warning
error
success
information
ログイン
タイムライン
マイアルバム
アカウント設定
注文履歴
ログアウト
カテゴリから探す
観葉植物
多肉植物・サボテン
ガーデニング
花
家庭菜園
ハーブ
植物の栄養・効能
植物の病気・害虫
植物の種類・品種
雑草
野草・山草
読みもの
植物図鑑
買いもの
投稿
投稿一覧
みどりのまとめ一覧
植物SNS GreenSnap
ハイアオイ,ウサギアオイの投稿画像
サスケさんのハイアオイ,ウサギアオイの投稿画像
ウサギアオイ
ハイアオイ
いいね
16人
がいいね!
シェア
ツイート
投稿の削除
この投稿を削除しますか?
いいえ
はい
サスケ
2020/05/19
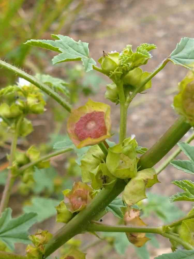
これは花後?
小さい白いお花が咲いてました。
次ページ参照🌷
ぷりぷりむら
2020/05/19
帰化植物のハイアオイかウサギアオイに似ています。
いいね
0
返信
サスケ
2020/05/20
@ぷりぷりむら
ありがとうございます!
ホントですね!
どっちかですね😆
いいね
0
返信
投稿する
GreenSnapのおすすめ機能紹介!
【無料で利用できる】写真を撮るだけ!アプリが植物・花の名前を教えてくれる『教えて!カメラ』のご紹介!
開催中のフォトコンテスト
コンテスト一覧
サスケ
自分のお花図鑑作ってます☆ どうやったらうまくお花の写真撮れるのか?!頑張ります☆ ウォーキング中に出会ったお花たち多数😊🌷 野草にも注目! チョウ初心者なので、ご教授お願い致します😆😆
植物
ハイアオイ
ウサギアオイ
小さい白いお花が咲いてました。
次ページ参照🌷