warning
error
success
information
ログイン
タイムライン
マイアルバム
アカウント設定
注文履歴
ログアウト
カテゴリから探す
観葉植物
多肉植物・サボテン
ガーデニング
花
家庭菜園
ハーブ
植物の栄養・効能
植物の病気・害虫
植物の種類・品種
雑草
野草・山草
読みもの
植物図鑑
買いもの
投稿
投稿一覧
みどりのまとめ一覧
植物SNS GreenSnap
観葉植物
インテリアとしての観葉植物
窓辺
窓辺,シーグレープ,観葉植物の投稿画像
kurumiさんの窓辺,シーグレープ,観葉植物の投稿画像
シーグレープ
いいね
56人
がいいね!
シェア
ツイート
投稿の削除
この投稿を削除しますか?
いいえ
はい
kurumi
2022/01/26
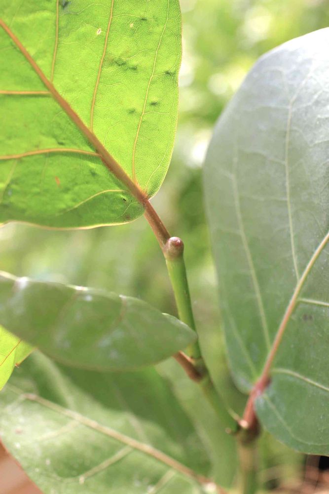
シーグレープの次なる新芽予備軍の出かたがかわいい💕
プクっとおできみたいにふくれてる٩( ᐖ )و
おできが大きくなって、中から新芽が誕生します☺️✨
sayo*
2022/01/26
こんばんは🌙
なんと摩訶不思議……🌱
この赤い小さいおでき?が大きくなって
新芽が出るんですね(´⊙ω⊙`)
葉っぱも丸くて可愛い子〜💕
いいね
1
返信
kurumi
2022/01/27
@sayo*
さん
おはようございます☺️
そうなんですよ❣️
豆からの新芽なんです🌱今日は芽が出るかな〜って毎日観察してます₍⚯̯૧₎✨
いいね
1
返信
pocoapoco1
2022/01/27
こんにちは‼️
お豆ちゃんから新芽🌱なんて、
カワイイですね💕
いいね
1
返信
kurumi
2022/01/27
@pocoapoco1
さん
かわいいですよね💕
ポチっと押したくなります(*´罒`*)
いいね
1
返信
投稿する
GreenSnapのおすすめ機能紹介!
【無料で利用できる】写真を撮るだけ!アプリが植物・花の名前を教えてくれる『教えて!カメラ』のご紹介!
窓辺に関連するカテゴリ
部屋
玄関
キッチン
エントランス
階段/廊下
デスク
壁/天井
バス/トイレ
和室
寝室
リビング
開催中のフォトコンテスト
コンテスト一覧
窓辺の関連コラム
2020.01.08
ポカポカの窓際はお気に入りの場所。そんな「窓際族」の素敵フォトを紹介
2017.02.07
フィカス属の中でも人気のあるベンガレンシス
2016.10.26
一風変わった垂れる観葉植物でお部屋の雰囲気を変えよう!
2016.09.01
初心者でも大丈夫!室内で簡単に育てられる観葉植物 3選!
2016.03.11
多肉・サボテン・観葉植物etc. 参考にしたい屋内グリーンディスプレイ♡
窓辺の関連コラムをもっとみる
kurumi
グリーンに囲まれたのんびり生活にあこがれてます🌿 植物と一緒に暮らしながら ものづくり、絵を描くことを仕事にしています。 グリーンに囲まれたアトリエを持つのが夢(๑´`๑)♡
場所
窓辺
キーワード
観葉植物
植物
グリーン
新芽
癒される
今日の一枚
グリーンのある暮らし
インテリアグリーン
植物のある暮らし
植物と暮らす
緑と暮らす
グリーン!グリーン!グリーン!
インテリアと植物
ナチュラルインテリア
NO GREEN NO LIFE
植物大好き
植物とインテリア
暮らしと植物
元気に育ててますよ
植物
シーグレープ
プクっとおできみたいにふくれてる٩( ᐖ )و
おできが大きくなって、中から新芽が誕生します☺️✨