信
投稿する
GreenSnapのおすすめ機能紹介!
【無料で利用できる】写真を撮るだけ!アプリが植物・花の名前を教えてくれる『教えて!カメラ』のご紹介!
お出かけレポートに関連するカテゴリ
ガーデニング初心者
園芸
アレンジ
DIY・ハンドメイド
ガーデニング雑貨
ガーデニング用品
ガーデン・庭の参考
庭づくり
造園
芝生
雑草
害虫
ガーデニングの通販
成長記録
開催中のフォトコンテスト
コンテスト一覧
お出かけレポートのみどりのまとめ
29
2025/12/17
🖼️大阪市立美術館イタリア館の至宝🖼️
関西万博で見れなかったイタリア館のリベンジです😊
34
2025/12/17
NO129 2025年 秋田国際ダリア園
撮影🤳 11月2日 秋田国際ダリア園 めぐみちゃん*ϋ*とかほちゃん*ϋ*をお迎えして
91
2025/12/16
相模国一之宮寒川神社参拝2025
12月10日、神奈川県の寒川神社に久しぶりに参拝しました。 八方除の祈祷を上げていただき、社殿の裏手に広がる「神嶽山神苑(かんだけやましんえん)」を見学しました。2年前にも行ったんですが、何と同じ12月でした💦今回は、紅葉は終わり間近でした🍁
ヨウコ
特に、山野草が好きです。 皆様の投稿に励まされ、元気を頂いています。
場所
お出かけ先
キーワード
山野草
季節を楽しむ
在来種
海岸
山野草大好き
チーム岐阜
2020年5月同期
植物
イヌビワ
イヌビワの実
クワ科 イチジク属
自生のイヌビワ、初見です。
海岸の雑木林に見かけました。
手の届かない場所にあり、雌雄を確かめる事は出来ませんでした。
これから色づいたらわかるのでしょうか😌😅