warning
error
success
information
ログイン
タイムライン
マイアルバム
アカウント設定
注文履歴
ログアウト
カテゴリから探す
観葉植物
多肉植物・サボテン
ガーデニング
花
家庭菜園
ハーブ
植物の栄養・効能
植物の病気・害虫
植物の種類・品種
雑草
野草・山草
読みもの
植物図鑑
買いもの
投稿
投稿一覧
みどりのまとめ一覧
植物SNS GreenSnap
コアジサイ,コアジサイ,コウヤボウキの投稿画像
soraraさんのコアジサイ,コアジサイ,コウヤボウキの投稿画像
コウヤボウキ
コアジサイ
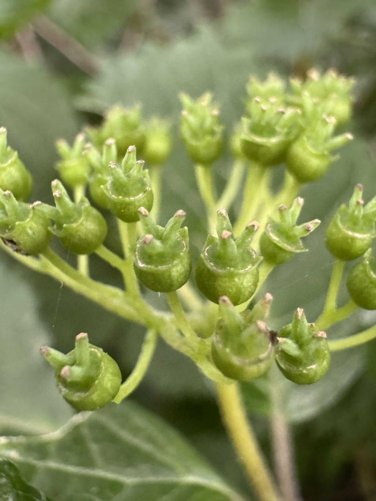
コアジサイの実
いいね
77人
がいいね!
シェア
ツイート
投稿の削除
この投稿を削除しますか?
いいえ
はい
sorara
2025/09/10
コウヤボウキ(キク科コウヤボウキ属)
落葉小低木
関東地方以西〜九州の山地のやや日当たりのよい林縁などに生える
本年枝には長さ2〜5cmの卵形の葉が互生
枝の先に直径1cmほどの頭花を1個ずつ付ける
頭花は白い筒状花が10数個集まったもの
2年枝には細長い葉が数個ずつ束生し花は付けない
よく似た花のナガバノコウヤボウキは2年枝に花がつく
コウヤボウキとコアジサイは出会うとやっぱり写真を撮ってしまいます
いつまで残暑というのでしょうか?
エアコンは何ヶ月か?ほぼつけっぱなし
(犬🐕がいるので)
それでも朝晩はすこ〜し涼しくなってきたかな?
少しお休み?(サボリ?)してましたが
昨日は久々に低山散歩に🚶🚶♀️行きました
秋の花達はまだ蕾が多く
果実はまだ若い実でした〜💕
投稿する
GreenSnapのおすすめ機能紹介!
【無料で利用できる】写真を撮るだけ!アプリが植物・花の名前を教えてくれる『教えて!カメラ』のご紹介!
開催中のフォトコンテスト
コンテスト一覧
sorara
自然の中に咲く山野草が好きです 2020年8月初投稿 皆さんの写真が素敵で知識が深くいつも楽しく教えて頂いています💕 時々 我が家の柴犬🐕(そら)が登場しますのでよろしくお願いします🤲 柴犬好き❣️
キーワード
飯能市
多峯主山
低山散歩
植物
コアジサイ
コアジサイ
コウヤボウキ
コウヤボウキ
コアジサイの実
落葉小低木
関東地方以西〜九州の山地のやや日当たりのよい林縁などに生える
本年枝には長さ2〜5cmの卵形の葉が互生
枝の先に直径1cmほどの頭花を1個ずつ付ける
頭花は白い筒状花が10数個集まったもの
2年枝には細長い葉が数個ずつ束生し花は付けない
よく似た花のナガバノコウヤボウキは2年枝に花がつく
コウヤボウキとコアジサイは出会うとやっぱり写真を撮ってしまいます
いつまで残暑というのでしょうか?
エアコンは何ヶ月か?ほぼつけっぱなし
(犬🐕がいるので)
それでも朝晩はすこ〜し涼しくなってきたかな?
少しお休み?(サボリ?)してましたが
昨日は久々に低山散歩に🚶🚶♀️行きました
秋の花達はまだ蕾が多く
果実はまだ若い実でした〜💕