warning
error
success
information
ログイン
タイムライン
マイアルバム
アカウント設定
注文履歴
ログアウト
カテゴリから探す
観葉植物
多肉植物・サボテン
ガーデニング
花
家庭菜園
ハーブ
植物の栄養・効能
植物の病気・害虫
植物の種類・品種
雑草
野草・山草
読みもの
植物図鑑
買いもの
投稿
投稿一覧
みどりのまとめ一覧
植物SNS GreenSnap
ガーデニング
庭づくり
広い庭
広い庭,超古民家と庭,里地里山の投稿画像
レモングミさんの広い庭,超古民家と庭,里地里山の投稿画像
いいね
68人
がいいね!
シェア
ツイート
投稿の削除
この投稿を削除しますか?
いいえ
はい
レモングミ
2025/05/08
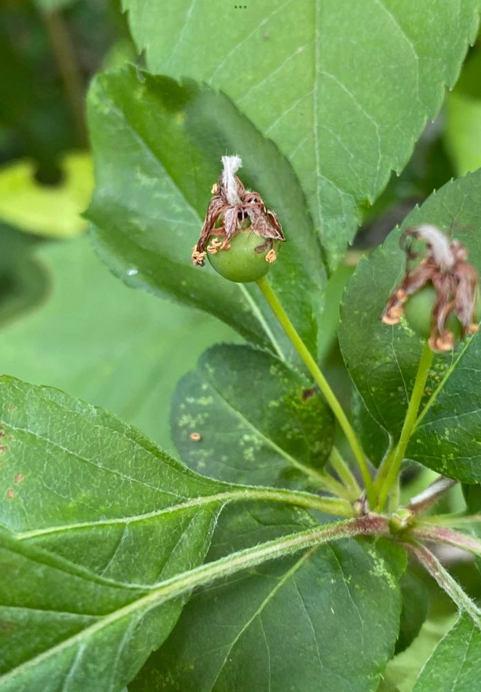
↖️左上 姫りんご🍎の実が!受粉に成功しました♪
↗️右上 シラー・ベルビアナ💜🌿
↙️左下 キツネアザミ?
↘️右下 シロハナムラサキツユクサ🤍🌿少し紫色が入っている様な気がします。
🍋🌱🍋
りなはは
2025/05/08
こんにちは😃
🍎ちゃん、楽しみ〜😍
シロハナムラサキツユクサ🤍
かわいいですネ٩(๑❛ᴗ❛๑)۶はじめましてかな🤗
いいね
1
返信
レモングミ
2025/05/08
@りなはは
さん
りんご🍎ちゃん!楽しみだけど、、、鳥さんに狙われそう🐧💦
シロハナ・ムラサキツユクサは頂き物を水の中に入れて置いたら根が出て来たので植えたらラッキー✌️お花が咲きました✨
真っ白だったはずなのに少し紫色が入っていますね!
原種返りとか言うのかなぁ⁈
真っ白になぁれ!🧚♀️✨✨🤍🌿
🍋🌱🍋
いいね
1
返信
りなはは
2025/05/08
@レモングミ
さん
そうなんだ!
これは鳥さんたちに負けたく無いですね❣️
私は真っ白でなくてもいいな。とても綺麗🤗
いいね
1
返信
レモングミ
2025/05/08
@りなはは
さん
わぁ〜✨りなははさんの優しさにクラクラしている私🍋です✨😍🫧🫧
ありがとうございます💕💕
🍋🌱🍋
いいね
1
返信
りなはは
2025/05/08
@レモングミ
さん
テレますう😅
いいね
1
返信
レモングミ
2025/05/08
@りなはは
さん
りなははさんの照れている顔ってどんなお顔か?想像出来ない💭🫧🫧(´-`).。oO
そう!
あのセクシーなお人形さんね‼︎ 💕♡^_^v
🍋🌱🍋
いいね
1
返信
りなはは
2025/05/08
@レモングミ
さん
えー😱
🐽⬅️こんな顔ですo(^▽^)o
いいね
1
返信
レモングミ
2025/05/09
@りなはは
さん
こちらこそ え〜っ🙉
りなははさんが🐖🐽なら私は🦭🪨トド!⭐︎* o(≧▽≦)o .。.:*☆
なんてネ!
こんなところでチャン!チャン‼︎
🍋🌱🍋
いいね
1
返信
りなはは
2025/05/09
@レモングミ
さん
あはは🤣
いいね
1
返信
投稿する
GreenSnapのおすすめ機能紹介!
【無料で利用できる】写真を撮るだけ!アプリが植物・花の名前を教えてくれる『教えて!カメラ』のご紹介!
広い庭に関連するカテゴリ
小さな庭
花壇
シンボルツリー
ウッドデッキ
グランドカバー
グリーンカーテン
エクステリア
テラス
バルコニー/ベランダ
アプローチ
フェンス
軒下
温室
車庫
開催中のフォトコンテスト
コンテスト一覧
広い庭の関連コラム
2024.11.22
生垣におすすめの樹木の種類!垣根をおしゃれに見せるのはどれ?
2017.02.13
ラベンダーでセンスのあるお庭にしよう!
広い庭の関連コラムをもっとみる
レモングミ
自然の中の花が大好きです🌸 カバー画像は季節に合わせて変えています アイコン画像は 何故か昼間咲いていたカラスウリのお花🤍🌿です 🍋🌱🍋
場所
広い庭
キーワード
超古民家と庭
里地里山
おうち園芸
I♡Chiba
↗️右上 シラー・ベルビアナ💜🌿
↙️左下 キツネアザミ?
↘️右下 シロハナムラサキツユクサ🤍🌿少し紫色が入っている様な気がします。
🍋🌱🍋