warning
error
success
information
ログイン
タイムライン
マイアルバム
アカウント設定
注文履歴
ログアウト
カテゴリから探す
観葉植物
多肉植物・サボテン
ガーデニング
花
家庭菜園
ハーブ
植物の栄養・効能
植物の病気・害虫
植物の種類・品種
雑草
野草・山草
読みもの
植物図鑑
買いもの
投稿
投稿一覧
みどりのまとめ一覧
植物SNS GreenSnap
ガーデニング
庭づくり
広い庭
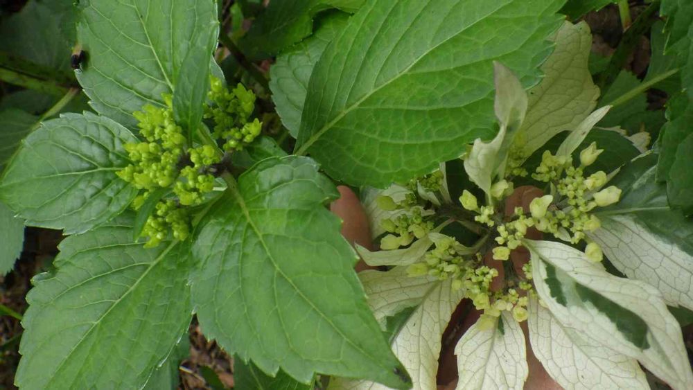
広い庭,うたげ,紫陽花 アジサイ あじさいの投稿画像
2025年は植物たちに肥料を与える鬼ヤドカリさんの広い庭,うたげ,紫陽花 アジサイ あじさいの投稿画像
うたげ
いいね
24人
がいいね!
シェア
ツイート
投稿の削除
この投稿を削除しますか?
いいえ
はい
2025年は植物たちに肥料を与える鬼ヤドカリ
2021/05/14
斑入りの枝に付いた蕾、他の蕾より白い💦
お花も白っぽく咲くのかなぁ(´- `*)❓️
sora
2021/05/14
白っぽく見えますね🤔
斑入りのうたげ興味津々です♡
いいね
1
返信
2025年は植物たちに肥料を与える鬼ヤドカリ
2021/05/14
@sora
さん
わくわくドキドキなんだけどなかなか咲かないのだー💦にゃー🙀💦
いいね
1
返信
うさぎハウス
2021/05/14
葉っぱも綺麗ですね~✨
いいね
1
返信
2025年は植物たちに肥料を与える鬼ヤドカリ
2021/05/14
@うさぎハウス さん
でも白い部分柔らかくて溶けやすいです(´д`ι)💦
そうだ‼️今日通りかかったけど「なのはな」まだ380円のブルーサンセットありましたよ♥️たくさん入荷してたんだね~*。・+(人*´∀`)+・。*
いいね
1
返信
うさぎハウス
2021/05/14
柔らかいんですかー!梅雨になったらちょっと大変?
明日、行ってみます🚗‼️
素敵情報ありがとうございます😆
いいね
1
返信
投稿する
GreenSnapのおすすめ機能紹介!
【無料で利用できる】写真を撮るだけ!アプリが植物・花の名前を教えてくれる『教えて!カメラ』のご紹介!
広い庭に関連するカテゴリ
小さな庭
花壇
シンボルツリー
ウッドデッキ
グランドカバー
グリーンカーテン
エクステリア
テラス
バルコニー/ベランダ
アプローチ
フェンス
軒下
温室
車庫
開催中のフォトコンテスト
コンテスト一覧
広い庭の関連コラム
2024.11.22
生垣におすすめの樹木の種類!垣根をおしゃれに見せるのはどれ?
2017.02.13
ラベンダーでセンスのあるお庭にしよう!
広い庭の関連コラムをもっとみる
2025年は植物たちに肥料を与える鬼ヤドカリ
2022年アジサイと鶏の動画作りました〜🎶 https://youtu.be/qnlTwPGRTTE 耐寒マップ8b関東南部 山の中の庭です😚クヌギやナラの雑木林…最近はナラ枯れに悩まされてます💦あとはイノシシとうちの鶏が庭を荒らす(•́ε•̀٥;ก)💦 「ガーデニングとは草むしりの事をカッコつけて言っただけよ」母の言葉が身に染みるこの頃ꉂ🤣𐤔 https://www.instagram.com/nokogirgazami
場所
広い庭
キーワード
紫陽花 アジサイ あじさい
雑木林に住んでる
植物
うたげ
お花も白っぽく咲くのかなぁ(´- `*)❓️