warning
error
success
information
ログイン
タイムライン
マイアルバム
アカウント設定
注文履歴
ログアウト
カテゴリから探す
観葉植物
多肉植物・サボテン
ガーデニング
花
家庭菜園
ハーブ
植物の栄養・効能
植物の病気・害虫
植物の種類・品種
雑草
野草・山草
読みもの
植物図鑑
買いもの
投稿
投稿一覧
みどりのまとめ一覧
植物SNS GreenSnap
ソヨゴメタマフシ,在来種,山散歩の投稿画像
chi-koさんのソヨゴメタマフシ,在来種,山散歩の投稿画像
ソヨゴメタマフシ
いいね
61人
がいいね!
シェア
ツイート
投稿の削除
この投稿を削除しますか?
いいえ
はい
chi-ko
2025/02/09
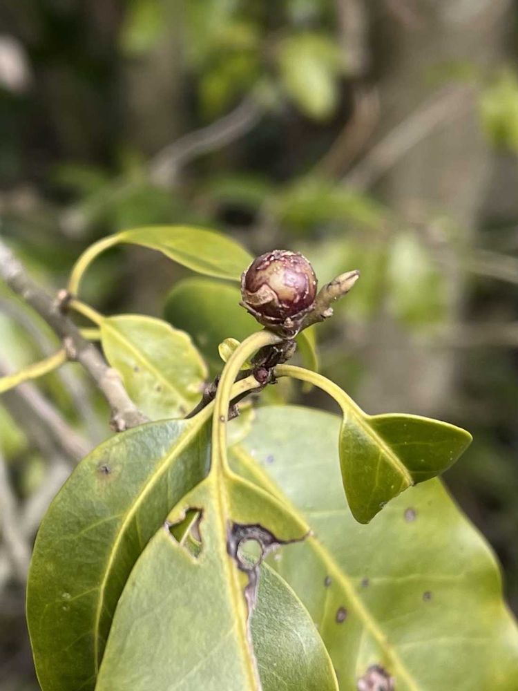
ソヨゴメタマフシ♡
ソヨゴタマバエ(幼虫)の食料兼シェルター
寒い冬を安心安全&美味しいお家で過ごすのですね〜
5~6月ごろ出てくるそうです
①少し歪な丸い実?
可愛いピンク色 約1センチ
②茶色いのも 約6㍉
③去年のお家かな?
出てきた穴がいくつも
④本物の赤い実が残ってました
serendipityrumi
2025/02/10
ソヨゴにこんな虫癭が出来るのですね!知りませんでした。
ありがとうございます🤗
いいね
1
返信
chi-ko
2025/02/10
@serendipityrumi
♡
見てくださりありがとうございます♪
私もソヨゴの虫癭は初めてでした
名前調べるのに
ソヨゴエダフクレフシ
ソヨゴミフクレフシ
とか🔍してみたけどヒットせず
なに? なに? ってなりました
ピンクで可愛いメタマフシでした☺️
いいね
1
返信
serendipityrumi
2025/02/10
@chi-ko
さん
芽に着いちゃ、なんだか枯れてしまいそうですよね!
いいね
1
返信
投稿する
GreenSnapのおすすめ機能紹介!
【無料で利用できる】写真を撮るだけ!アプリが植物・花の名前を教えてくれる『教えて!カメラ』のご紹介!
開催中のフォトコンテスト
コンテスト一覧
chi-ko
初pic 2020.10 好きなもの 雑草🌱虫🐞猫🐈⬛流星💫 接写👀💕 小さな発見🔍✨ 皆さんのpicにほっこり いろいろ教えてくださーい╰(*´︶`*)╯♡
キーワード
在来種
山散歩
ムシコブ
植物
ソヨゴメタマフシ
ソヨゴタマバエ(幼虫)の食料兼シェルター
寒い冬を安心安全&美味しいお家で過ごすのですね〜
5~6月ごろ出てくるそうです
①少し歪な丸い実?
可愛いピンク色 約1センチ
②茶色いのも 約6㍉
③去年のお家かな?
出てきた穴がいくつも
④本物の赤い実が残ってました