warning
error
success
information
ログイン
タイムライン
マイアルバム
アカウント設定
注文履歴
ログアウト
カテゴリから探す
観葉植物
多肉植物・サボテン
ガーデニング
花
家庭菜園
ハーブ
植物の栄養・効能
植物の病気・害虫
植物の種類・品種
雑草
野草・山草
読みもの
植物図鑑
買いもの
投稿
投稿一覧
みどりのまとめ一覧
植物SNS GreenSnap
オオオナモミ,公園,野草の投稿画像
まっくさんのオオオナモミ,公園,野草の投稿画像
オオオナモミ
いいね
109人
がいいね!
シェア
ツイート
投稿の削除
この投稿を削除しますか?
いいえ
はい
まっく
2020/09/21
修正します🙇
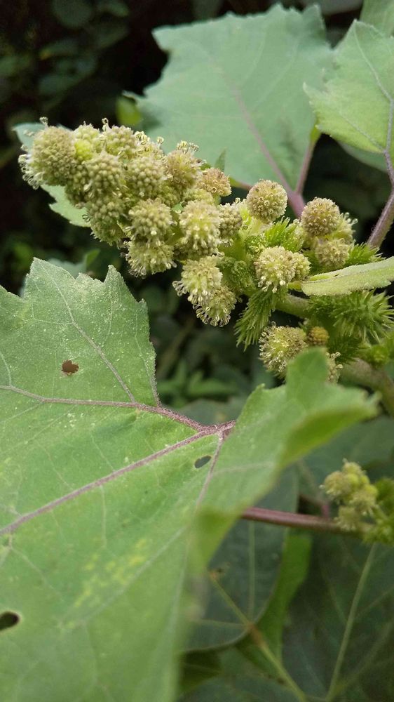
オオオナモミ
※オナモミはレッドリストに入っており、これではないようです。
大雄生揉
キク科オナモミ属
一年草
花房先端部から丸い雄花が葯を飛び出させている。雌花は花房基部に見られる。
薬師池西公園にて
momo
2020/09/21
トゲトゲ引っ付き虫になる前ですね⁉️
いいね
1
返信
まっく
2020/09/21
@momo
さん
既に引っ付き虫が基部にあります。雄花は引っ付き虫 にはなりません。
いいね
0
返信
momo
2020/09/21
そうなんですね⁉️
オナモミはみんな引っ付くのかと思ってました。😅
いいね
1
返信
投稿する
GreenSnapのおすすめ機能紹介!
【無料で利用できる】写真を撮るだけ!アプリが植物・花の名前を教えてくれる『教えて!カメラ』のご紹介!
開催中のフォトコンテスト
コンテスト一覧
まっく
古稀を過ぎたジジイです。犬🐶の散歩ついでにスマホで主に野草を撮ってます。 無言フォロー、フォロー・いいね💛お礼なし、コメント返信なしをご容赦ください。
キーワード
公園
野草
キク科
植物
オオオナモミ
オオオナモミ
※オナモミはレッドリストに入っており、これではないようです。
大雄生揉
キク科オナモミ属
一年草
花房先端部から丸い雄花が葯を飛び出させている。雌花は花房基部に見られる。
薬師池西公園にて