warning
error
success
information
ログイン
タイムライン
マイアルバム
アカウント設定
注文履歴
ログアウト
カテゴリから探す
観葉植物
多肉植物・サボテン
ガーデニング
花
家庭菜園
ハーブ
植物の栄養・効能
植物の病気・害虫
植物の種類・品種
雑草
野草・山草
読みもの
植物図鑑
買いもの
投稿
投稿一覧
みどりのまとめ一覧
植物SNS GreenSnap
クヌギ,オニシバリ,ヒメコウゾの投稿画像
ペロさんのクヌギ,オニシバリ,ヒメコウゾの投稿画像
クヌギ
ヒメコウゾ
オニシバリ
いいね
87人
がいいね!
シェア
ツイート
投稿の削除
この投稿を削除しますか?
いいえ
はい
ペロ
2025/06/17
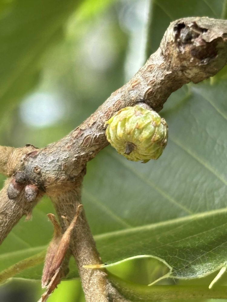
真夏がスタートしましたが、樹木によっては実がつきだしてます
①クヌギのどんぐり赤ちゃん、2年かけて熟すそうで、これは去年咲いた花の実です
②コウゾは結実が難しいらしいからヒメコウゾかな?食用らしい
③真冬に花咲くオニシバリの真っ赤な実。有毒です❗まだ葉っぱが残っているので夏ボウズになってませんでした
6/7横浜市
画夢
2025/06/17
ペロさん
こんにちは😊
どんぐりって茎が無くて、いきなり枝につくんですね?
ヒメコウゾはこちらはもう少ししたらね^_^
オニシバリはまだ見て無いです。
名前だけは知ってましたけど🤗🎶♬
赤い実が可愛いです💕
いいね
0
返信
sora-haru
2025/06/17
いろんな植物、果実が育ってますね。
ヒメコウゾのがさがさの毛がじゃまして口あたりよろしくないみたい。
食べたことありませんが。
オニシバリ(黄色の花の園芸種)、我が家の小さなポット苗は、ボウズ👨🦲になってます。
いいね
0
返信
ペロ
2025/06/17
@画夢
さん
コメありがとうございます♪
ほんとだ!くっついてますね😆
注目してませんでした💦
調べてみたら雌花の花柄がほとんどありません。他のドングリはどうなってるかしら?
いいね
1
返信
ペロ
2025/06/17
@sora-haru
さん
コウゾの実は毛深いからね〰️
ジャリジャリするのかしら?😂😂😂
毛って雌しべだよね?
いいね
0
返信
かし
2025/06/17
こんにちは♪
ビール🍺が待ち遠しい暑さです😁
ヒメコウゾの果実は一度食べた事がありましたが、いつまでも口にイガイガが残って不味かったです💦😝
いいね
0
返信
ペロ
2025/06/17
@かし
さん
あっ、やっぱりsora-haruさんが書いてた通りだ😄食べなくてよかった〜
🍺待ち遠しいね😁るんるん🎵
いいね
1
返信
sora-haru
2025/06/17
@ペロ
さん
だよね~😁
いいね
0
返信
なる
2025/06/17
ペロさん
オニシバリの赤い実がこんなに沢山付いたの初めてよ!
環境が良いのかな?
いいね
0
返信
画夢
2025/06/17
@ペロ
さん
調べたら、どんぐりを包んでる部分が柄らしいです。殻斗(かくと)と言って、模様で木の種類がわかるとか👍️
いいね
0
返信
ペロ
2025/06/17
@sora-haru
さん
↓かしさんが不味かったって🤣🤣🤣
いいね
0
返信
ペロ
2025/06/17
@なる
さん
日当たり悪そうな場所でしたよ
日当たり嫌いなのかな?
いいね
1
返信
ペロ
2025/06/17
@画夢
さん
あの帽子みたいな所が柄なの⁉️
面白いね〜
クヌギの帽子はモジャモジャしてるけど、あれが柄なのね😃
いいね
1
返信
画夢
2025/06/17
@ペロ
さん
そう!みんな帽子が柄だそうです👍️
ほんとに面白いですね~🎶
いいね
0
返信
なる
2025/06/17
ペロさん
陽当たりが好きそうだね!
私は最近見てないし、滅多に逢えません😐
いいね
1
返信
sora-haru
2025/06/17
@ペロ
さん
あ~やっぱり😁 👌
いいね
1
返信
ペロ
2025/06/17
@画夢
さん
面白いこと教えてくれてありがとう😊
いいね
1
返信
画夢
2025/06/17
@ペロ
さん
そんな!
サイトの受け売りですので〜🤗🎶👍️
いいね
0
返信
ペロ
2025/06/17
@画夢
さん
それを言ったら私も同じだよ🤣🤣🤣
いいね
1
返信
画夢
2025/06/17
@ペロ
さん
あ!はい🤣🤣🤣💕
いいね
1
返信
らな
2025/06/18
こちらにも👇
クヌギのどんぐり赤ちゃん👶
よく見つけましたね😊
かわいらしい😆
ヒメコウゾGS内でしか見たことありません🤗
一度でいいから見てみたいんですが🔴🔴🔴☘ ̖́-
いいね
0
返信
ペロ
2025/06/18
@らな
さん
ヒメコウゾは里山や平地で見かけるよ〰️
花が面白いね❣
いいね
1
返信
マッシー
2025/06/26
こんにちは💕
ペロさんは中々の樹木好きですね😍🥰🌳
とても参考になります🌳😍🥰
最近、イチゴのような、クワのようなオレンジ色の実が沢山実ってる木を何本も見かけ、なんだろうって皆んなで言ってました🌳🟠
毒じゃ無さそうでしたので食べてみました😅😘
美味しいって程では無いですがクワの実に近い甘い実でした🟠
多分こちらのヒメコウゾだったんだと名前がわかり嬉しい実です🌳🟠💓
クヌギの果実の付きかたも面白いですね💚🥰
最初はこんな感じなんですね🌳
落ちてるクヌギのドングリはわかりやすいですよね🤎
いいね
0
返信
ペロ
2025/06/26
@マッシー
さん
樹木好きなんだけど、あまり観察したことないので、今少しずつ勉強中です💦
ヒメコウゾを食されたのですね?
花友さんがイガイガすると書いてましたが、大丈夫でしたか?
いいね
1
返信
マッシー
2025/06/26
@ペロ
さん
イガイガすると書いてありましたね😅
多分、まだ若かったんだと思います🟠
熟すと大丈夫なのかな❓
私のはイガイガ無しでしたよ😘🟠
クワの実の感じでしたね🟠
見た目はキイチゴでした🟠🌳
食べた後で、写せばよかったと思いました😅🌳🟠
食への好奇心が勝ってました😅🟠🌳
また樹木のpic楽しみにしています😘
いいね
0
返信
ペロ
2025/06/26
@マッシー
さん
よほど美味しいから撮影するの忘れたのかもですね😆
いいね
1
返信
マッシー
2025/06/26
@ペロ
さん
ふふふ
美味しいとは言い難い😅🟠
甘いだけ🟠🌳
いいね
0
返信
ペロ
2025/06/26
@マッシー
さん
私も食べてみたくなりました(^^)
いいね
1
返信
投稿する
GreenSnapのおすすめ機能紹介!
【無料で利用できる】写真を撮るだけ!アプリが植物・花の名前を教えてくれる『教えて!カメラ』のご紹介!
開催中のフォトコンテスト
コンテスト一覧
ペロ
野山を散策しながら野草を観察するのが1番の気分転換になりました。植物を見つめる優しい眼差しを感じる投稿に日々癒されてます
キーワード
木の実
在来種
植物
クヌギ
オニシバリ
ヒメコウゾ
①クヌギのどんぐり赤ちゃん、2年かけて熟すそうで、これは去年咲いた花の実です
②コウゾは結実が難しいらしいからヒメコウゾかな?食用らしい
③真冬に花咲くオニシバリの真っ赤な実。有毒です❗まだ葉っぱが残っているので夏ボウズになってませんでした
6/7横浜市