warning
error
success
information
ログイン
タイムライン
マイアルバム
アカウント設定
注文履歴
ログアウト
カテゴリから探す
観葉植物
多肉植物・サボテン
ガーデニング
花
家庭菜園
ハーブ
植物の栄養・効能
植物の病気・害虫
植物の種類・品種
雑草
野草・山草
読みもの
植物図鑑
買いもの
投稿
投稿一覧
みどりのまとめ一覧
植物SNS GreenSnap
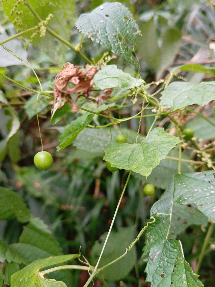
スズメウリ,スズメウリ,雄花.の投稿画像
まこちゃんさんのスズメウリ,スズメウリ,雄花.の投稿画像
スズメウリ
雄花.
スズメウリ
雌花.
いいね
183人
がいいね!
シェア
ツイート
投稿の削除
この投稿を削除しますか?
いいえ
はい
まこちゃん
2025/10/26
スズメウリ(雀瓜)ウリ科スズメウリ属
山の公園のスズメウリ、緑の実から白くなりました。
お花と実同時に見ることができました。
蔓のクルクル、綺麗に巻いてます。
1⃣ 雄花
2⃣ 雌花
3⃣ 緑の実
4⃣ 白くなった実
5⃣ 白い実とクルクルの巻きヒゲ
巻きひげの巻き方をよく見ると逆方向に変わります。 反旋点(はんすうてん)と呼ばれるようです
巻きひげの丈夫さの秘訣となってい るようです。
スズメウリ
葉は長さ3~6㎝、幅4~8㎝の三角状卵心形で、縁に浅い鋸歯がある。
雌雄同株又は異株。
雌花、雄花とも葉腋に単生する。
花は細い長柄があり、直径約6㎜、花冠は白色、5深裂する。まれに4や6深裂もある。
子房は花被の下でくびれる。
果実は直径約1㎝、種子が6~8個程入っており、熟すと灰白色になる。
ヤマタカ
2025/10/26
おはようございます
花も実も可愛いですね
実はこれから模様が出てきてスズメの卵に似てくるのかな😁
いいね
1
返信
まこちゃん
2025/10/26
@ヤマタカ
さん
(。•◡•。)⸝⋆ おはよー♫
スズメウリ、可愛いですよね。🥰
本物の卵ような模様は出てこないんです。
白い実⚪のあとは灰色🩶になって終わりなんです。🥰
いいね
1
返信
ヤマタカ
2025/10/26
@まこちゃん
そうなんですね
残念🤣
いいね
1
返信
yoyo
2025/10/26
まこちゃん🥰おはようございます💕🎶
スズメウリ、お花と実が両方見られて良かったですね🥰💕🎶
白い色の実は少ないから、珍しいですね🥹✨🎶
蔓の巻き方が途中で変わるんですか😃💕🎶
初めて知りました🥰🎶
いいね
1
返信
まこちゃん
2025/10/26
@yoyo
さん
(。•◡•。)⸝⋆ おはよー♫
スズメウリ、可愛いですよね。🥰
カラスウリが赤くなるので、スズメウリも赤くなると思って観察していたら白くなるんです。
白い実のあとは灰色🩶になって終わりなんですよ。
ツルの巻き方、スズメウリはこのようになりますが、他の植物はわかりません。
今度どこかで蔓を見たらよ〜く観察して見てください。🥰
いいね
1
返信
yoyo
2025/10/26
@まこちゃん
🥰
私は以前、オキナワスズメウリの実が可愛いと思って、
熟させて、タネを取って、冷蔵庫で半年くらい保存して、種まきしたことがあります🥰🎶
発芽したけど、その後の管理が例によって雑だったので😅💦
育ちませんでした😂🤣
蔓の巻き方を確認するの大変そう〜😅💦🤣
いいね
1
返信
eri
2025/10/26
まこちゃん♬
㊗️ 5000投稿 おめでとうございます💐🎊🎉🎊🎉💐
いつも富士山🗻のpicで癒しをいただき、お花のpicでは教わることがいっぱいです🎶
ありがとうございます🙇
お花の探究心と素敵な風景写真、憧れです😍
これからもますますご活躍くださいね💕
いいね
1
返信
まこちゃん
2025/10/26
@eri
さん
(。•◡•。)⸝⋆ おはよー♫
今日は5000piсだったんですね。🥰
お祝い㊗꒰ ⑅•ᴗ• ꒱°ぁㇼゕ̎とーෆෆ🥰
少し前までは記念になるお花を投稿しようと思ってましたが忘れてました。😅
毎日3投稿してるので、あっと言う間に5000picになりました。🥰
eriさんにはいつも見ていただき、嬉しいコメントありがとうございます。m(_ _)m
もともと旅行が好きで、GS初めてからは山野草を追いかける日々になりました。
これからもあちこちに出かけてお花と美しい景色を投稿しますので、宜しくお願いします。
(🌼❛ ֊ ❛„)
いいね
1
返信
ウーミン
2025/10/27
@まこちゃんさん
おはようございます🫠
🌟 🌟 🌟
\ | / ドォぉ〰ん
🌟 ――😆――🌟
/ | \ パチパチパチパチ
🌟 🌟 🌟
*\.🌟/* ドーン
✽─Ԑ(≧∇≦)3─*
*/.🌟\*
*.│* =ï= .オメデトウ
🍑
*。🌰🌿🍇🌿 =i= オデメトウ
🌿:*🐞。🍎🌿*:🌿*
*🍇🌿🌿。🍊。🍇レ🌿*゚
゙レ゚❀🍎゙。🍇🌿*ノ🌿*゚。 =ï= .°オメデトウ
゛🌰ノ゚*゙。゚🍊🐞*🍊*:゚。
ι。🌿🍑𓆦″🍊。*。🍑🌿
*゚ 。🪲゙゚。🍊*゚🌿。ノ🐸:゚。* 🐐
*。゙:=*。゙゚ °/⛩️\ °/🌱\
|= |ノ * /🌻🐒🌻°\/🌸🌻🐎\
| =| *゚/🐐🌱🐎🌻🐌🌷🦆🐤🐤🐤
゚| =|°°∧ҩ∧ ㊗️5000pic 🥀 🐄🐌
从 (o゚▽゚) おめでとう
(З🎂Ԑ)🍗🍓🍈🍹🎁ございます
(⌒⌒○○⌒⌒⌒⌒⌒⌒)
🌱🌿🌸🌸🥀🍂🍂🌳🌳🌳🌷🌿🌾🌾🌱🌿🌿🌿🥀🥀🌷🌷🌷🌼🌼🌼🌳🌳🌳🌷🌵🌵🌱🌱
﹋̊ᐧ﹏﹋﹏̊🐟ᐧ﹋﹏ ﹋̊ᐧ🐡ᐧ﹋﹏ ̊ᐧ﹋
﹏̊ᐧ🐙﹋﹏ ﹋﹏̊ᐧε( ε °∇°)зオメデトウ﹋﹏̊🐠
﹋﹏﹋﹏̊🐡ᐧ﹋﹏ ﹋﹏̊ᐧ🐠﹋﹏ ﹋
いいね
1
返信
まこちゃん
2025/10/27
@ウーミン
さん
ヾ( ´ω`)ノ゙こんにちは〜
綺麗なお祝い㊗コメントありがとうございます。
これからも꒰ *ᴗˬᴗ ꒱⁾⁾⁾ヨロシクデス〜ෆ⃛
いいね
1
返信
ウーミン
2025/10/27
@まこちゃん
さん
こんにちは🫠
(o゚▽゚)は〰い
コチラこそ宜しく
お願いしますね*。٩(* ॑ᗜ ॑* )و*。
いいね
1
返信
らな
2025/10/27
5000pic!!!!!!!!!!
おめでとうございます🎉🎉🎉🎉🎉
すごすぎて
気が遠くなります〜😅
素晴らしい👏👏👏👏👏👏
これからも
ステキなpic楽しみにしていまーす🥰🥰
よろしくお願い(>人<;)します🎶
ところで💦
スズメウリ 雄花と雌花があるのですね〜😅知らなかった( ̄▽ ̄;)
私の見たのは雌花だけかぁ💦
出会って喜んだのは
ぬか喜びだったのですね〜😅😂
来年 また雄花
探します∠( ̄^ ̄)
いいね
1
返信
ちゃちゃ
2025/10/27
まこちゃんさん
5000投稿目👀、おめでとうございます‼️㊗️😄
🌸🪷🏵️🌹💮🥀🌺🪻🌻🌼🌷🌱🍁☘️🌵🌾🌿
これからも素敵な写真、待ってまーす‼️🤗✌
🐙🐯🐻🦊🐨🐷🐹🐺🐭🦁🐰🦝🐮🐼🐸🐶🐱
🎶 お 🌸
✨ め 💞 🍀
🍀 で 🎶 ✨
✨ と 🌸 🎶
🎶 ぅ 🍀
🌸 ✨ぅ 🎶 🌸
/)🎀/)💛
(ノ˶^∇^)ノ
いいね
1
返信
まこちゃん
2025/10/27
@らな
さん
( *´ω`)ノシ こんばんわ
お祝い㊗のコメント꒰ ⑅•ᴗ• ꒱°ぁㇼゕ̎とーෆෆ
毎日3投稿してるので、あっと言う間に5000picでした。🥰
スズメウリ、雄花、雌花があるんですよ。🥰
雌花はすでに実がついてて、可愛いでしょう。
雄花のほうがたくさんあると思いますよ。
来年探して下さいね。
(🌼❛ ֊ ❛„)
いいね
1
返信
まこちゃん
2025/10/27
@ちゃちゃ
さん
( *´ω`)ノシ こんばんわ
お祝いのコメント、ありがとうございます。
m(_ _)m
毎日3投稿してるので、あっと言う間でした。
こらからも宜しくお願いいたします。
・:*:・(*˘︶˘*).。*♡・:*:・♩
いいね
1
返信
ちゃちゃ
2025/10/27
@まこちゃん
さん
┏┳━┯━┳┓ ♡*°
┃┃ │ ┃┃♡*°
┗> │<┣┛
┏┛ └─┨ワン!!
┃▼ 〃┣━┳┓〃
┗┻┳━━┛ ┣┛
┃┏┓┣┓┃
┗┛┗┛┗┛
いいね
1
返信
ラスカル
2025/10/28
こんばんは
遅くなりましたが
㊗️5000posts
いつも美しい写真と優しいコメントを下さるまこちゃんさん、これからもよろしくお願いします。
加えて
㊗️800フォロワーさん
こちらも人柄によるもの素晴らしいです。
おやすみなさい
いいね
1
返信
まこちゃん
2025/10/28
@ラスカル
さん
( *´ω`)ノシ こんばんわ
いつも嬉しいコメントありがとうございます。
毎日3投稿しているので、あっと言う間に5000picになってしまいました。🥰
800フォロワーさんは気がつかなかったです。
ありがとうございます。m(_ _)m
これからも素敵な景色に山野草を中心に投稿していくつもりです。
こらからも、宜しくお願い致します。
(🌼❛ ֊ ❛„)
いいね
1
返信
ラスカル
2025/10/29
@まこちゃん
さん
こちらこそよろしくお願い致します。
いいね
1
返信
投稿する
GreenSnapのおすすめ機能紹介!
【無料で利用できる】写真を撮るだけ!アプリが植物・花の名前を教えてくれる『教えて!カメラ』のご紹介!
開催中のフォトコンテスト
コンテスト一覧
まこちゃん
自然が大好き、お花が大好きです。🍀😌🍀
キーワード
山野草
お出掛け先
山の公園
山野草マニア
植物
スズメウリ
スズメウリ
雄花.
雌花.
スズメウリ(雀瓜)ウリ科スズメウリ属
山の公園のスズメウリ、緑の実から白くなりました。
お花と実同時に見ることができました。
蔓のクルクル、綺麗に巻いてます。
1⃣ 雄花
2⃣ 雌花
3⃣ 緑の実
4⃣ 白くなった実
5⃣ 白い実とクルクルの巻きヒゲ
巻きひげの巻き方をよく見ると逆方向に変わります。 反旋点(はんすうてん)と呼ばれるようです
巻きひげの丈夫さの秘訣となってい るようです。
スズメウリ
葉は長さ3~6㎝、幅4~8㎝の三角状卵心形で、縁に浅い鋸歯がある。
雌雄同株又は異株。
雌花、雄花とも葉腋に単生する。
花は細い長柄があり、直径約6㎜、花冠は白色、5深裂する。まれに4や6深裂もある。
子房は花被の下でくびれる。
果実は直径約1㎝、種子が6~8個程入っており、熟すと灰白色になる。