warning
error
success
information
ログイン
タイムライン
マイアルバム
アカウント設定
注文履歴
ログアウト
カテゴリから探す
観葉植物
多肉植物・サボテン
ガーデニング
花
家庭菜園
ハーブ
植物の栄養・効能
植物の病気・害虫
植物の種類・品種
雑草
野草・山草
読みもの
植物図鑑
買いもの
投稿
投稿一覧
みどりのまとめ一覧
植物SNS GreenSnap
アキグミ,綺麗✨,21世紀の森と広場の投稿画像
やっちゃんさんのアキグミ,綺麗✨,21世紀の森と広場の投稿画像
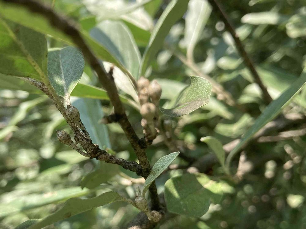
アキグミ
いいね
80人
がいいね!
シェア
ツイート
投稿の削除
この投稿を削除しますか?
いいえ
はい
やっちゃん
2024/06/03
「アキグミ」にようやく小さな実が付いた。
投稿する
GreenSnapのおすすめ機能紹介!
【無料で利用できる】写真を撮るだけ!アプリが植物・花の名前を教えてくれる『教えて!カメラ』のご紹介!
開催中のフォトコンテスト
コンテスト一覧
やっちゃん
野の花が大好きな高齢の爺いですが、どうぞ宜しくお願いします🤲 個人情報の公開はしません。 なお、フォローした方々で1年以上投稿の無い方は休眠中と解し、フォローを解除しますので、ご理解下さい。
キーワード
綺麗✨
21世紀の森と広場
GSの皆様に感謝
花ぶら散歩
松戸市千駄堀
四季の山野辺
植物
アキグミ