warning
error
success
information
ログイン
タイムライン
マイアルバム
アカウント設定
注文履歴
ログアウト
カテゴリから探す
観葉植物
多肉植物・サボテン
ガーデニング
花
家庭菜園
ハーブ
植物の栄養・効能
植物の病気・害虫
植物の種類・品種
雑草
野草・山草
読みもの
植物図鑑
買いもの
投稿
投稿一覧
みどりのまとめ一覧
シュウブンソウの一覧
投稿数
130枚
フォロワー数
5人
このタグをフォローする
57
ペロ
シュウブンソウが沢山咲いてました。環境が合っているのか、他所で見た個体より大きくて元気!葉のつけ根から花が咲くとこがヤブタバコと似てますね。でもお花はもっと小さいし、黄色くないです。 🏷チーム地味草に参加します。 9/9横浜自然観察の森にて
93
nao
2021.9.24 宝篋山 「シュウブンソウ (秋分草)」 今の季節、山のあちこちに咲いてるのを目にするキク科の秋の山野草ですが、草姿も花も超地味で全く目立ちません😓 しかも茎がテンデバラバラに伸びるもんだから纏まりがない、この写真のはまだマシな方です😅
0
クアオルト
23
anpunpun
はじめまして✨のお花 名前を調べているうちに、どんどん日が過ぎてゆく😂 9月20日 🤳 しゃがみこんでいると周りに人が増えてきたので😅💦 しっかり撮れず😭 残念❗️
47
凛子
山奥自宅集落山道にて 秋分の日に生まれた老母と娘 84歳27歳おめでと 9月23日は大事な人の大事な日 今日もおつかれ 今日もありがと
141
ひままりん
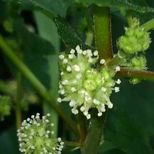
今日は秋分の日なので🍁🌙 🌼 シュウブンソウ 🌼*・ 秋分草 場所:山地の沢沿いや木陰 花期:8~10月 背丈:50~100センチ 頭花:5ミリ 特徴:背は低いのに、横に長ーい茎を伸ばし 葉の脇に小さな花が咲く。 名前の由来:秋分の頃に花盛りになることから。
256
ミンちゃん
里山散歩🚶♀️〰︎ 今日23日は秋分の日、ナント初めて出会ったお花を調べたら… 『シュウブンソウ』(秋分草) キク科 「秋分の日」頃に咲くことからの花名。 目立たない地味、イエ控え目な可愛いお花 です。(๑˃̵ᴗ˂̵)💖
100
祐綺
シュウブンソウꕤ̌キク科ꕤ もう実になりかけです˙ᵕ˙ 始めましての植物です〜˙ᵕ˙
11
skomo
日時 2021/09/19 09:21 位置 35.801151,139.532054 カメラ BASIO3
86
南国のくまさん
151
ごまぴょん
散歩道 林縁で ふだん通らない道で、大きな株を見つけました。 頭花は5mmほどの大きさ 中心部の筒状花を、2-3列の舌状花が取り囲んでいます。 シュウブンソウ(秋分草) キク科シオン属 多年草 在来種 花期9-10月
32
きぬ
花をアップにしました
22
きぬ
水引のように細い小さな花が咲いてました😊
7
skomo
日時 2021/09/13 09:37 位置 35.801172,139.532072 カメラ BASIO3
31
サンカヨウ
🏷️チーム地味草に参加します(^_^)/~~
50
サンカヨウ
森の小人さんサイズの小さな小さな花。
4
たいたま
90
南国のくまさん
92
ひめだか
シュウブンソウ 🌼☘🌼
69
のんたん
2021.8月 庄原 これはシュウブンソウでしょうか?
94
k-kantaro
8/31 弥彦山 ヤブタバコへ続きます シュウブンソウ(秋分草) キク科シオン属の多年草 以前はシュウブンソウ属 ✌️✌️✌️📸📸📸✌️✌️✌️ 直立寸止放射展開型草姿 主茎は真っ直ぐに立って高さ50-100cmでそれ以上伸びなくなり、先端付近から放射状に数本の枝を出す。それらの枝は水平に近い斜め上に長く伸びる。 シュウブンソウ、ヤブタバコだけの特徴。 ✌️✌️✌️📸📸📸✌️✌️✌️ ⬇️ 少し分かり難いかもしれません。ヤブタバコの方が分かり易い。ヤブタバコと比較して、茎も葉も細く華奢な感じです。歩いていると、斜め上から見る事になりますが、放射状に広がる姿は特徴的で、すぐに分かります。 ⬅️➡️ 主茎の上部です。ココで寸止め、球形になります。横に伸びた茎の重みで縦に裂ける事を、防ぐ為と思われます。この球もヤブタバコの方が顕著です。 ⬆️ 先端の花です。葉腋にも付きます。シオン属なので舌状花と筒状花で構成、頭花は5m程です。花については検索して下さい。詳しく出てきます。 ✌️✌️✌️📸📸📸✌️✌️✌️
35
zzneco
深い森の中にある渓流の崖っぷちにありました。
51
たーぼー *
シュウブンソウ と ハナバエのなかま シュウブンソウは初めて見た💓 準決勝二試合見終わってからのお写んぽ👣 明日は決勝かー。 夏が終わるな~( ´-` )シミジミ
93
南国のくまさん
前へ
2
3
4
5
6
次へ
130
件中
73
-
96
件 を表示
人気のコラム一覧
2024.02.14
春に咲く花といえば?4〜6月に見頃を迎える春の花一覧
by.
GreenSnap編集部
2025.02.27
100均の製氷ケースで寄せ植え!おしゃれな多肉ポットをつくろう
by.
hana (a piece of dream*)
2022.08.31
クローバー(シロツメクサ)の花言葉|葉の枚数によって幸せにも怖い意味にも...
by.
GreenSnap編集部
2020.01.29
カット苗を買ってきたら?購入後の手順と根を出させるコツ
by.
mokutaro(杢太郎)
2020.01.15
小さな多肉がギュギュぎゅっと。魅惑の「多肉畑」へようこそ!
by.
内田アリ
2024.02.14
冬に咲く花といえば?寒い時期を彩る人気の冬の花一覧
by.
GreenSnap編集部