warning
error
success
information
ログイン
タイムライン
マイアルバム
アカウント設定
注文履歴
ログアウト
カテゴリから探す
観葉植物
多肉植物・サボテン
ガーデニング
花
家庭菜園
ハーブ
植物の栄養・効能
植物の病気・害虫
植物の種類・品種
雑草
野草・山草
読みもの
植物図鑑
買いもの
投稿
投稿一覧
みどりのまとめ一覧
植物SNS GreenSnap
家庭菜園
収穫物
畑
畑,ナガイモ,+安曇野の投稿画像
lさんの畑,ナガイモ,+安曇野の投稿画像
ナガイモ
いいね
120人
がいいね!
シェア
ツイート
投稿の削除
この投稿を削除しますか?
いいえ
はい
l
2021/09/18
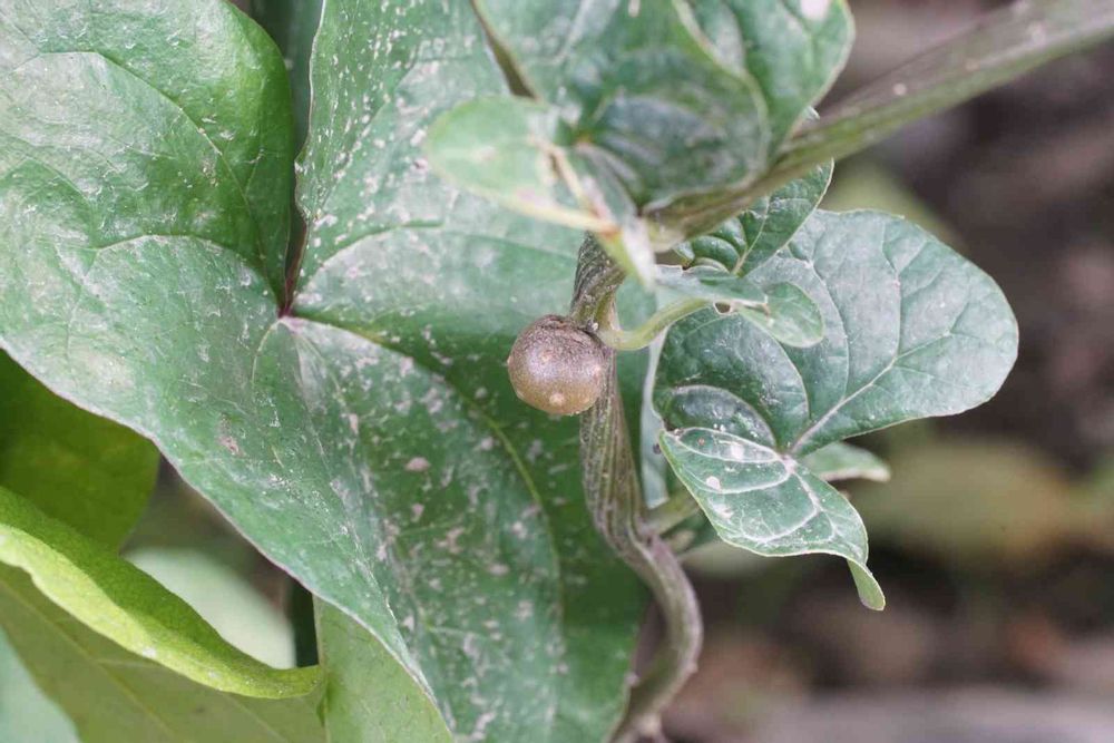
東筑摩郡山形村産の長芋のムカゴ
スクスク育っていそうです
よもちゃん
2021/09/18
こんにちは👋😃
ムカゴ 可愛い❤️わ
凄く大事にされている感じ
有り難う❗
いいね
1
返信
みっこ
2021/09/18
I さんこんにちは👋😃
ムカゴ 出来ているのてすね🤗そろそろ農協に出てきますね😄
いいね
1
返信
l
2021/09/18
@よもちゃん
さん
こんにちは。
こちらこそコメントありがとうございます。
何もすることが無いので、ただ見ているだけです。
掘るのは大変ですよね。
いいね
1
返信
l
2021/09/18
@みっこ
さん
こんにちは。
そろそろ、時期ですね。
幾つなっているか、しっかり見てみようと思います。
上が枯れたら芋掘り、色々やることがありますね。
いいね
1
返信
よもちゃん
2021/09/18
@l
さん うんうん解るよ
我が家も 昔 おばあちゃん👵が作っていたから
山形村産よりずーと細かったよ 篠ノ井産も横綱並みだったね🎵
いいね
1
返信
l
2021/09/18
@よもちゃん
さん
篠ノ井の芋も美味しいですね。
最初、バックホーで掘る姿を見てビックリしました。
山形も朝日もチェーンソーのお化けのような物で掘ります。
いいね
1
返信
よもちゃん
2021/09/18
@l
さん そうそう😃💡
テレビで見たよ😃
いいね
0
返信
投稿する
GreenSnapのおすすめ機能紹介!
【無料で利用できる】写真を撮るだけ!アプリが植物・花の名前を教えてくれる『教えて!カメラ』のご紹介!
畑に関連するカテゴリ
ベランダ
トマト
キュウリ
ナス
開催中のフォトコンテスト
コンテスト一覧
畑の関連コラム
PR
2021.02.05
カインズが提案するひとコマ菜園とは?
畑の関連コラムをもっとみる
l
家の周りの草花と風景を中心に投稿しています。たくさんのいいね、コメントありがとうございます。 カバー画像も時々更新しています。
場所
畑
キーワード
+安曇野
植物
ナガイモ
スクスク育っていそうです