warning
error
success
information
ログイン
タイムライン
マイアルバム
アカウント設定
注文履歴
ログアウト
カテゴリから探す
観葉植物
多肉植物・サボテン
ガーデニング
花
家庭菜園
ハーブ
植物の栄養・効能
植物の病気・害虫
植物の種類・品種
雑草
野草・山草
読みもの
植物図鑑
買いもの
投稿
投稿一覧
みどりのまとめ一覧
植物SNS GreenSnap
ガーデニング
庭づくり
広い庭
広い庭,マユミ,花のある暮らしの投稿画像
*Jupiter*さんの広い庭,マユミ,花のある暮らしの投稿画像
マユミ
いいね
140人
がいいね!
シェア
ツイート
投稿の削除
この投稿を削除しますか?
いいえ
はい
*Jupiter*
2022/11/21
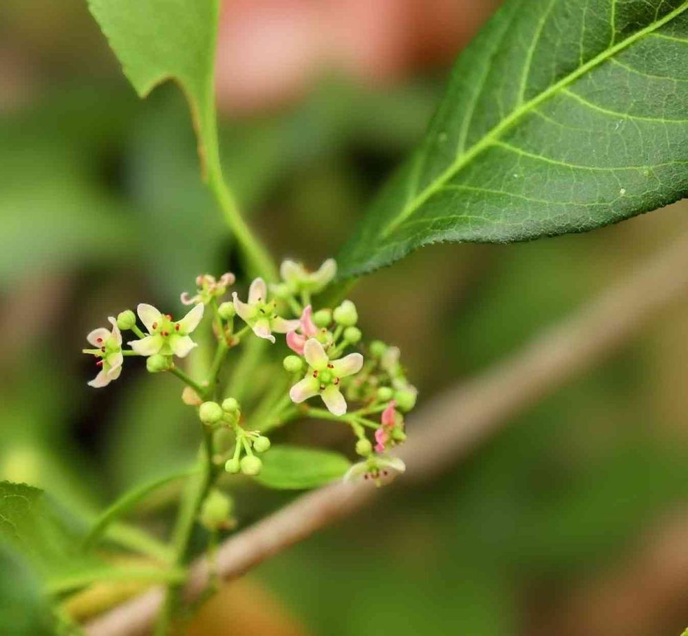
今日のお花
*マユミのお花*
小さくて可愛いのに、
ツリバナとの違いが花の時期から
はっきり😆
蒴果が淡い紅色に熟すと4つに割れるのがマユミ🔴
5つに割れるのがツリバナ🔴🔴👌
2022.10📷
職場近くのお庭🌳🌳🌳
XV
2022/11/21
特徴のあるマユミの実の投稿はよく見かけますが、花🌼を始めた見ました。
ありがとうございます。
今晩の百名山は、秋田駒ヶ岳なので楽しみにしています。
いいね
1
返信
*Jupiter*
2022/11/21
@XV
さん🏌♂
私も録画したので帰ってからゆっくり観れました!
8合目からはよく行くコースだったので「そうそう💓ここ綺麗なんだよね~~~♡」とか盛り上がっていましたヾ(^^ )
コマクサやチングルマの群生を皆さんに見ていてだけなくてちょっと残念な気もしましたが、あまり混みすぎると行けなくなるので良しとしました(笑)
あの馬場ノ小路がムーミン谷です🌱
本当に絶景なんですよ💓
いいね
1
返信
XV
2022/11/22
@*Jupiter*
さん
昨日は見れず今しがた見ました。
日本の山々を凝縮したような雰囲気を感じました。
四季折々の秋田駒ヶ岳を見てみたいものです。
もう少し近ければと思う次第です。
来春のphotoを待ってます。
いいね
1
返信
*Jupiter*
2022/11/23
@XV
さん🏌♂
あの素晴らしさを共感していただけて、とても嬉しいです🗻山歩き出来る春からの季節ががやはり待ち遠しいですね😊
いいね
1
返信
ぶぶしる
2022/11/29
@*Jupiter* さん、
マユミの花ってこんな花なんですね😳❣️
実はよく覚えてるのに…😅
花も実も見た事ないのでこの目👀で見てみたいです😻💞
いいね
0
返信
投稿する
GreenSnapのおすすめ機能紹介!
【無料で利用できる】写真を撮るだけ!アプリが植物・花の名前を教えてくれる『教えて!カメラ』のご紹介!
広い庭に関連するカテゴリ
小さな庭
花壇
シンボルツリー
ウッドデッキ
グランドカバー
グリーンカーテン
エクステリア
テラス
バルコニー/ベランダ
アプローチ
フェンス
軒下
温室
車庫
開催中のフォトコンテスト
コンテスト一覧
広い庭の関連コラム
2024.11.22
生垣におすすめの樹木の種類!垣根をおしゃれに見せるのはどれ?
2017.02.13
ラベンダーでセンスのあるお庭にしよう!
広い庭の関連コラムをもっとみる
*Jupiter*
山が好き♡花が好き💛 2019年7月から参加🌿
場所
広い庭
キーワード
花のある暮らし
素敵な色合い
秋麗
秋を楽しむ
ミラーレス一眼
平和を願う
ニシキギ科
素敵な出逢いに感謝♬
2019同期
なんて可愛いの♪
植物
マユミ
*マユミのお花*
小さくて可愛いのに、
ツリバナとの違いが花の時期から
はっきり😆
蒴果が淡い紅色に熟すと4つに割れるのがマユミ🔴
5つに割れるのがツリバナ🔴🔴👌
2022.10📷
職場近くのお庭🌳🌳🌳