warning
error
success
information
ログイン
タイムライン
マイアルバム
アカウント設定
注文履歴
ログアウト
カテゴリから探す
観葉植物
多肉植物・サボテン
ガーデニング
花
家庭菜園
ハーブ
植物の栄養・効能
植物の病気・害虫
植物の種類・品種
雑草
野草・山草
読みもの
植物図鑑
買いもの
投稿
投稿一覧
みどりのまとめ一覧
植物SNS GreenSnap
アズマカモメヅル,在来種,称名寺裏庭の投稿画像
serendipityrumiさんのアズマカモメヅル,在来種,称名寺裏庭の投稿画像
いいね
57人
がいいね!
シェア
ツイート
投稿の削除
この投稿を削除しますか?
いいえ
はい
serendipityrumi
2024/09/20
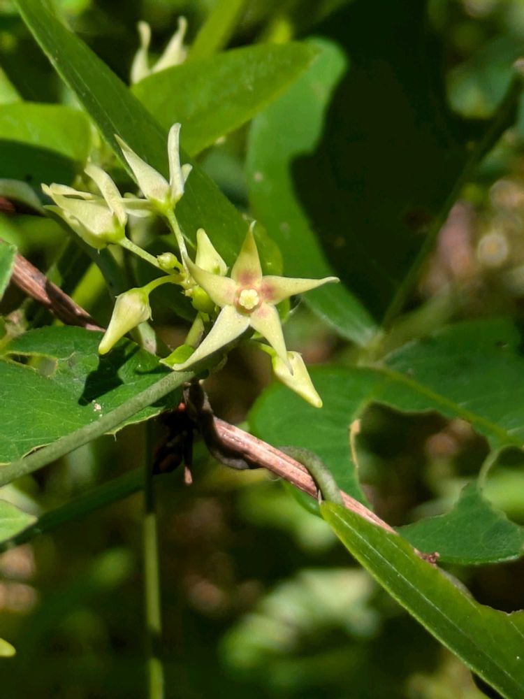
アズマカモメヅル
9月の初め
猛暑の中、いつもの場所へ見に行きました。藪漕ぎに近い、野草が繁茂する中、この白花がシロバナカモメヅルか、アズマカモメヅルか判断出来ずに放置していました。去年まではアズマ…とタグ付けしていましたが。
シロバナカモメヅルより葉が丸っぽいようにも思え、何より同定を促して貰えたBiomeの方に感謝。
違っていたら教えて下さい。今はもうここは刈られて丸坊主のはずです。
うさこ
2024/09/20
おはようございます
私も最近B iomeに参加始めました
根こそぎでないから来年また会えるとしても残しておいてもらいたいですね 実とタネが見てみたい
いいね
1
返信
serendipityrumi
2024/09/20
@うさこ
さん
そうでしたか
分布図やレア度、信憑性がどれくらいあるのか解りませんが一つの目安にはなりますね。
この花、アズマカモメヅルはレア度Aランクの希少種です。
ま、Aだからアズマにした方がよい、とも言われましたからどこまで話しを信じて良いやら解らなくもありますが。
植物学者でもなく趣味で野草を見て撮り歩く私は、躍起になり目くじら立てる事もないのです。ただ、野草が好きなだけですから。
いいね
1
返信
投稿する
GreenSnapのおすすめ機能紹介!
【無料で利用できる】写真を撮るだけ!アプリが植物・花の名前を教えてくれる『教えて!カメラ』のご紹介!
開催中のフォトコンテスト
コンテスト一覧
serendipityrumi
2025 11月 プロフィールカバーは 11月に咲いた秋桜畑と向日葵 アイコンはノブドウ 何年も投稿されていない方のフォローを外させて頂きました。 始めた頃の投稿タグに今見ると随分間違いを発見します。 過去の投稿ですので追記と記す事無く気付いた時にキャプションを書換え、訂正することがあることを書き添えておきます。 身の回りのお花達に寄せる思いが写真を通して少しでも伝わると嬉しいです。 植物以外、野鳥、虫、風景等も撮り下記にも投稿しています。 Amebablog 「花々と星々と」 アドレスは期間限定らしく直ぐに消えます。ハンドルネームはGSと同じです
キーワード
在来種
称名寺裏庭
地域により絶滅危惧種
植物
アズマカモメヅル
9月の初め
猛暑の中、いつもの場所へ見に行きました。藪漕ぎに近い、野草が繁茂する中、この白花がシロバナカモメヅルか、アズマカモメヅルか判断出来ずに放置していました。去年まではアズマ…とタグ付けしていましたが。
シロバナカモメヅルより葉が丸っぽいようにも思え、何より同定を促して貰えたBiomeの方に感謝。
違っていたら教えて下さい。今はもうここは刈られて丸坊主のはずです。