warning
error
success
information
ログイン
タイムライン
マイアルバム
アカウント設定
注文履歴
ログアウト
カテゴリから探す
観葉植物
多肉植物・サボテン
ガーデニング
花
家庭菜園
ハーブ
植物の栄養・効能
植物の病気・害虫
植物の種類・品種
雑草
野草・山草
読みもの
植物図鑑
買いもの
投稿
投稿一覧
みどりのまとめ一覧
植物SNS GreenSnap
ガーデニング
お出かけレポート
お出かけ先,山野草,ヒメコウゾの実の投稿画像
オカトラノオさんのお出かけ先,山野草,ヒメコウゾの実の投稿画像
いいね
124人
がいいね!
シェア
ツイート
投稿の削除
この投稿を削除しますか?
いいえ
はい
オカトラノオ
2022/06/13
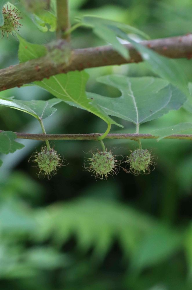
ウォーキングを兼ねて出かけた公園でヒメコウゾ(姫楮)の青い実を見ました。和紙の原料のコウゾ(楮)はヒメコウゾとカジノキの雑種だそうです。
あずきにゃん
2022/06/14
可愛い❤️❤️❤️
いいね
1
返信
オカトラノオ
2022/06/14
@あずきにゃん
さん
コメントありがとうございます。
実が赤くなったころまた見に行ければと思っています。
いいね
2
返信
投稿する
GreenSnapのおすすめ機能紹介!
【無料で利用できる】写真を撮るだけ!アプリが植物・花の名前を教えてくれる『教えて!カメラ』のご紹介!
お出かけレポートに関連するカテゴリ
ガーデニング初心者
園芸
アレンジ
DIY・ハンドメイド
ガーデニング雑貨
ガーデニング用品
ガーデン・庭の参考
庭づくり
造園
芝生
雑草
害虫
ガーデニングの通販
成長記録
開催中のフォトコンテスト
コンテスト一覧
お出かけレポートのみどりのまとめ
15
2025/12/17
NO129 2025年 秋田国際ダリア園
撮影🤳 11月2日 秋田国際ダリア園 めぐみちゃん*ϋ*とかほちゃん*ϋ*をお迎えして
91
2025/12/16
相模国一之宮寒川神社参拝2025
12月10日、神奈川県の寒川神社に久しぶりに参拝しました。 八方除の祈祷を上げていただき、社殿の裏手に広がる「神嶽山神苑(かんだけやましんえん)」を見学しました。2年前にも行ったんですが、何と同じ12月でした💦今回は、紅葉は終わり間近でした🍁
39
2025/12/16
NO128 2025年 秋田国際ダリア園
撮影🤳 11月2日 閉園前日です
オカトラノオ
バラ、ラン、野草に興味を持っています プランターでの野菜作りも少しチャレンジしています GS開始 2021年12月20日
場所
お出かけ先
キーワード
山野草
ヒメコウゾの実
姫楮の実♪
樹木の果実