warning
error
success
information
ログイン
タイムライン
マイアルバム
アカウント設定
注文履歴
ログアウト
カテゴリから探す
観葉植物
多肉植物・サボテン
ガーデニング
花
家庭菜園
ハーブ
植物の栄養・効能
植物の病気・害虫
植物の種類・品種
雑草
野草・山草
読みもの
植物図鑑
買いもの
投稿
投稿一覧
みどりのまとめ一覧
植物SNS GreenSnap
コブシの実!の投稿画像
aji810061さんのコブシの実!の投稿画像
いいね
18人
がいいね!
シェア
ツイート
投稿の削除
この投稿を削除しますか?
いいえ
はい
aji810061
2019/07/08
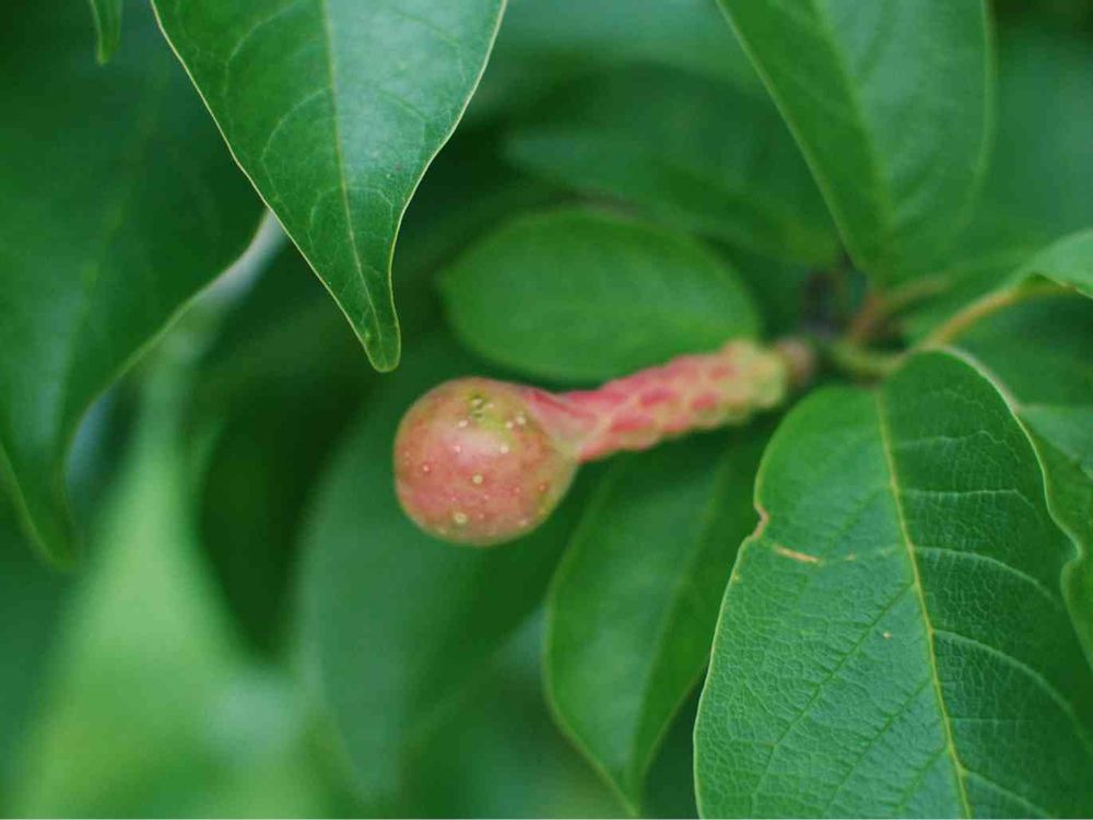
コブシの実③
棒状の雌しべの先端部分だけが受粉したみたいです。
このまま1つだけ成長するのでしょうか?
チュムちゃん
2019/07/11
フォローありがとうございます😊
いいね
1
返信
投稿する
GreenSnapのおすすめ機能紹介!
【無料で利用できる】写真を撮るだけ!アプリが植物・花の名前を教えてくれる『教えて!カメラ』のご紹介!
開催中のフォトコンテスト
コンテスト一覧
aji810061
植物の名前が?間違っていたらご指摘下さい。 2019年12月から低山登山と野鳥観察を始めました。2020.2月Nikon D500を購入
キーワード
コブシの実!
棒状の雌しべの先端部分だけが受粉したみたいです。
このまま1つだけ成長するのでしょうか?