warning
error
success
information
ログイン
タイムライン
マイアルバム
アカウント設定
注文履歴
ログアウト
カテゴリから探す
観葉植物
多肉植物・サボテン
ガーデニング
花
家庭菜園
ハーブ
植物の栄養・効能
植物の病気・害虫
植物の種類・品種
雑草
野草・山草
読みもの
植物図鑑
買いもの
投稿
投稿一覧
みどりのまとめ一覧
植物SNS GreenSnap
ビワの花,びわの蕾,ビワの若葉の投稿画像
のんたんさんのビワの花,びわの蕾,ビワの若葉の投稿画像
ビワの花
びわの蕾
ビワの若葉
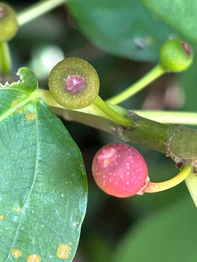
イヌビワの実(雄株)
いいね
126人
がいいね!
シェア
ツイート
投稿の削除
この投稿を削除しますか?
いいえ
はい
のんたん
2025/12/04
今日のお花 ビワ と イヌビワ
枇杷 バラ科 ビワ属
日本には古代に中国から持ち込まれたとされ、関東地方以西の沿岸などで自然分布している
1️⃣花 薄いクリーム色で花期は11〜1月(11/28)
2️⃣蕾 冬の寒さから守るために柔らかい毛で覆われてモコモコしています
暖かそうです(11/24)
3️⃣若葉🔰 初心者マークの様に、濃い緑の葉に優しい薄緑の葉が、遠くから見るとまるでお花の様に見えます
小川沿いに落ちた種から発芽したもの
山の方や林縁に自生らしきものがありますが、実のできた頃撮ろうとした次の日、リス🐿️に食べられたか、一切無くなっていました
4️⃣イヌビワ(犬枇杷) 雄株の実(12/4)
クワ科 イチジク属
全く違う植物ですが、実がビワに似ているが、味が劣る事からイヌが名前につく
雌雄異株で、9〜10月に雌株の実は黒く熟すと、いちじくの様な優しい味でした
イヌイチジクの方が合っていると思います
雄株の実も雌株の実と似ていますが硬くて食べれません
投稿する
GreenSnapのおすすめ機能紹介!
【無料で利用できる】写真を撮るだけ!アプリが植物・花の名前を教えてくれる『教えて!カメラ』のご紹介!
開催中のフォトコンテスト
コンテスト一覧
のんたん
コロナの時から佐鳴湖6キロを一周歩いていたら、珍しい山野草🌼🌸や木々🌿🌲に出会い、自分でお花のフォトブックを作っていました。 その後仕事もスポーツジムも再開し、走りながらお花を見つけていたら、5キロを30分で走れる様になり、マラソン大会に出られる様になりました🏃🏻♀️ 家から🚗で5分の所に湖、15分、30分の所に二つの植物園があり、色んなお花を見に行っています👀 自分の目で見て調べて植物図鑑として楽しんでいます❣️ ホームページの写真は自分で撮った浜名湖ガーデンパークの春のモネの庭(花の美術館)💐 アイコンは以前訪れた南アフリカ🇿🇦のカーステンボッシュ国立植物園のプロテアゾーンのキングプロテアです
キーワード
林縁
佐鳴湖
植物
ビワの花
びわの蕾
ビワの若葉
イヌビワの実(雄株)
枇杷 バラ科 ビワ属
日本には古代に中国から持ち込まれたとされ、関東地方以西の沿岸などで自然分布している
1️⃣花 薄いクリーム色で花期は11〜1月(11/28)
2️⃣蕾 冬の寒さから守るために柔らかい毛で覆われてモコモコしています
暖かそうです(11/24)
3️⃣若葉🔰 初心者マークの様に、濃い緑の葉に優しい薄緑の葉が、遠くから見るとまるでお花の様に見えます
小川沿いに落ちた種から発芽したもの
山の方や林縁に自生らしきものがありますが、実のできた頃撮ろうとした次の日、リス🐿️に食べられたか、一切無くなっていました
4️⃣イヌビワ(犬枇杷) 雄株の実(12/4)
クワ科 イチジク属
全く違う植物ですが、実がビワに似ているが、味が劣る事からイヌが名前につく
雌雄異株で、9〜10月に雌株の実は黒く熟すと、いちじくの様な優しい味でした
イヌイチジクの方が合っていると思います
雄株の実も雌株の実と似ていますが硬くて食べれません