warning
error
success
information
ログイン
タイムライン
マイアルバム
アカウント設定
注文履歴
ログアウト
カテゴリから探す
観葉植物
多肉植物・サボテン
ガーデニング
花
家庭菜園
ハーブ
植物の栄養・効能
植物の病気・害虫
植物の種類・品種
雑草
野草・山草
読みもの
植物図鑑
買いもの
投稿
投稿一覧
みどりのまとめ一覧
植物SNS GreenSnap
ガーデニング
庭づくり
小さな庭
小さな庭,マスカットベリーA,秋の味覚の投稿画像
ちゃんちぃさんの小さな庭,マスカットベリーA,秋の味覚の投稿画像
マスカットベリーA
いいね
21人
がいいね!
シェア
ツイート
投稿の削除
この投稿を削除しますか?
いいえ
はい
ちゃんちぃ
2021/09/15
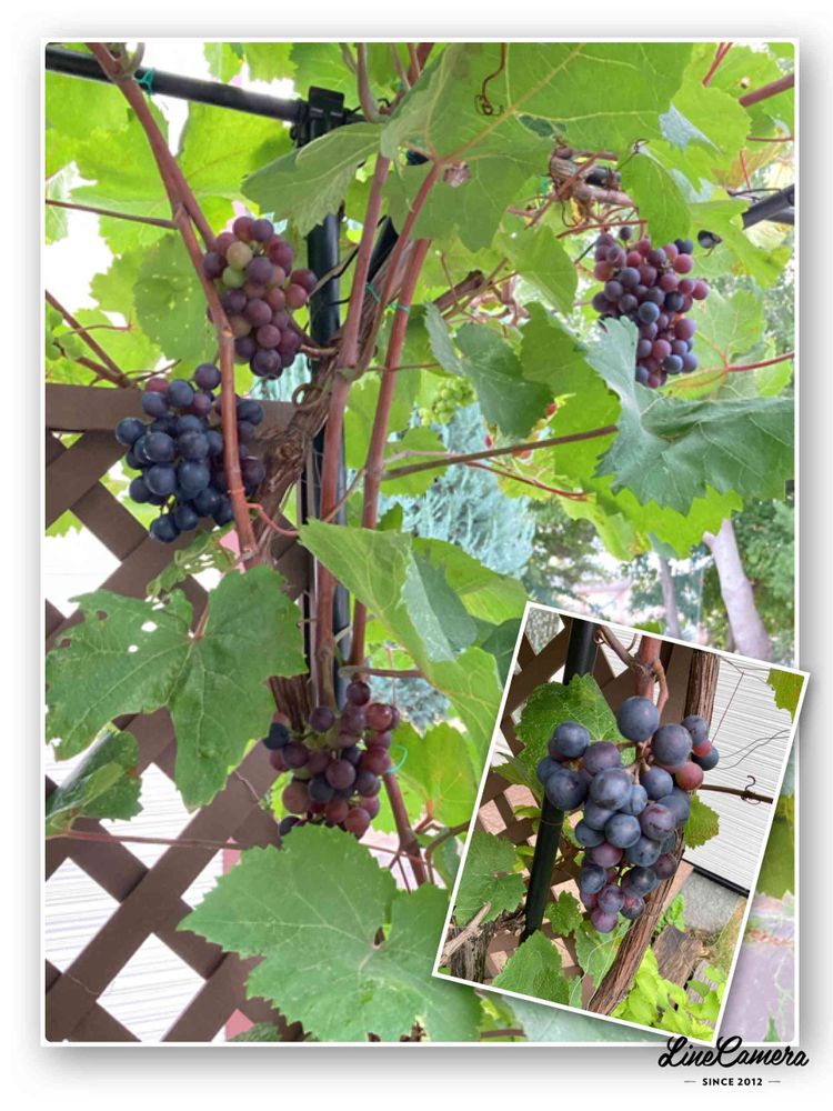
庭のぶどう🍇
今年は出だしからつまずいてあまり手をかけられずにここまで来てしまいました😥
粒も小さいし房もイマイチです。
袋掛けもしないまま。
でも色付いてきました。どんな出来になるのかな。
来年は頑張ろう❣️
投稿する
GreenSnapのおすすめ機能紹介!
【無料で利用できる】写真を撮るだけ!アプリが植物・花の名前を教えてくれる『教えて!カメラ』のご紹介!
小さな庭に関連するカテゴリ
広い庭
花壇
シンボルツリー
ウッドデッキ
グランドカバー
グリーンカーテン
エクステリア
テラス
バルコニー/ベランダ
アプローチ
フェンス
軒下
温室
車庫
開催中のフォトコンテスト
コンテスト一覧
ちゃんちぃ
ごく普通の庭の植物たちを、ごく普通にスマホ撮影した、ごく普通の投稿記録ですが、見ていただいていいね👍をしてくださりありがとうございます。 小さい庭ですが、野菜や果樹、お花など季節を感じて楽しんでます。 皆さんのpic.に感動を貰いたくさんいいね👍させて貰ってます。 コメはなかなか残せませんが、頂いた コメにはお返事します☺️
場所
小さな庭
キーワード
秋の味覚
実がなる楽しみ♪
植物
マスカットベリーA
今年は出だしからつまずいてあまり手をかけられずにここまで来てしまいました😥
粒も小さいし房もイマイチです。
袋掛けもしないまま。
でも色付いてきました。どんな出来になるのかな。
来年は頑張ろう❣️